Hi There! Is this Your First Time?
Did you know if you Register you have access to free search tools including the ability to save listings and property searches? Did you know that you can bypass the search altogether and have listings sent directly to your email address? Check out our how-to page for more info.
- Price$3,500,000
- Acres10.13
- Built1701
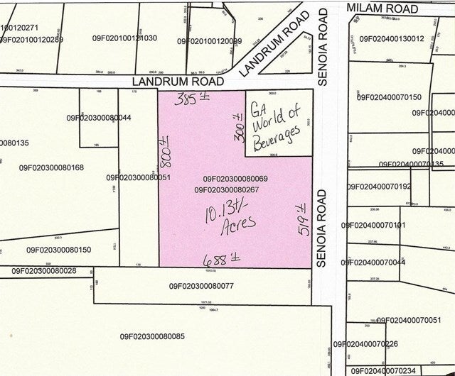
Senoia Road / Highway 74 10.13+/- Acres, Fairburn
CHOICE 10.13 ACRES ZONED COMMERCIAL (C-2) ON HWY 74 (SENOIA ROAD). Adjoins Georgia World of Beverages. 579' frontage on Hwy 74 and additional frontage on Landrum Road (385'+/-).
Essential Information
- MLS® #10148023
- Price$3,500,000
- Bathrooms0.00
- Acres10.13
- Year Built1701
- TypeCommercial Sale
- StatusUnder Contract
Amenities
- UtilitiesCable Available, Electricity Available, High Speed Internet, Natural Gas Available, Sewer Available, Phone Available, Water Available
- ParkingOther
Exterior
- Lot DescriptionCity Lot
- ConstructionOther
Listing Details
- Listing Provided Courtesy Of Lindsey's Inc., Realtors
Community Information
- AddressSenoia Road / Highway 74 10.13+/- Acres
- SubdivisionNone
- CityFairburn
- CountyFulton
- StateGA
- Zip Code30213
Interior
- HeatingNone, Other
- CoolingNone
Additional Information
- Days on Market149
- ZoningC-2
Price Change History for Senoia Road / Highway 74 10.13+/- Acres, Fairburn, GA (MLS® #10148023)
| Date | Details | Price | Change |
|---|---|---|---|
| Under Contract | – | – | |
| Active (from New) | – | – |
The data relating to real estate for sale on this web site comes in part from the Broker Reciprocity Program of Georgia MLS. Real estate listings held by brokerage firms other than Go Realty Of Georgia & Alabam are marked with the Broker Reciprocity logo and detailed information about them includes the name of the listing brokers.
The information being provided is for consumers' personal, non-commercial use and may not be used for any purpose other than to identify prospective properties consumers may be interested in purchasing. Information Deemed Reliable But Not Guaranteed.
The broker providing this data believes it to be correct, but advises interested parties to confirm them before relying on them in a purchase decision.
Copyright 2025 Georgia MLS. All rights reserved.
Listing information last updated on December 28th, 2025 at 7:15am CST.








