Hi There! Is this Your First Time?
Did you know if you Register you have access to free search tools including the ability to save listings and property searches? Did you know that you can bypass the search altogether and have listings sent directly to your email address? Check out our how-to page for more info.
- Price$275,000
- Acres0.67
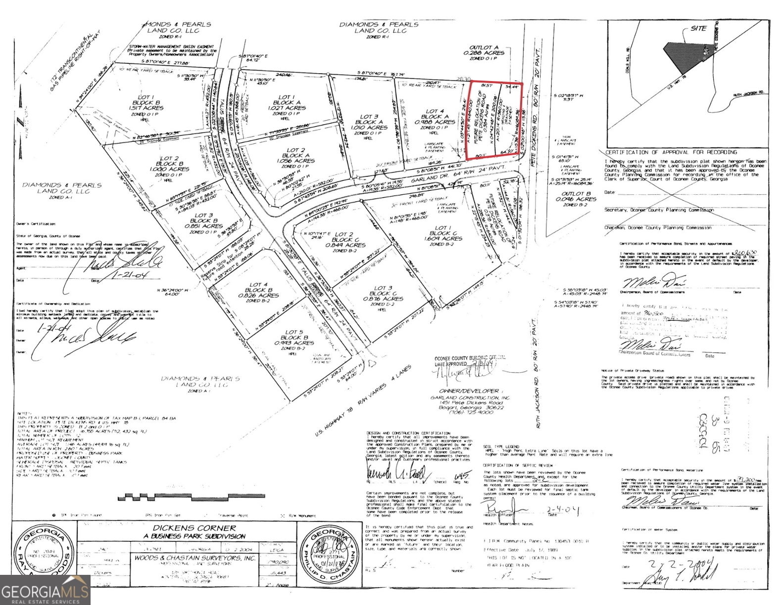
1010 Garland Drive, Bogart
Property Description: Prime Oconee County commercial corner lot available for sale. This 0.672-acre OIP-zoned site sits behind Dollar General just off Highway 78, at the corner of Pete Dickens Road and Garland Drive, directly across from Prince Avenue Christian School. With water and sewer available and a level topography, this property offers an excellent opportunity for office, institutional, or professional development in one of the fastest-growing areas of Oconee County. Area Description: Positioned along Highway 78 between Athens and Atlanta, 1010 Garland Drive offers exceptional regional connectivity and strong surrounding demographics. The site is within 12 miles of Downtown Athens and The University of Georgia, and less than an hour's drive to Atlanta's metro area. The immediate area features quality schools, new residential growth, and nearby amenities, including The Georgia Club, Lane Creek Golf Club, and the Epps Bridge retail corridor-making this a prime location for new professional or institutional development.
Essential Information
- MLS® #10171406
- Price$275,000
- Bathrooms0.00
- Acres0.67
- TypeLand
- Sub-TypeUnimproved Land
- StatusActive
Amenities
- UtilitiesSewer Available, Underground Utilities, Water Available
School Information
- ElementaryDove Creek
- MiddleMalcom Bridge
- HighNorth Oconee
Listing Details
- Listing Provided Courtesy Of Nai Elrod Group
Community Information
- Address1010 Garland Drive
- SubdivisionNone
- CityBogart
- CountyOconee
- StateGA
- Zip Code30622
Exterior
- Lot DescriptionLevel
Additional Information
- Days on Market857
Price Change History for 1010 Garland Drive, Bogart, GA (MLS® #10171406)
| Date | Details | Price | Change |
|---|---|---|---|
| Active | – | – | |
| Price Change | – | – | |
| Price Increased (from $250,000) | $275,000 | $25,000 (10.00%) | |
| Active (from New) | – | – |
The data relating to real estate for sale on this web site comes in part from the Broker Reciprocity Program of Georgia MLS. Real estate listings held by brokerage firms other than Go Realty Of Georgia & Alabam are marked with the Broker Reciprocity logo and detailed information about them includes the name of the listing brokers.
The information being provided is for consumers' personal, non-commercial use and may not be used for any purpose other than to identify prospective properties consumers may be interested in purchasing. Information Deemed Reliable But Not Guaranteed.
The broker providing this data believes it to be correct, but advises interested parties to confirm them before relying on them in a purchase decision.
Copyright 2025 Georgia MLS. All rights reserved.
Listing information last updated on October 25th, 2025 at 4:15am CDT.








