Hi There! Is this Your First Time?
Did you know if you Register you have access to free search tools including the ability to save listings and property searches? Did you know that you can bypass the search altogether and have listings sent directly to your email address? Check out our how-to page for more info.
- Price$399,900
- Acres1.82
Gaylor Street, Smyrna
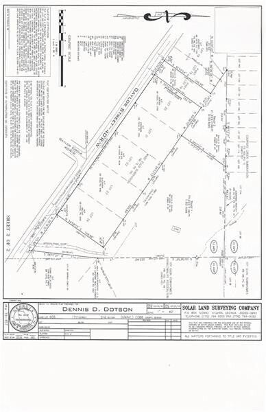
Seize the exceptional opportunity to own a sprawling 1.82-acre lot nestled within the esteemed Estates at Ellis Wade community, surrounded by luxury residences. This lot may be subdivided, opening the door to limitless possibilities. Embrace the convenience of this prime location with close proximity and easy access to numerous attractions, including Truist Park, The Battery, Vinings Jubilee, West Village, Midtown, I-285, and Hartsfield International Airport. Additionally, you'll find the Silver Comet Trail, Publix, and Sprouts just a short walk away. Included in the images to assist in your planning and development, are a Preliminary Site Plan, Survey, Soil Investigation Report, and Sanitary Sewer Plan. Don't miss out on the chance to make your dreams a reality on this exceptional property in Smyrna/Vinings!
Essential Information
- MLS® #10203409
- Price$399,900
- Bathrooms0.00
- Acres1.82
- TypeLand
- Sub-TypeResidential Lot
- StatusActive
Amenities
- UtilitiesCable Available, Electricity Available, Natural Gas Available, Sewer Available, Phone Available, Underground Utilities, Water Available
- ViewCity
School Information
- ElementaryNickajack
- MiddleCampbell
- HighCampbell
Listing Details
- Listing Provided Courtesy Of Ansley Re | Christie's Int'l Re
Community Information
- AddressGaylor Street
- SubdivisionEstates at Ellis Wade
- CitySmyrna
- CountyCobb
- StateGA
- Zip Code30082
Exterior
- Lot DescriptionLevel
Additional Information
- Days on Market642
Price Change History for Gaylor Street, Smyrna, GA (MLS® #10203409)
| Date | Details | Price | Change |
|---|---|---|---|
| Active | – | – | |
| Price Change | – | – | |
| Price Reduced | $399,900 | $25,100 (5.91%) | |
| Active | – | – | |
| Back On Market | – | – | |
| Show More (12) | |||
| Pending Offer Approval | – | – | |
| Active Under Contract | – | – | |
| Active | – | – | |
| Price Change | – | – | |
| Price Reduced | $425,000 | $25,000 (5.56%) | |
| Active | – | – | |
| Price Change | – | – | |
| Price Reduced | $450,000 | $25,000 (5.26%) | |
| Active | – | – | |
| Price Change | – | – | |
| Price Reduced (from $500,000) | $475,000 | $25,000 (5.00%) | |
| Active (from New) | – | – | |
The data relating to real estate for sale on this web site comes in part from the Broker Reciprocity Program of Georgia MLS. Real estate listings held by brokerage firms other than Go Realty Of Georgia & Alabam are marked with the Broker Reciprocity logo and detailed information about them includes the name of the listing brokers.
The information being provided is for consumers' personal, non-commercial use and may not be used for any purpose other than to identify prospective properties consumers may be interested in purchasing. Information Deemed Reliable But Not Guaranteed.
The broker providing this data believes it to be correct, but advises interested parties to confirm them before relying on them in a purchase decision.
Copyright 2025 Georgia MLS. All rights reserved.
Listing information last updated on December 29th, 2025 at 10:30pm CST.
















