Hi There! Is this Your First Time?
Did you know if you Register you have access to free search tools including the ability to save listings and property searches? Did you know that you can bypass the search altogether and have listings sent directly to your email address? Check out our how-to page for more info.
- Price$495,000
- Acres1.45
- Built1900
5007 Highway 155 N, Stockbridge
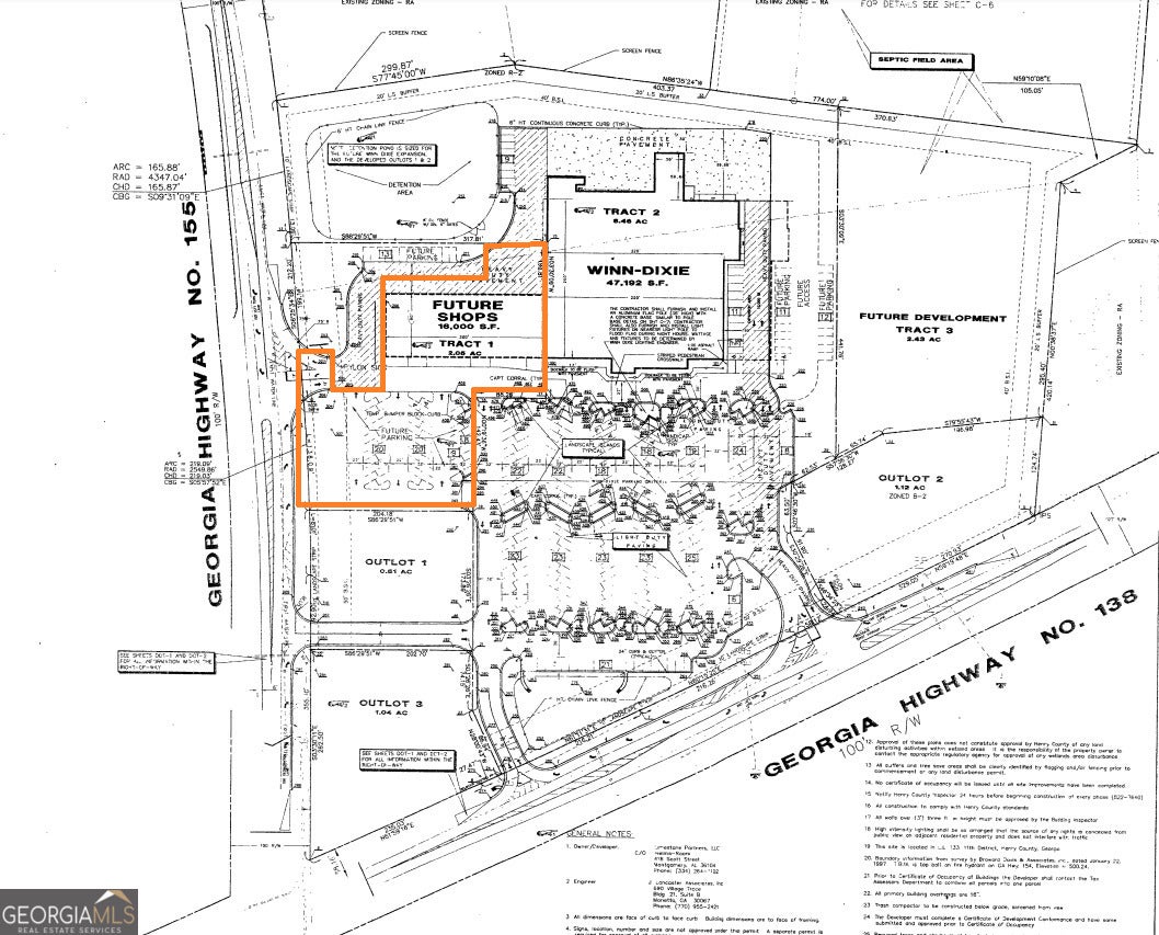
Attention Investors and Developers! We present a remarkable opportunity with this 1.45-acre parcel located in the northern sector of Henry County. This property is perfectly situated within a bustling shopping center that experiences heavy traffic with 23,400 VPD , positioned just off the intersection of Highway 155 N and Highway 138 E. The lot, already zoned C-2, comes with previous approval for a 16,000 +/- sqft development, adjoining Food Depot with zero setbacks. The C-2 zoning is specifically designed to accommodate a wide range of public-serving businesses. This makes it an ideal location for a multitude of ventures, including a fitness center, retail shops, fast food establishments, and many more. The property is equipped with a private sewer system that can be accessed by new development, providing a significant advantage in terms of infrastructure. As a bonus an Ice machine on the property currently generates an income of $400 per month . The property shares an appurtenant easement for use of the parking lot with Food Depot. Don't miss this exceptional opportunity to embark on your next project in a prime location, replete with substantial amenities and promising potential. Contact us today for more information.
Essential Information
- MLS® #10210997
- Price$495,000
- Bathrooms0.00
- Acres1.45
- Year Built1900
- TypeCommercial Sale
- StatusActive
Amenities
- UtilitiesCable Available, Electricity Available, High Speed Internet, Sewer Available, Underground Utilities, Water Available
- Parking Spaces50
- ParkingPaved, Parking Lot
Exterior
- Lot DescriptionBusiness Park, Corner Lot, City Lot, Interior Lot, Level
- ConstructionOther
Listing Details
- Listing Provided Courtesy Of Re/max Southern
Community Information
- Address5007 Highway 155 N
- SubdivisionFood Depot Outparcel
- CityStockbridge
- CountyHenry
- StateGA
- Zip Code30281
Interior
- HeatingNone
- CoolingNone
Additional Information
- Days on Market763
- ZoningC2
Price Change History for 5007 Highway 155 N, Stockbridge, GA (MLS® #10210997)
| Date | Details | Price | Change |
|---|---|---|---|
| Active | – | – | |
| Back On Market | – | – | |
| Active (from New) | – | – |
The data relating to real estate for sale on this web site comes in part from the Broker Reciprocity Program of Georgia MLS. Real estate listings held by brokerage firms other than Go Realty Of Georgia & Alabam are marked with the Broker Reciprocity logo and detailed information about them includes the name of the listing brokers.
The information being provided is for consumers' personal, non-commercial use and may not be used for any purpose other than to identify prospective properties consumers may be interested in purchasing. Information Deemed Reliable But Not Guaranteed.
The broker providing this data believes it to be correct, but advises interested parties to confirm them before relying on them in a purchase decision.
Copyright 2025 Georgia MLS. All rights reserved.
Listing information last updated on November 15th, 2025 at 3:45am CST.










