Hi There! Is this Your First Time?
Did you know if you Register you have access to free search tools including the ability to save listings and property searches? Did you know that you can bypass the search altogether and have listings sent directly to your email address? Check out our how-to page for more info.
- Price$600,000
- Acres20.65
Eatonton Highway, Gray
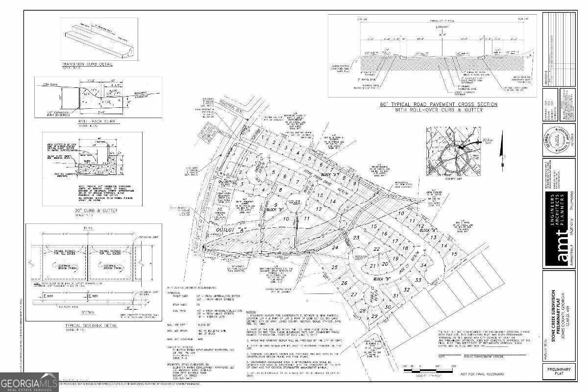
Property Description: This residential land listing within the city of Gray, GA, is a proposed 48-lot subdivision. This property features 80 lots with a minimum lot size of 8,000 square feet. Less than a mile from downtown Gray, this property has easy access to grocery stores, restaurants, and shopping. Less than three miles away is the Morris Bank Recreation Complex, which offers ballfields, batting cages, pickleball courts, and two playgrounds. Please note that the existing preliminary plat has expired, requiring the buyer to apply for a new preliminary plat and sewer capacity letter with the Gray City Council. Location Description: Located less than a mile from Downtown Gray, GA, this property has great accessibility to grocery stores, restaurants, and shopping. With both Atlanta & Athens being 1.5 hours away, residents can enjoy the small-town feel that the city of Gray boasts of while also being a short ride away from all the bigger cities have to offer.
Essential Information
- MLS® #10254433
- Price$600,000
- Bathrooms0.00
- Acres20.65
- TypeLand
- Sub-TypeResidential Lot
- StatusActive
Amenities
- UtilitiesSewer Available, Water Available
School Information
- ElementaryGray
- MiddleGray Station
- HighJones County
Listing Details
- Listing Provided Courtesy Of Nai Elrod Group
Community Information
- AddressEatonton Highway
- SubdivisionNone
- CityGray
- CountyJones
- StateGA
- Zip Code31032
Exterior
- Lot DescriptionOther
Additional Information
- Days on Market630
Price Change History for Eatonton Highway, Gray, GA (MLS® #10254433)
| Date | Details | Price | Change |
|---|---|---|---|
| Active (from New) | – | – |
The data relating to real estate for sale on this web site comes in part from the Broker Reciprocity Program of Georgia MLS. Real estate listings held by brokerage firms other than Go Realty Of Georgia & Alabam are marked with the Broker Reciprocity logo and detailed information about them includes the name of the listing brokers.
The information being provided is for consumers' personal, non-commercial use and may not be used for any purpose other than to identify prospective properties consumers may be interested in purchasing. Information Deemed Reliable But Not Guaranteed.
The broker providing this data believes it to be correct, but advises interested parties to confirm them before relying on them in a purchase decision.
Copyright 2025 Georgia MLS. All rights reserved.
Listing information last updated on December 22nd, 2025 at 3:01pm CST.

