Hi There! Is this Your First Time?
Did you know if you Register you have access to free search tools including the ability to save listings and property searches? Did you know that you can bypass the search altogether and have listings sent directly to your email address? Check out our how-to page for more info.
- Price$245,000
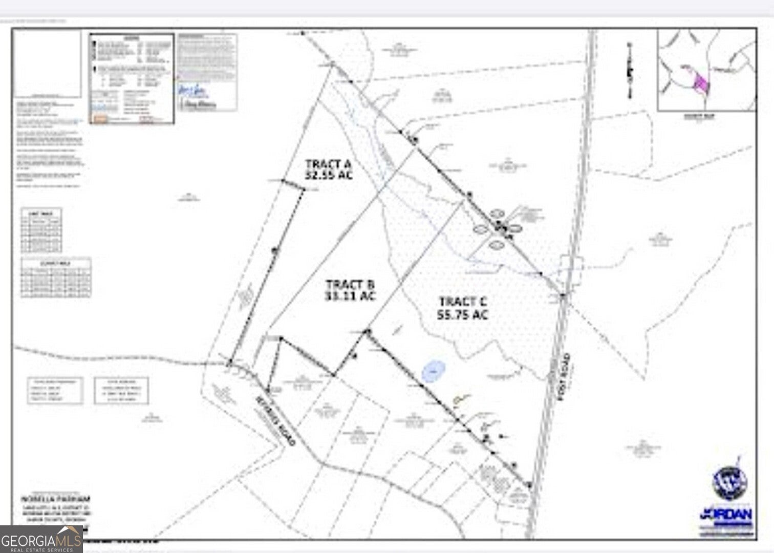
- Acres32.55
Jeffries Road Tract A 32.55, Shady Dale
Welcome to the serene, country living, in the heart of Shady Dale Georgia. This 32.55 acre tract is full of mostly hardwoods and some pines toward the front. It has a wonderful flowing creek on the back of the land. Great for hunting or your new home site. Optimal proximity to Jackson lake, Newborn and Madison.
Essential Information
- MLS® #10293839
- Price$245,000
- Bathrooms0.00
- Acres32.55
- TypeLand
- Sub-TypeUnimproved Land
- StatusActive
Amenities
- UtilitiesCable Available, Electricity Available, High Speed Internet, Phone Available
- ViewSeasonal View
- WaterfrontCreek
School Information
- ElementaryWashington Park
- MiddleJasper County
- HighJasper County
Listing Details
- Listing Provided Courtesy Of Re/max Around Atlanta East
Community Information
- AddressJeffries Road Tract A 32.55
- Subdivisionnone
- CityShady Dale
- CountyJasper
- StateGA
- Zip Code31085
Exterior
- Lot DescriptionPrivate
Additional Information
- Days on Market550
Price Change History for Jeffries Road Tract A 32.55, Shady Dale, GA (MLS® #10293839)
| Date | Details | Price | Change |
|---|---|---|---|
| Active | – | – | |
| Price Change | – | – | |
| Price Reduced (from $260,400) | $245,000 | $15,400 (5.91%) | |
| Active (from New) | – | – |
The data relating to real estate for sale on this web site comes in part from the Broker Reciprocity Program of Georgia MLS. Real estate listings held by brokerage firms other than Go Realty Of Georgia & Alabam are marked with the Broker Reciprocity logo and detailed information about them includes the name of the listing brokers.
The information being provided is for consumers' personal, non-commercial use and may not be used for any purpose other than to identify prospective properties consumers may be interested in purchasing. Information Deemed Reliable But Not Guaranteed.
The broker providing this data believes it to be correct, but advises interested parties to confirm them before relying on them in a purchase decision.
Copyright 2025 Georgia MLS. All rights reserved.
Listing information last updated on November 18th, 2025 at 3:45am CST.








