Hi There! Is this Your First Time?
Did you know if you Register you have access to free search tools including the ability to save listings and property searches? Did you know that you can bypass the search altogether and have listings sent directly to your email address? Check out our how-to page for more info.
- Price$500,000
- Acres10.71
- Built1900
Bells Ferry Road, Canton
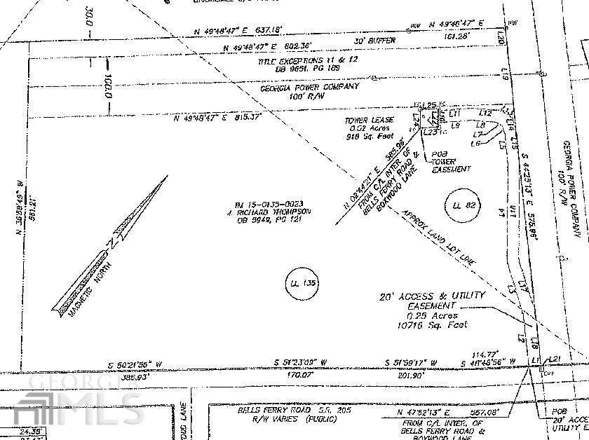
10.706+/- ACRES ON BELLS FERRY ROAD. PROPERTY HAS MIXED ZONING IN PLACE.PART IS ZONED NC AND THE REMAINDER IS ZONED O&I. LOCATED IN FRONT OF ONE OF CHEROKEE COUNTIES MOST PRESTIGIOUS SUBDIVISIONS BRIDGE MILL GOLF & COUNTRY CLUB. PROPERTY HAS FRONTAGE OF 850 FEET AND LOCATED BESIDE BARNETT PARK AND ACROSS FROM ELEMENTARY AND MIDDLE SCHOOL. TONS OF RESIDENTIAL LIVING IN THE IMMEDIATE AREA TO VARIOUS COMMERCIAL USES THIS PROPERTY IS INTENDED FOR. ALL UTILITIES ARE AVAILABLE TO SITE. APPROVED ZONING FOR COMMERCIAL AND OFFICE USES MAKES THIS SITE READY FOR DEVELOPMENT. BROKER HAS ZONING RESOLUTION WITH CONDITIONS AVAILABLE. SITE IS APPROVED FOR DOLLAR STORES, RETAIL STORES, COMMON MERCHANDISE,VETERINARY CLINIC, HEALTH CLUBS. PLEASE CALL WITH ANY QUESTIONS.
Essential Information
- MLS® #10352707
- Price$500,000
- Bathrooms0.00
- Acres10.71
- Year Built1900
- TypeCommercial Sale
- StatusActive
Amenities
- UtilitiesCable Available, High Speed Internet, Natural Gas Available, Other, Phone Available, Water Available
- ParkingOther
Exterior
- Lot DescriptionLevel
- RoofOther
- ConstructionOther
Listing Details
- Listing Provided Courtesy Of Cbc Metro Brokers
Community Information
- AddressBells Ferry Road
- SubdivisionNone
- CityCanton
- CountyCherokee
- StateGA
- Zip Code30114
Interior
- HeatingNone, Other
- CoolingOther
Additional Information
- Days on Market546
- ZoningNC
Price Change History for Bells Ferry Road, Canton, GA (MLS® #10352707)
| Date | Details | Price | Change |
|---|---|---|---|
| Active | – | – | |
| Back On Market | – | – | |
| Active | – | – | |
| Back On Market | – | – | |
| Active (from New) | – | – |
The data relating to real estate for sale on this web site comes in part from the Broker Reciprocity Program of Georgia MLS. Real estate listings held by brokerage firms other than Go Realty Of Georgia & Alabam are marked with the Broker Reciprocity logo and detailed information about them includes the name of the listing brokers.
The information being provided is for consumers' personal, non-commercial use and may not be used for any purpose other than to identify prospective properties consumers may be interested in purchasing. Information Deemed Reliable But Not Guaranteed.
The broker providing this data believes it to be correct, but advises interested parties to confirm them before relying on them in a purchase decision.
Copyright 2026 Georgia MLS. All rights reserved.
Listing information last updated on February 22nd, 2026 at 11:15pm CST.




