Hi There! Is this Your First Time?
Did you know if you Register you have access to free search tools including the ability to save listings and property searches? Did you know that you can bypass the search altogether and have listings sent directly to your email address? Check out our how-to page for more info.
- Price$169,000
- Acres10.49
Freedom Lane 18c, Commerce
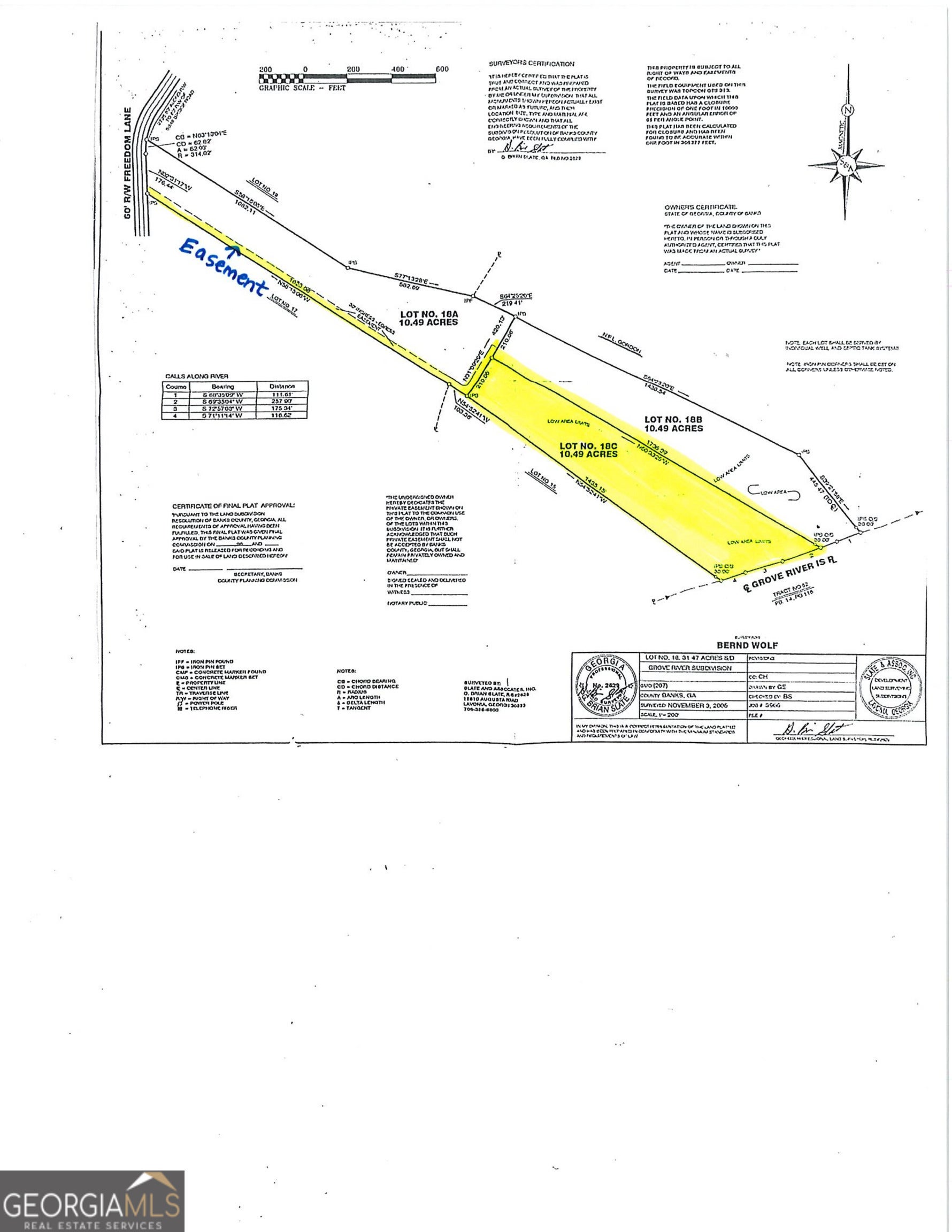
Discover the perfect blend of privacy and natural beauty on this expansive 10.49-acre lot, located off a private easement from Freedom Lane. This heavily wooded property offers multiple potential home sites, allowing you to build your dream home surrounded by nature. With over 250+ feet of serene river frontage on the Grover River, enjoy peaceful river views and the abundance of wildlife that call this area home. Whether you're looking for a secluded retreat or a prime spot for your forever home, this property offers endless possibilities. Don't miss this rare opportunity!
Essential Information
- MLS® #10380663
- Price$169,000
- Bathrooms0.00
- Acres10.49
- TypeLand
- Sub-TypeAgriculture
- StatusActive
Amenities
- UtilitiesElectricity Available, Water Available
School Information
- ElementaryBanks Co Primary/Elementary
- MiddleBanks County
- HighBanks County
Listing Details
- Listing Provided Courtesy Of Buffington Real Estate Group
Community Information
- AddressFreedom Lane 18c
- SubdivisionGrove River Estates
- CityCommerce
- CountyBanks
- StateGA
- Zip Code30530
Exterior
- Lot DescriptionOther
Additional Information
- Days on Market471
Price Change History for Freedom Lane 18c, Commerce, GA (MLS® #10380663)
| Date | Details | Price | Change |
|---|---|---|---|
| Active | – | – | |
| Back On Market | – | – | |
| Under Contract | – | – | |
| Active | – | – | |
| Price Change | – | – | |
| Show More (2) | |||
| Price Increased (from $160,000) | $169,000 | $9,000 (5.63%) | |
| Active (from New) | – | – | |
The data relating to real estate for sale on this web site comes in part from the Broker Reciprocity Program of Georgia MLS. Real estate listings held by brokerage firms other than Go Realty Of Georgia & Alabam are marked with the Broker Reciprocity logo and detailed information about them includes the name of the listing brokers.
The information being provided is for consumers' personal, non-commercial use and may not be used for any purpose other than to identify prospective properties consumers may be interested in purchasing. Information Deemed Reliable But Not Guaranteed.
The broker providing this data believes it to be correct, but advises interested parties to confirm them before relying on them in a purchase decision.
Copyright 2026 Georgia MLS. All rights reserved.
Listing information last updated on April 8th, 2026 at 7:45am CDT.
















