Hi There! Is this Your First Time?
Did you know if you Register you have access to free search tools including the ability to save listings and property searches? Did you know that you can bypass the search altogether and have listings sent directly to your email address? Check out our how-to page for more info.
- Price$1,150,000
- Acres0.57
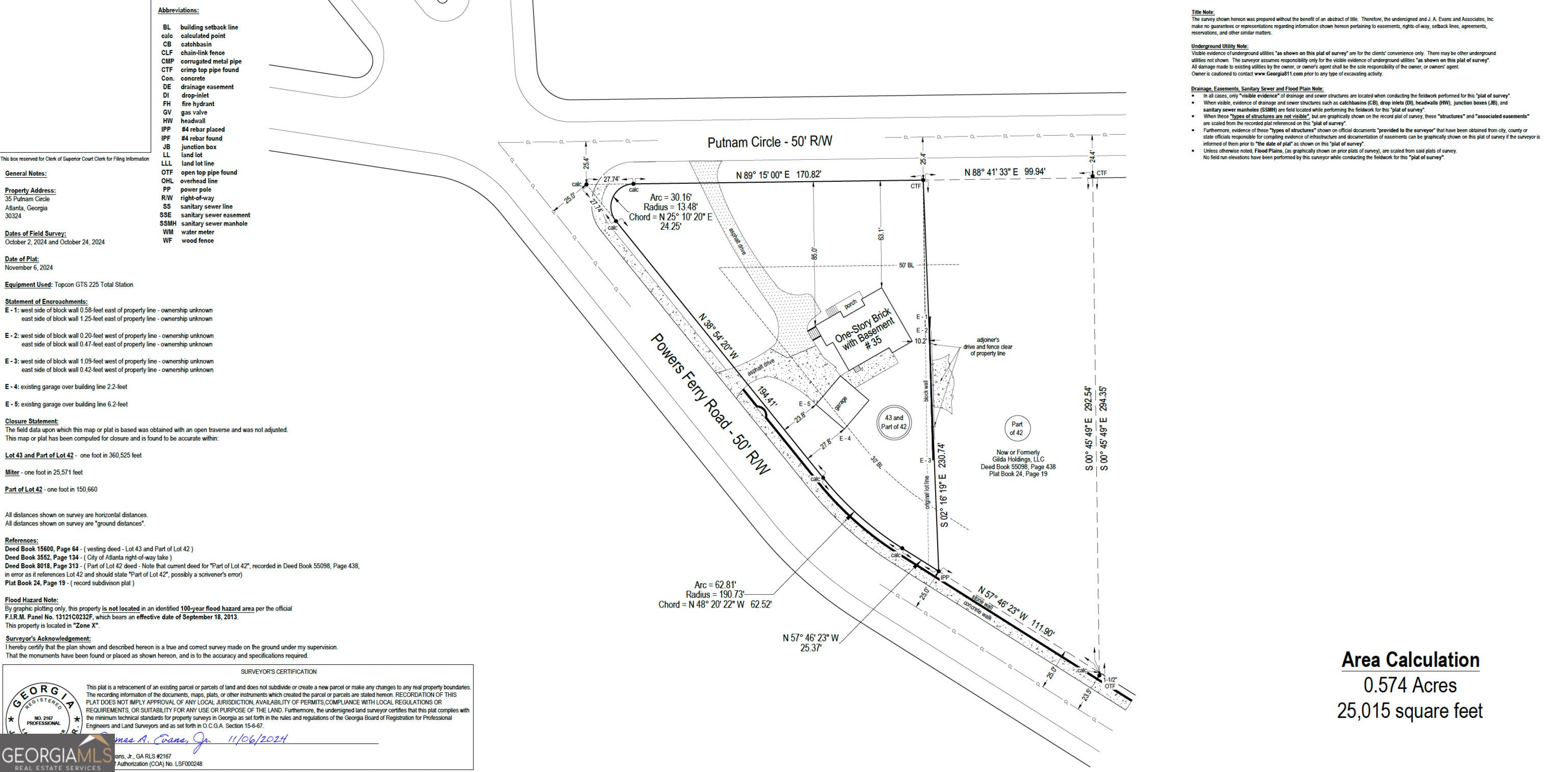
35 Putnam Circle Ne, Atlanta
NEW DEVELOPMENT OPPORTUNITY! Having never been on the market before, this rare corner lot in Chastain Park presents a unique development opportunity, offering a chance to build your dream home in this highly desirable neighborhood. Spanning approximately 0.5 acres, the triangular lot features a level front and a gentle slope, ideal for a circular driveway or porte cochere. The buildable area is located at the back, elevated above the street, providing panoramic views of the neighborhood and being surrounded by mature trees for added privacy. Conveniently located just 0.2 miles from Chastain Park, you'll have easy access to amenities including the PATH, golf course, pool, tennis courts, equestrian center, and amphitheater. This is an exceptional opportunity to build in a location that truly has it all! CONTACT FOR SURVEY CERTIFICATE
Essential Information
- MLS® #10388347
- Price$1,150,000
- Bathrooms0.00
- Acres0.57
- TypeLand
- Sub-TypeResidential Lot
- StatusActive
Amenities
- UtilitiesCable Available, Electricity Available, High Speed Internet, Natural Gas Available, Sewer Available, Phone Available, Water Available
School Information
- ElementaryJackson
- MiddleSutton
- HighNorth Atlanta
Listing Details
- Listing Provided Courtesy Of Exp Realty
Community Information
- Address35 Putnam Circle Ne
- SubdivisionChastain Park
- CityAtlanta
- CountyFulton
- StateGA
- Zip Code30342
Exterior
- Lot DescriptionCorner Lot, Private
Additional Information
- Days on Market375
Price Change History for 35 Putnam Circle Ne, Atlanta, GA (MLS® #10388347)
| Date | Details | Price | Change |
|---|---|---|---|
| Active | – | – | |
| Back On Market | – | – | |
| Under Contract | – | – | |
| Active (from New) | – | – |
The data relating to real estate for sale on this web site comes in part from the Broker Reciprocity Program of Georgia MLS. Real estate listings held by brokerage firms other than Go Realty Of Georgia & Alabam are marked with the Broker Reciprocity logo and detailed information about them includes the name of the listing brokers.
The information being provided is for consumers' personal, non-commercial use and may not be used for any purpose other than to identify prospective properties consumers may be interested in purchasing. Information Deemed Reliable But Not Guaranteed.
The broker providing this data believes it to be correct, but advises interested parties to confirm them before relying on them in a purchase decision.
Copyright 2025 Georgia MLS. All rights reserved.
Listing information last updated on November 19th, 2025 at 6:00am CST.





















