Hi There! Is this Your First Time?
Did you know if you Register you have access to free search tools including the ability to save listings and property searches? Did you know that you can bypass the search altogether and have listings sent directly to your email address? Check out our how-to page for more info.
- Price$499,000
- Acres12.75
Constitution Pointe, Dallas
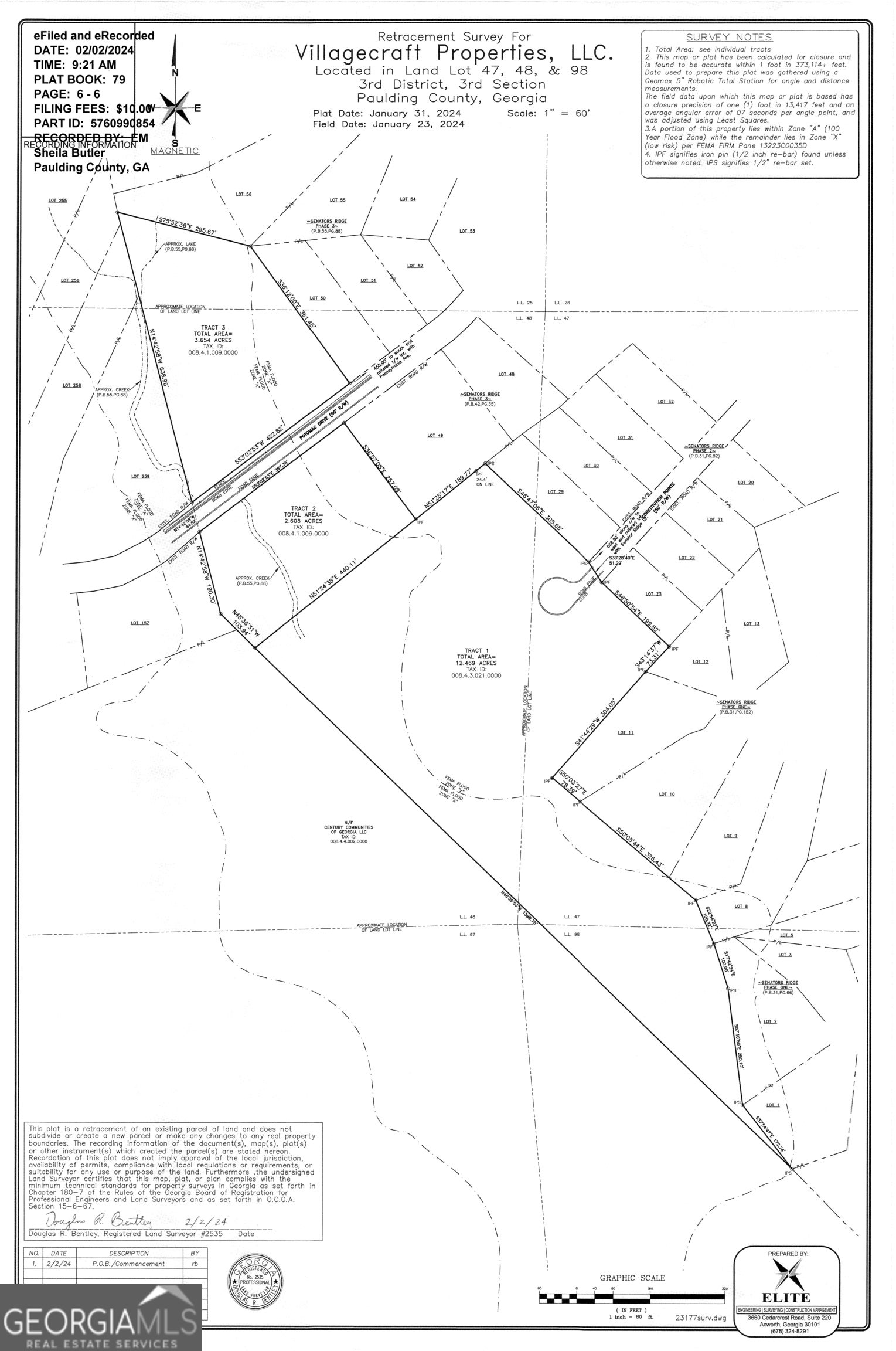
12.469 beautiful acres located on a private cul-de-sac in the Senators Ridge community. Property is flanked by a private wildlife sanctuary. Available as the full Tract 1: 12.469 acres for $700k for large estate or as 4 subdivided lots - see photos. Price is adjusted upward on individual lot sales as follows. Lot 1: $140K .89 acre, Lot 2: $220K 2.39 acres, Lot 3: $260K 7.75 acres, Lot 4: $160 1.15 acres. Builder/seller also owns and will sell the adjoining Tract 2 (2.608 acres) and Tract 3 (3.654 acres) for possible total acreage of 18.731. (See photos). Lots for sale or multiple options available for pre-sale build with builder/seller, Raines Residential: 1.In-house plans available to maximize the benefit of each lot. 2. Provide your own plans for lot fit discussion. 3. Design a custom home with one of our architects. In-house design services included.
Essential Information
- MLS® #10414321
- Price$499,000
- Bathrooms0.00
- Acres12.75
- TypeLand
- Sub-TypeResidential Lot
- StatusActive
Amenities
- UtilitiesCable Available, Electricity Available, High Speed Internet, Natural Gas Available, Phone Available, Underground Utilities, Water Available
School Information
- ElementaryBurnt Hickory
- MiddleMcClure
- HighNorth Paulding
Listing Details
- Listing Provided Courtesy Of Keller Williams Realty Atlanta North
- Office Info770-363-7115
Community Information
- AddressConstitution Pointe
- SubdivisionSenators Ridge
- CityDallas
- CountyPaulding
- StateGA
- Zip Code30132
Exterior
- Lot DescriptionCul-De-Sac, Private
Additional Information
- Days on Market450
Price Change History for Constitution Pointe, Dallas, GA (MLS® #10414321)
| Date | Details | Price | Change |
|---|---|---|---|
| Active | – | – | |
| Back On Market | – | – | |
| Active | – | – | |
| Price Change | – | – | |
| Price Reduced | $499,000 | $201,000 (28.71%) | |
| Show More (5) | |||
| Active | – | – | |
| Price Change | – | – | |
| Price Increased (from $400,000) | $700,000 | $300,000 (75.00%) | |
| Back On Market | – | – | |
| Active (from New) | – | – | |
The data relating to real estate for sale on this web site comes in part from the Broker Reciprocity Program of Georgia MLS. Real estate listings held by brokerage firms other than Go Realty Of Georgia & Alabam are marked with the Broker Reciprocity logo and detailed information about them includes the name of the listing brokers.
The information being provided is for consumers' personal, non-commercial use and may not be used for any purpose other than to identify prospective properties consumers may be interested in purchasing. Information Deemed Reliable But Not Guaranteed.
The broker providing this data believes it to be correct, but advises interested parties to confirm them before relying on them in a purchase decision.
Copyright 2026 Georgia MLS. All rights reserved.
Listing information last updated on April 3rd, 2026 at 7:46am CDT.




