Hi There! Is this Your First Time?
Did you know if you Register you have access to free search tools including the ability to save listings and property searches? Did you know that you can bypass the search altogether and have listings sent directly to your email address? Check out our how-to page for more info.
- Price$178,380
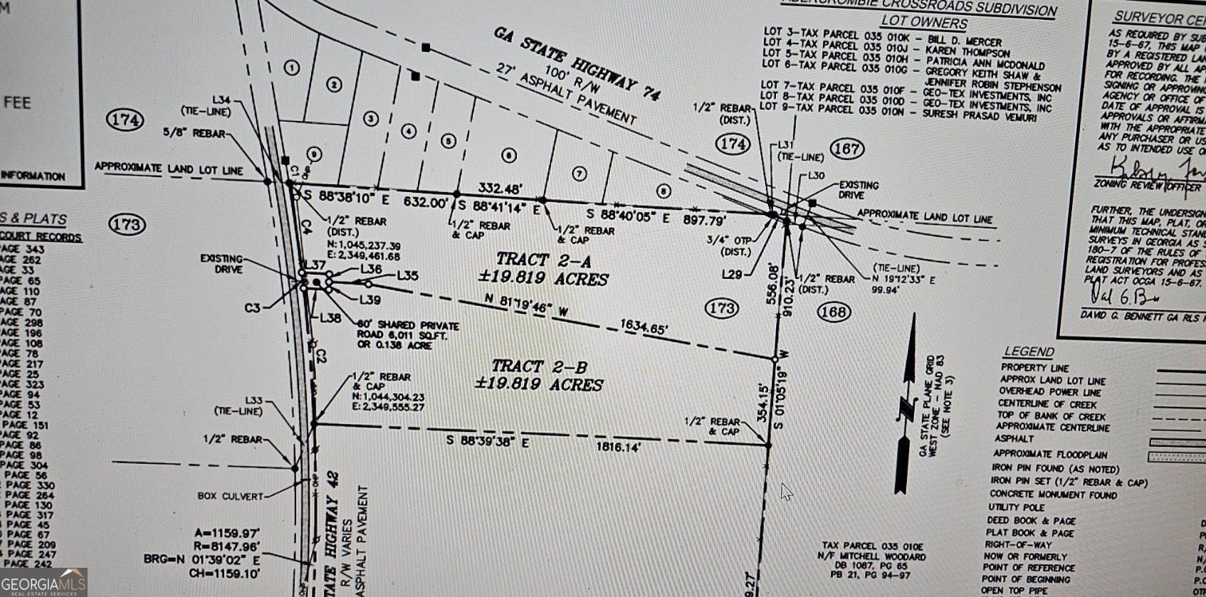
- Acres19.82
S Highway 42, Culloden
Tract 2-A is a newly subdivided wooded parcel with a shared driveway on Hwy 42 S just south of the intersection of Highway 74 and Highway 42. This tract has a small access drive on Highway 74 but can't be used for driveway. This tract can't be further subdivided.
Essential Information
- MLS® #10416040
- Price$178,380
- Bathrooms0.00
- Acres19.82
- TypeLand
- Sub-TypeUnimproved Land
- StatusActive
Amenities
- UtilitiesElectricity Available
- WaterfrontCreek
School Information
- ElementaryHubbard
- MiddleMonroe County
- HighMary Persons
Listing Details
- Listing Provided Courtesy Of Joel Vinson & Associates Inc.
Community Information
- AddressS Highway 42
- SubdivisionNone
- CityCulloden
- CountyMonroe
- StateGA
- Zip Code31016
Exterior
- Lot DescriptionNone
Additional Information
- Days on Market411
Price Change History for S Highway 42, Culloden, GA (MLS® #10416040)
| Date | Details | Price | Change |
|---|---|---|---|
| Active | – | – | |
| Price Change | – | – | |
| Price Reduced (from $198,200) | $178,380 | $19,820 (10.00%) | |
| Active | – | – | |
| Back On Market | – | – | |
| Show More (1) | |||
| Active (from New) | – | – | |
The data relating to real estate for sale on this web site comes in part from the Broker Reciprocity Program of Georgia MLS. Real estate listings held by brokerage firms other than Go Realty Of Georgia & Alabam are marked with the Broker Reciprocity logo and detailed information about them includes the name of the listing brokers.
The information being provided is for consumers' personal, non-commercial use and may not be used for any purpose other than to identify prospective properties consumers may be interested in purchasing. Information Deemed Reliable But Not Guaranteed.
The broker providing this data believes it to be correct, but advises interested parties to confirm them before relying on them in a purchase decision.
Copyright 2026 Georgia MLS. All rights reserved.
Listing information last updated on April 10th, 2026 at 3:47pm CDT.
