Hi There! Is this Your First Time?
Did you know if you Register you have access to free search tools including the ability to save listings and property searches? Did you know that you can bypass the search altogether and have listings sent directly to your email address? Check out our how-to page for more info.
- Price$1,295,000
- Acres120.00
4318 Hester Town Road, Madison
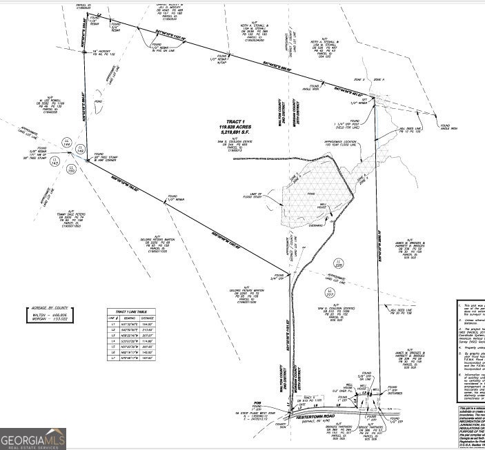
Surveyed recently! Beautiful 120+/- acres split evenly between Walton and Morgan counties provide endless opportunity for the next owner. 5 acre pond provides recreation in swimming, boating, and fishing. Pine timber covers 66% of property with 2 age groups potentially providing immediate and future income with the remaining property covered in hardwoods. There is a drilled well and electricity currently at the pond but not in use. This is a sportsman's paradise with fishing/hunting with pigs, deer, turkey, ducks, and geese currently on property. Continuous road frontage on Hester Town Road consists of roughly 610 feet in Morgan County. Nestled directly in between Good Hope, Bostwick, and I-20 or new Rivian facility this has endless potential for above average appreciation for years to come. Property is currently under conservation in both Walton and Morgan counties under the estate. Private guided tours only.
Essential Information
- MLS® #10421573
- Price$1,295,000
- Bathrooms0.00
- Acres120.00
- TypeLand
- Sub-TypeUnimproved Land
- StatusUnder Contract
Amenities
- UtilitiesCable Available, Electricity Available, Phone Available, Water Available
- WaterfrontPond
School Information
- ElementaryMorgan County Primary/Elementa
- MiddleMorgan County
- HighMorgan County
Listing Details
- Listing Provided Courtesy Of Keller Williams Realty Atl. Partners
Community Information
- Address4318 Hester Town Road
- SubdivisionNone
- CityMadison
- CountyMorgan
- StateGA
- Zip Code30650
Exterior
- Lot DescriptionOther
Additional Information
- Days on Market467
Price Change History for 4318 Hester Town Road, Madison, GA (MLS® #10421573)
| Date | Details | Price | Change |
|---|---|---|---|
| Under Contract | – | – | |
| Active | – | – | |
| Price Change | – | – | |
| Price Reduced | $1,295,000 | $200,000 (13.38%) | |
| Active | – | – | |
| Show More (9) | |||
| Price Change | – | – | |
| Price Reduced | $1,495,000 | $90,000 (5.68%) | |
| Active | – | – | |
| Price Change | – | – | |
| Price Reduced | $1,585,000 | $49,000 (3.00%) | |
| Active | – | – | |
| Price Change | – | – | |
| Price Reduced (from $1,695,000) | $1,634,000 | $61,000 (3.60%) | |
| Active (from New) | – | – | |
The data relating to real estate for sale on this web site comes in part from the Broker Reciprocity Program of Georgia MLS. Real estate listings held by brokerage firms other than Go Realty Of Georgia & Alabam are marked with the Broker Reciprocity logo and detailed information about them includes the name of the listing brokers.
The information being provided is for consumers' personal, non-commercial use and may not be used for any purpose other than to identify prospective properties consumers may be interested in purchasing. Information Deemed Reliable But Not Guaranteed.
The broker providing this data believes it to be correct, but advises interested parties to confirm them before relying on them in a purchase decision.
Copyright 2026 Georgia MLS. All rights reserved.
Listing information last updated on April 5th, 2026 at 2:45pm CDT.




















