Hi There! Is this Your First Time?
Did you know if you Register you have access to free search tools including the ability to save listings and property searches? Did you know that you can bypass the search altogether and have listings sent directly to your email address? Check out our how-to page for more info.
- Price$69,000
- Acres3.56
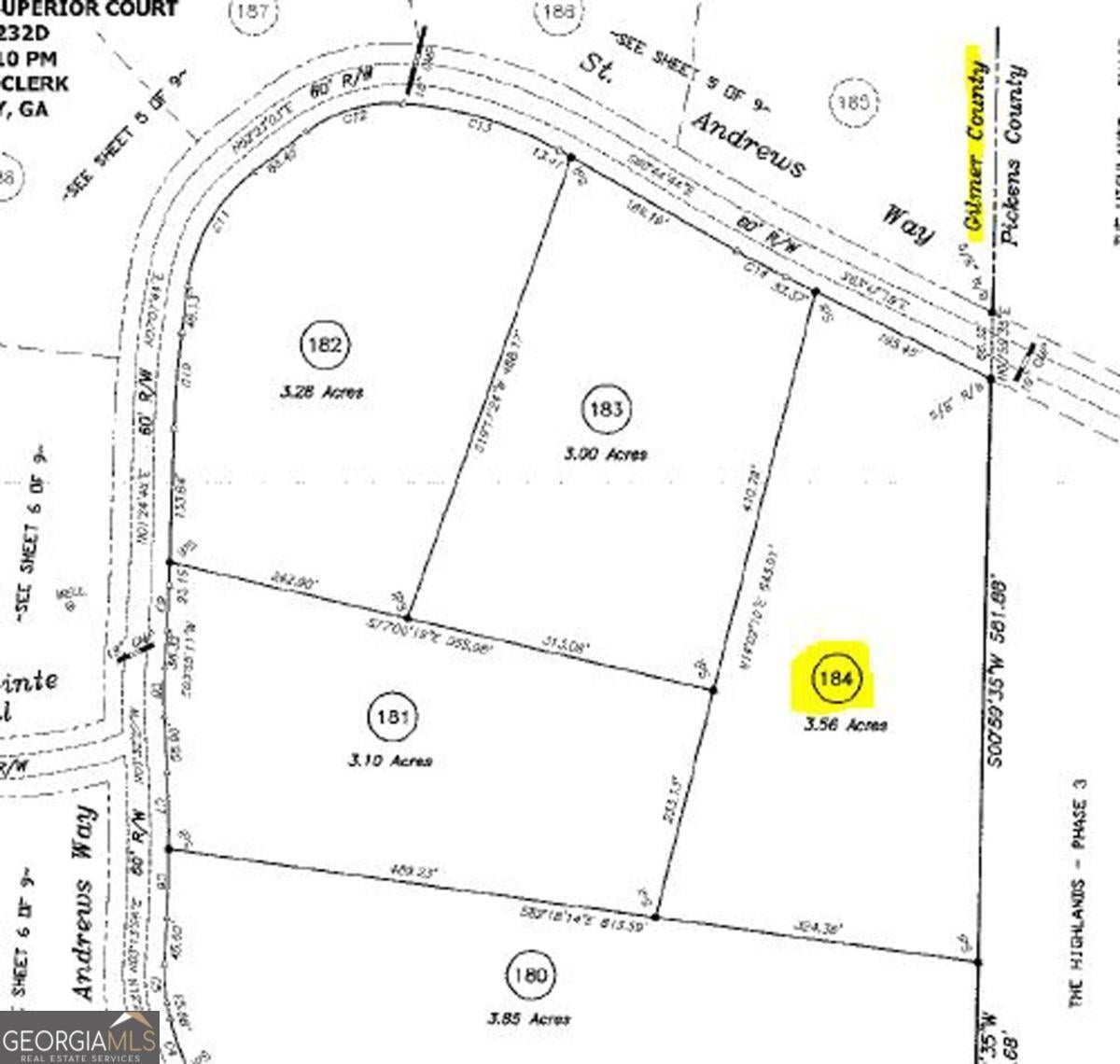
184 St Andrews Way, Ellijay
3.56 WALKABLE acres! This beautiful lot gently rises to a big level ridge allowing for an easy driveway and lots of flat and gentle building sites. The backside then gently slopes in the back to reveal beautiful seasonal views and more walkable land. Once you clear for your homesite, you'll be surrounded by seasonal mountain ridge views. This peaceful spot is deep in Georgian Highlands and is the perfect place to get away from highway noise! Georgian Highlands is a gorgeous gated mountain community with a state park feel and reasonable HOA fees. This luxury subdivision offers underground electric, phone, and cable, private roads, and a nature park with stream! Possible well on lot. HOA, no short term rentals, minimum 2000 sqft, high speed internet. Gated, all buyers must be with an agent. Terrain parcel line photos are an approximation only.
Essential Information
- MLS® #10427298
- Price$69,000
- Bathrooms0.00
- Acres3.56
- TypeLand
- Sub-TypeResidential Lot
- StatusActive
Amenities
- UtilitiesCable Available, Electricity Available, High Speed Internet, Phone Available, Underground Utilities
- ViewMountain(s), Seasonal View
School Information
- ElementaryOther
- MiddleClear Creek
- HighGilmer
Listing Details
- Listing Provided Courtesy Of Georgia Highlands Realty
Community Information
- Address184 St Andrews Way
- SubdivisionGeorgian Highlands
- CityEllijay
- CountyGilmer
- StateGA
- Zip Code30536
Exterior
- Lot DescriptionLevel, Private, Sloped
Additional Information
- Days on Market328
Price Change History for 184 St Andrews Way, Ellijay, GA (MLS® #10427298)
| Date | Details | Price | Change |
|---|---|---|---|
| Active (from New) | – | – |
The data relating to real estate for sale on this web site comes in part from the Broker Reciprocity Program of Georgia MLS. Real estate listings held by brokerage firms other than Go Realty Of Georgia & Alabam are marked with the Broker Reciprocity logo and detailed information about them includes the name of the listing brokers.
The information being provided is for consumers' personal, non-commercial use and may not be used for any purpose other than to identify prospective properties consumers may be interested in purchasing. Information Deemed Reliable But Not Guaranteed.
The broker providing this data believes it to be correct, but advises interested parties to confirm them before relying on them in a purchase decision.
Copyright 2025 Georgia MLS. All rights reserved.
Listing information last updated on December 22nd, 2025 at 8:15pm CST.






































