Hi There! Is this Your First Time?
Did you know if you Register you have access to free search tools including the ability to save listings and property searches? Did you know that you can bypass the search altogether and have listings sent directly to your email address? Check out our how-to page for more info.
- Price$449,900
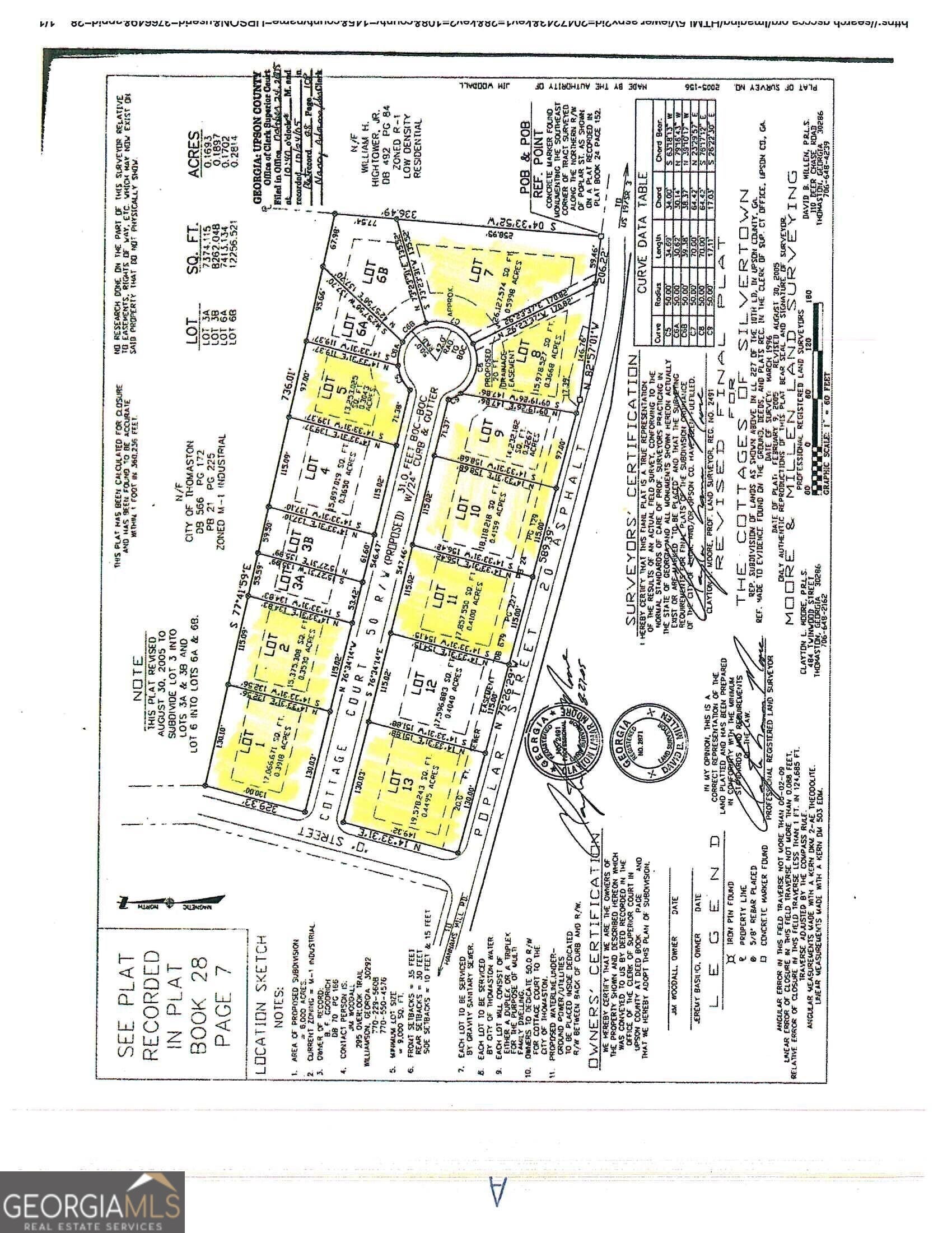
Lots On Cottage Court 1,2,5,7,8,9,10,11,13, Thomaston
Approved townhome Lots !!! Excellent opportunity for builders and investors. 9 Lots Approved for up to 21 Townhomes!! Ready to Build. Plat and Covenants attached to MLS listing. Convenient Location. Individual lots available for sale. Call listing agent for more information. Excellent opportunity for Builders. Just minutes to town.
Essential Information
- MLS® #10435548
- Price$449,900
- Bathrooms0.00
- Acres0.00
- TypeLand
- Sub-TypeResidential Lot
- StatusUnder Contract
Amenities
- UtilitiesCable Available, Electricity Available, Sewer Available, Phone Available, Water Available
School Information
- ElementaryUpson-Lee
- MiddleUpson Lee
- HighUpson Lee
Listing Details
- Listing Provided Courtesy Of Hr Heritage Realty, Inc.
Community Information
- AddressLots On Cottage Court 1,2,5,7,8,9,10,11,13
- SubdivisionThe Cottages of Silvertown
- CityThomaston
- CountyUpson
- StateGA
- Zip Code30286
Exterior
- Lot DescriptionLevel, Corner Lot, Cul-De-Sac
Additional Information
- Days on Market147
Price Change History for Lots On Cottage Court 1,2,5,7,8,9,10,11,13, Thomaston, GA (MLS® #10435548)
| Date | Details | Price | Change |
|---|---|---|---|
| Under Contract | – | – | |
| Active (from New) | – | – |
The data relating to real estate for sale on this web site comes in part from the Broker Reciprocity Program of Georgia MLS. Real estate listings held by brokerage firms other than Go Realty Of Georgia & Alabam are marked with the Broker Reciprocity logo and detailed information about them includes the name of the listing brokers.
The information being provided is for consumers' personal, non-commercial use and may not be used for any purpose other than to identify prospective properties consumers may be interested in purchasing. Information Deemed Reliable But Not Guaranteed.
The broker providing this data believes it to be correct, but advises interested parties to confirm them before relying on them in a purchase decision.
Copyright 2025 Georgia MLS. All rights reserved.
Listing information last updated on November 12th, 2025 at 7:31am CST.


