Hi There! Is this Your First Time?
Did you know if you Register you have access to free search tools including the ability to save listings and property searches? Did you know that you can bypass the search altogether and have listings sent directly to your email address? Check out our how-to page for more info.
- Price$99,000
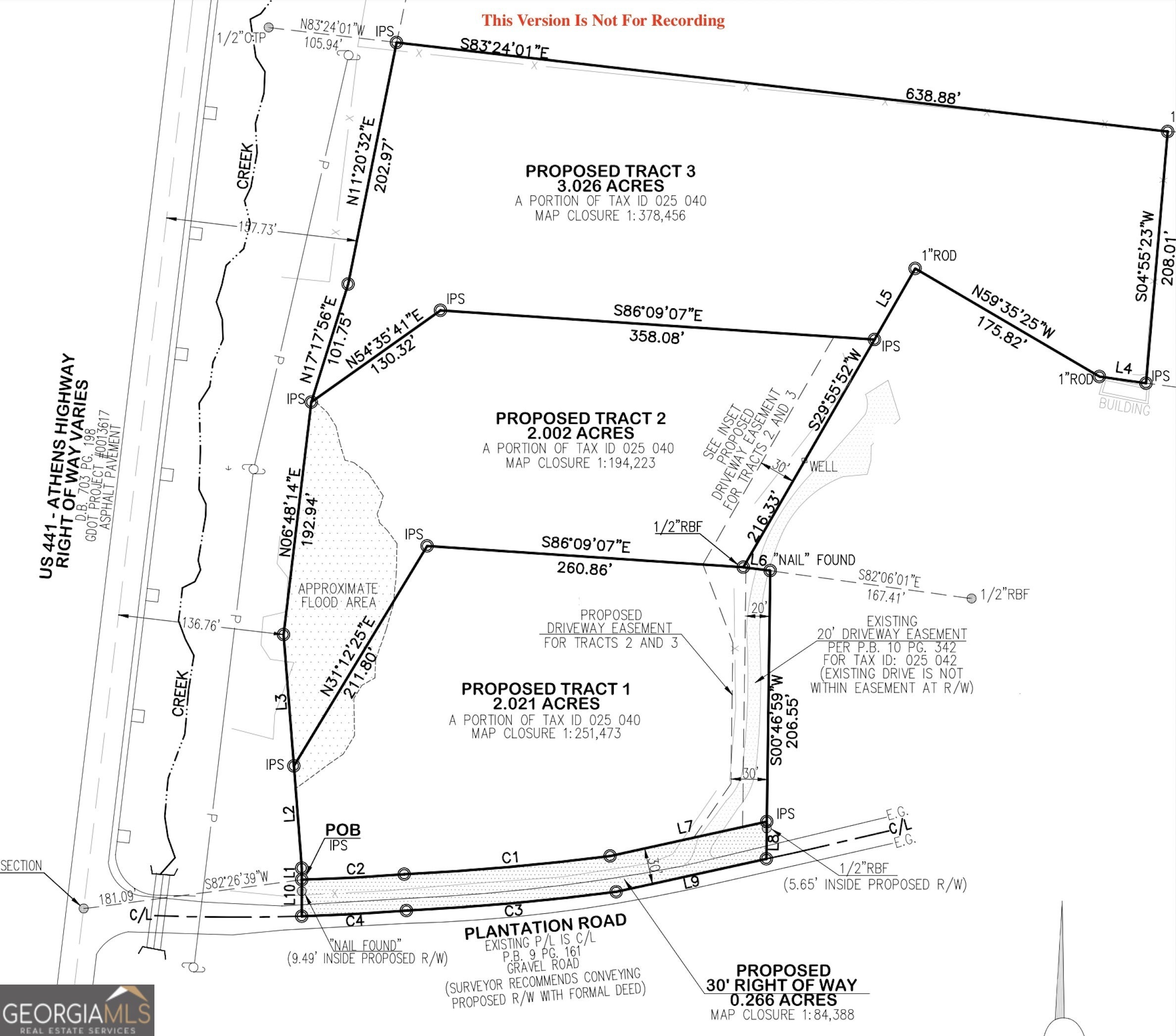
- Acres2.02
Plantation Road, Madison
For sale is Tract 1, just over 2 acres, at the corner of Plantation Road and Hwy 441 in North Morgan County. There are two adjacent tracts that can be acquired as well. The property has been mulched to best show the potential homesite location and soils are completed. A shared access coming off of Plantation Road will provide the future owner(s) of these three lots with easy access to Plantation Road and not have to put driveways on 441. The property is zoned AR, which allows for single family detached homes, multi-section individual manufactured homes, and modular homes and has a 1200 square foot heated floor area minimum per dwelling. Owner / Agent. Contact Longleaf Realty at 1 (888) 885 - 5273 or Brooks Pennington at (706) 474 - 0306.
Essential Information
- MLS® #10449769
- Price$99,000
- Bathrooms0.00
- Acres2.02
- TypeLand
- Sub-TypeResidential Lot
- StatusActive
Amenities
- UtilitiesElectricity Available, None
School Information
- ElementaryMorgan County Primary/Elementa
- MiddleMorgan County
- HighMorgan County
Listing Details
- Listing Provided Courtesy Of Longleaf Realty Trust, Llc
Community Information
- AddressPlantation Road
- Subdivisionnone
- CityMadison
- CountyMorgan
- StateGA
- Zip Code30650
Exterior
- Lot DescriptionNone
Additional Information
- Days on Market308
Price Change History for Plantation Road, Madison, GA (MLS® #10449769)
| Date | Details | Price | Change |
|---|---|---|---|
| Active | – | – | |
| Price Change | – | – | |
| Price Reduced | $99,000 | $900 (0.90%) | |
| Active | – | – | |
| Price Change | – | – | |
| Show More (2) | |||
| Price Increased (from $99,667) | $99,900 | $233 (0.23%) | |
| Active (from New) | – | – | |
The data relating to real estate for sale on this web site comes in part from the Broker Reciprocity Program of Georgia MLS. Real estate listings held by brokerage firms other than Go Realty Of Georgia & Alabam are marked with the Broker Reciprocity logo and detailed information about them includes the name of the listing brokers.
The information being provided is for consumers' personal, non-commercial use and may not be used for any purpose other than to identify prospective properties consumers may be interested in purchasing. Information Deemed Reliable But Not Guaranteed.
The broker providing this data believes it to be correct, but advises interested parties to confirm them before relying on them in a purchase decision.
Copyright 2025 Georgia MLS. All rights reserved.
Listing information last updated on December 23rd, 2025 at 4:31pm CST.






