Hi There! Is this Your First Time?
Did you know if you Register you have access to free search tools including the ability to save listings and property searches? Did you know that you can bypass the search altogether and have listings sent directly to your email address? Check out our how-to page for more info.
- Price$73,900
- Acres5.28
659 Giles Road, Forsyth
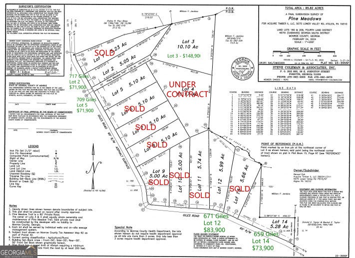
Lot 14 - a Pretty 5.28 +/- Acre Lot Ready for Your Future Home in Beautiful Forsyth, GA (Monroe County)! Welcome to Pine Meadows - a small development of road frontage acreage lots in Forsyth (this is not a formal subdivision, but acreage lots with road frontage). This estate lot is begging to be your future homesite. Recent survey and level one soil analysis available - soils tested suitable for a conventional septic system. The homesite area has some trees, but is not dense in woods, so clearing the homesite will be a breeze. Over 800' of road frontage on this lot. The neighboring lot is also for sale. Purchase both for a total of 10+ acres or bring a friend or family member and live side by side, if desired. High speed internet is available! Quiet and paved rural road with little traffic. I-75 is just 15 minutes away - making this the ideal location for those seeking the peace and quiet of a rural feel, yet the convenience of the interstate nearby. Visit the quaint downtown Forsyth square, where there are many great local small businesses, coffee shop, and restaurants and many local community events are held. Gas, grocery, shopping and dining are all less than 15 minutes away as well. Sought after Monroe County school system. Visit nearby Lake Juliette (approx 20-30 min away) for recreation and fishing in your spare time. Land financing is available through AG South with as little as 15% down or call your local bank. No modular/mobile homes - stick built only. Please see restrictive covenants.
Essential Information
- MLS® #10486101
- Price$73,900
- Bathrooms0.00
- Acres5.28
- TypeLand
- Sub-TypeUnimproved Land
- StatusUnder Contract
Amenities
- UtilitiesHigh Speed Internet, Electricity Available
School Information
- ElementaryKB Sutton
- MiddleMonroe County
- HighMary Persons
Listing Details
- Listing Provided Courtesy Of Bhgre Metro Brokers
Community Information
- Address659 Giles Road
- SubdivisionPine Meadows
- CityForsyth
- CountyMonroe
- StateGA
- Zip Code31029
Exterior
- Lot DescriptionLevel
Additional Information
- Days on Market236
Price Change History for 659 Giles Road, Forsyth, GA (MLS® #10486101)
| Date | Details | Price | Change |
|---|---|---|---|
| Under Contract | – | – | |
| Active | – | – | |
| Back On Market | – | – | |
| Active | – | – | |
| Price Change | – | – | |
| Show More (5) | |||
| Price Reduced | $73,900 | $1,000 (1.34%) | |
| Active | – | – | |
| Price Change | – | – | |
| Price Reduced (from $76,900) | $74,900 | $2,000 (2.60%) | |
| Active (from New) | – | – | |
The data relating to real estate for sale on this web site comes in part from the Broker Reciprocity Program of Georgia MLS. Real estate listings held by brokerage firms other than Go Realty Of Georgia & Alabam are marked with the Broker Reciprocity logo and detailed information about them includes the name of the listing brokers.
The information being provided is for consumers' personal, non-commercial use and may not be used for any purpose other than to identify prospective properties consumers may be interested in purchasing. Information Deemed Reliable But Not Guaranteed.
The broker providing this data believes it to be correct, but advises interested parties to confirm them before relying on them in a purchase decision.
Copyright 2025 Georgia MLS. All rights reserved.
Listing information last updated on December 19th, 2025 at 8:31am CST.



