Hi There! Is this Your First Time?
Did you know if you Register you have access to free search tools including the ability to save listings and property searches? Did you know that you can bypass the search altogether and have listings sent directly to your email address? Check out our how-to page for more info.
- Price$175,000
- Acres6.97
Afton Road #1, Dawsonville
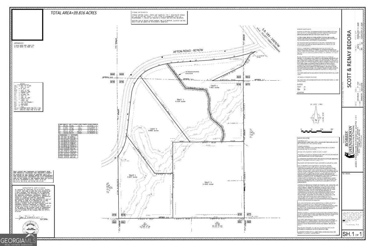
Don't miss the opportunity to own 6.967 acres of undeveloped land on Afton Road in Dawsonville, GA, offering the perfect canvas for your dream home. This property features a prime home site with additional space for a workshop or garage, all set on rolling, scenic topography. Located approximately 11 miles from downtown Dawsonville, 15 miles from GA 400, and around 60 miles to Atlanta, this land offers a peaceful, rural setting with convenient access to major roads and city amenities. Enjoy nearby recreational destinations such as Amicalola Falls State Park, Iron Mountain, and Lake Lanier, perfect for hiking, fishing, boating, and more. Additionally, the property is just minutes from Big Canoe and the Foothills shopping area, offering easy access to dining and shopping. Tracts 2-5 are also available for sale, providing even more opportunities for expansion or development. Don't wait, contact us today to secure this beautiful piece of North Georgia land! Tract 2-GAMLS #10486884 Tract 3-GAMLS #10486978 Tract 4-GAMLS #10486991 Tract 5-GAMLS #10486997 Please note: This property being sold is identified as Tract 1, which is part of a larger parcel. The boundaries and details of Tract 1 are as outlined and depicted on the survey provided in the photos.
Essential Information
- MLS® #10486883
- Price$175,000
- Bathrooms0.00
- Acres6.97
- TypeLand
- Sub-TypeUnimproved Land
- StatusActive
Amenities
- UtilitiesElectricity Available
- WaterfrontCreek
School Information
- ElementaryRobinson
- MiddleDawson County
- HighDawson County
Listing Details
- Listing Provided Courtesy Of Homesmart
Community Information
- AddressAfton Road #1
- SubdivisionNone
- CityDawsonville
- CountyDawson
- StateGA
- Zip Code30534
Exterior
- Lot DescriptionPrivate
Additional Information
- Days on Market226
Price Change History for Afton Road #1, Dawsonville, GA (MLS® #10486883)
| Date | Details | Price | Change |
|---|---|---|---|
| Active (from New) | – | – |
The data relating to real estate for sale on this web site comes in part from the Broker Reciprocity Program of Georgia MLS. Real estate listings held by brokerage firms other than Go Realty Of Georgia & Alabam are marked with the Broker Reciprocity logo and detailed information about them includes the name of the listing brokers.
The information being provided is for consumers' personal, non-commercial use and may not be used for any purpose other than to identify prospective properties consumers may be interested in purchasing. Information Deemed Reliable But Not Guaranteed.
The broker providing this data believes it to be correct, but advises interested parties to confirm them before relying on them in a purchase decision.
Copyright 2025 Georgia MLS. All rights reserved.
Listing information last updated on December 19th, 2025 at 3:31pm CST.





















