Hi There! Is this Your First Time?
Did you know if you Register you have access to free search tools including the ability to save listings and property searches? Did you know that you can bypass the search altogether and have listings sent directly to your email address? Check out our how-to page for more info.
- Price$179,999
- Acres20.91
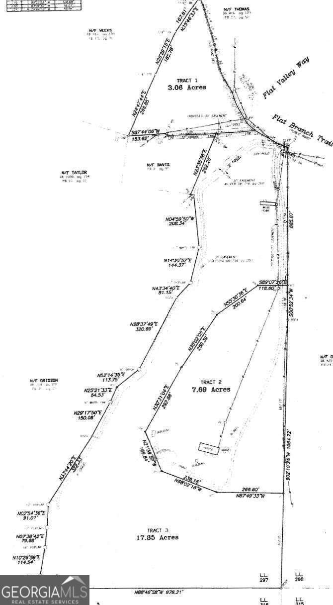
Tr1tr3 Flat Branch Trail, Ellijay
Almost 21 acres with no HOA and unrestricted living with lots of privacy depending on where you build! Zoned agriculture you can use this land for so many purposes like hunting, farming, camping, running ATVs, or building any type of home that city and county ordinances allow. Located near the end of a road and just past rolling pastures you'll find 2 tracts (TR 1 & TR 3) that have been combined into 1 parcel. At the road you'll find TR 3 on the left, and TR 1 on the right - they are separated by a driveway easement so it is easy to find. TR 1 is triangular in shape and slopes gently upward to a rolling slope, has a walkable grade with wonderful building sites of your choosing. TR 3 is where all the fun is! Think of it in 3 sections: the front section is rolling terrain, the middle is a seasonal creek running down the center with the path at the side, and the large back section where you'll cross the creek and walk uphill. At the road front look for another easement driveway near the left boundary on the front portion. Looking from Flat Branch Trl roadside you'll find a wide path in the middle of the parcel that will take you on a walk almost all the way to the back of this long parcel. There are several building sites on this tract. You'll see an old mobile home on the survey that is no longer there which is a nice area. If you're looking for ultimate privacy you can build way to the back Southern-most portion which rises up a hill and may possible produce some amazing mountain views and very few homes nearby. Paved road most of the way. In the photos you'll find the survey, and some marked up satellite images to help you find approximate location of landmarks. Take a copy of the survey and landmark images you'll find in the photos. A compass helps too.
Essential Information
- MLS® #10513090
- Price$179,999
- Bathrooms0.00
- Acres20.91
- TypeLand
- Sub-TypeAgriculture
- StatusActive
Amenities
- UtilitiesCable Available, Electricity Available
- ViewMountain(s), Seasonal View
School Information
- ElementaryEllijay Primary/Elementary
- MiddleOther
- HighGilmer
Listing Details
- Listing Provided Courtesy Of Georgia Highlands Realty
Community Information
- AddressTr1tr3 Flat Branch Trail
- Subdivisionnone
- CityEllijay
- CountyGilmer
- StateGA
- Zip Code30540
Exterior
- Lot DescriptionPrivate, Sloped
Additional Information
- Days on Market190
Price Change History for Tr1tr3 Flat Branch Trail, Ellijay, GA (MLS® #10513090)
| Date | Details | Price | Change |
|---|---|---|---|
| Active | – | – | |
| Price Change | – | – | |
| Price Reduced (from $199,999) | $179,999 | $20,000 (10.00%) | |
| Active (from New) | – | – |
The data relating to real estate for sale on this web site comes in part from the Broker Reciprocity Program of Georgia MLS. Real estate listings held by brokerage firms other than Go Realty Of Georgia & Alabam are marked with the Broker Reciprocity logo and detailed information about them includes the name of the listing brokers.
The information being provided is for consumers' personal, non-commercial use and may not be used for any purpose other than to identify prospective properties consumers may be interested in purchasing. Information Deemed Reliable But Not Guaranteed.
The broker providing this data believes it to be correct, but advises interested parties to confirm them before relying on them in a purchase decision.
Copyright 2025 Georgia MLS. All rights reserved.
Listing information last updated on December 17th, 2025 at 4:46pm CST.






















