Hi There! Is this Your First Time?
Did you know if you Register you have access to free search tools including the ability to save listings and property searches? Did you know that you can bypass the search altogether and have listings sent directly to your email address? Check out our how-to page for more info.
- Price$349,000
- Beds3
- Baths2
- SQ. Feet1,729
- Acres0.78
- Built1955
426 Poplar Street, Madison
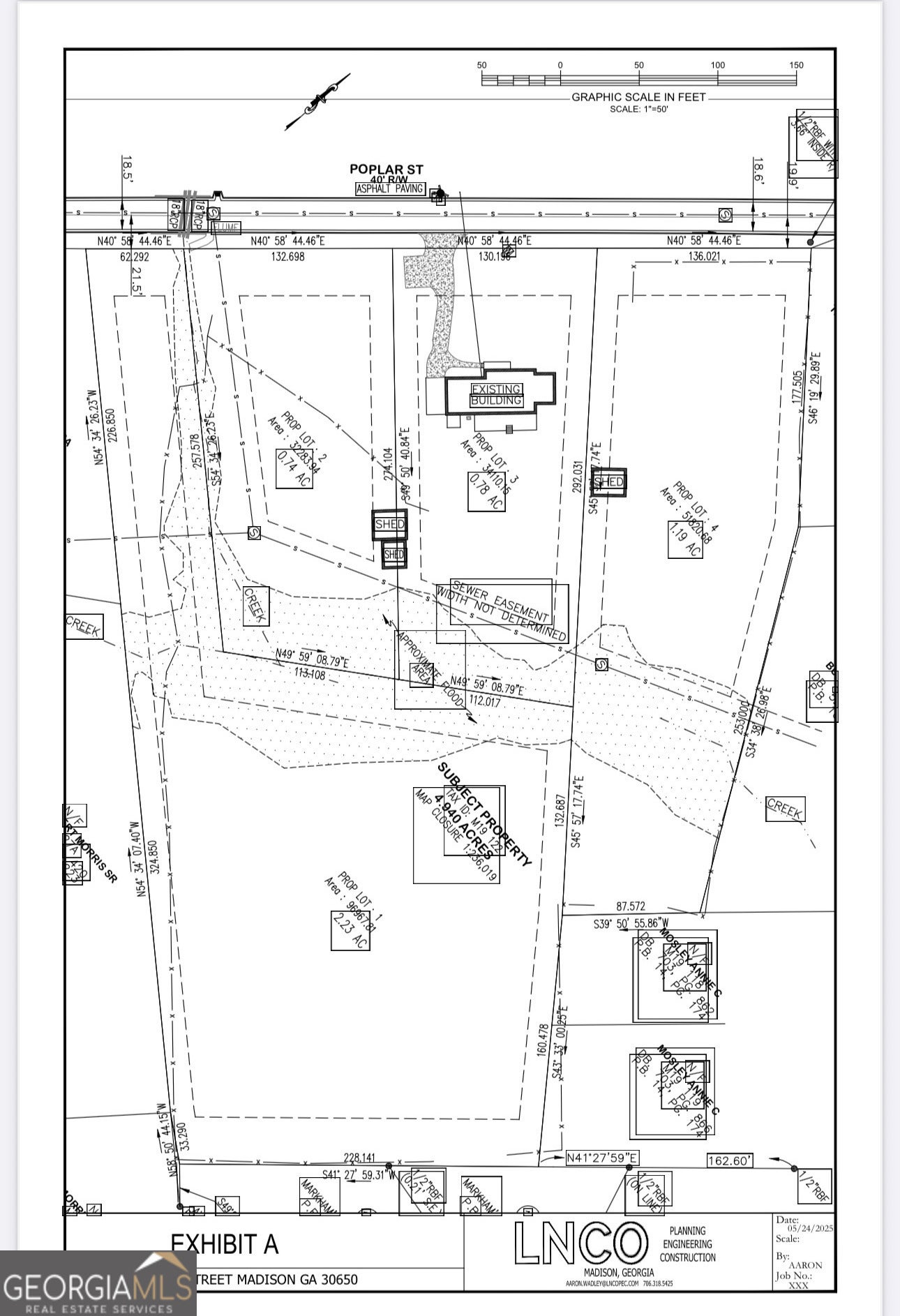
Enjoy peaceful country living in the quaint and storied district of Madison, just a short walk from downtown shops and restaurants. Nestled on a generous 0.78-acre lot, this all-brick, single-level ranch offers a simple, easy lifestyle surrounded by nature's beauty. Backyard includes plenty of space for a gardens and backs up to Horse Branch Creek. The home features 3 bedrooms and 2 full baths tucked on one end for privacy, with the kitchen, laundry room, and living area on the other-providing an ideal layout for everyday living. A window above the kitchen sink overlooks the serene backyard, offering calming views of lush greenery. Step outside to a spacious screened porch and covered back deck, perfect for enjoying morning coffee or evening relaxation in the fresh air. Partial basement with exterior access-great for storage or workshop space Attic access for additional storage potential. Beautiful backyard with open views that inspire tranquility. Whether you're looking for a full-time residence or a charming getaway, this well-located home combines timeless appeal with everyday comfort. Please note that this property is being subdivided and the house shall be sold with .78 acres retained. Preliminary Plat available. More acreage available, 4.94 total. All information deemed reliable, but not guaranteed. Buyer should verify during due diligence.
Essential Information
- MLS® #10531170
- Price$349,000
- Bedrooms3
- Bathrooms2.00
- Full Baths2
- Square Footage1,729
- Acres0.78
- Year Built1955
- TypeResidential
- Sub-TypeSingle Family Residence
- StyleRanch
- StatusActive
Amenities
- UtilitiesNatural Gas Available
- ParkingCarport, Kitchen Level, Off Street, Parking Pad, Side/Rear Entrance
Exterior
- Lot DescriptionCity Lot, Sloped
- RoofComposition
- ConstructionBrick
Additional Information
- Days on Market163
Community Information
- Address426 Poplar Street
- SubdivisionNone
- CityMadison
- CountyMorgan
- StateGA
- Zip Code30650
Interior
- Interior FeaturesBookcases, Master On Main Level, Pulldown Attic Stairs, Separate Shower
- AppliancesDishwasher, Electric Water Heater, Oven/Range (Combo), Refrigerator
- HeatingCentral
- CoolingWindow Unit(s)
- StoriesOne
School Information
- ElementaryMorgan County Primary/Elementa
- MiddleMorgan County
- HighMorgan County
Listing Details
- Listing Provided Courtesy Of Madison Realty
Price Change History for 426 Poplar Street, Madison, GA (MLS® #10531170)
| Date | Details | Price | Change |
|---|---|---|---|
| Active | – | – | |
| Price Change | – | – | |
| Price Reduced | $349,000 | $50,000 (12.53%) | |
| Active | – | – | |
| Price Change | – | – | |
| Show More (2) | |||
| Price Reduced (from $449,000) | $399,000 | $50,000 (11.14%) | |
| Active (from New) | – | – | |
The data relating to real estate for sale on this web site comes in part from the Broker Reciprocity Program of Georgia MLS. Real estate listings held by brokerage firms other than Go Realty Of Georgia & Alabam are marked with the Broker Reciprocity logo and detailed information about them includes the name of the listing brokers.
The information being provided is for consumers' personal, non-commercial use and may not be used for any purpose other than to identify prospective properties consumers may be interested in purchasing. Information Deemed Reliable But Not Guaranteed.
The broker providing this data believes it to be correct, but advises interested parties to confirm them before relying on them in a purchase decision.
Copyright 2025 Georgia MLS. All rights reserved.
Listing information last updated on December 25th, 2025 at 12:00am CST.
























































