Hi There! Is this Your First Time?
Did you know if you Register you have access to free search tools including the ability to save listings and property searches? Did you know that you can bypass the search altogether and have listings sent directly to your email address? Check out our how-to page for more info.
- Price$84,000
- Acres1.68
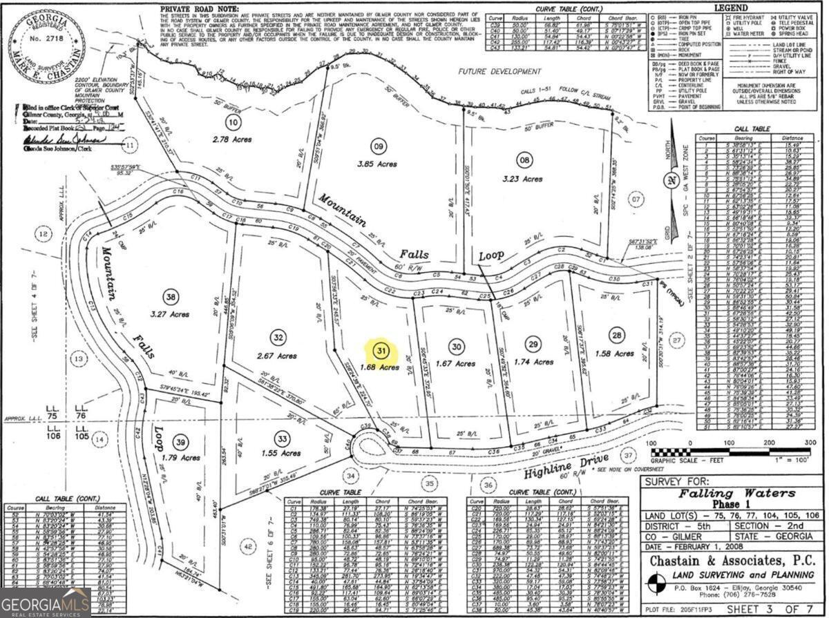
31 Highline Drive, Ellijay
Long Range Views that could be unobstructed once your homesite is cleared. Gentle at the front allowing for an easy driveway and a nice building site. The terrain then turns to rolling slope that is perfect for a walk out basement. It then graduates to a steep slope opening up possibilities for those amazing views. Once you walk the lot you will be able to see the view potential. Located at the end of a peaceful road and deep in the middle of the beautiful community of Falling Waters, you'll be situated to enjoy the sounds of nature. You'll love this gated subdivision with easy to navigate wide paved roads, quaint fishing lake, hiking path alongside a crashing creek, and so much more. Perked, underground electric, phone, cable, and fiber optic internet at the road front. Already has a 911 address: 194 Highline Drive. The terrain photos are approximation only by using GPS to help gain a rough idea of the lay of the land. The view photos were droned just above the treetops to help you visualize some possibilities only. Custom home design and vista pruning must be approved by HOA Architectural committee. HOA, gated, all buyers must be with an agent. No rentals.
Essential Information
- MLS® #10573579
- Price$84,000
- Bathrooms0.00
- Acres1.68
- TypeLand
- Sub-TypeResidential Lot
- StatusActive
Amenities
- UtilitiesCable Available, Electricity Available, High Speed Internet, Phone Available, Underground Utilities
- ViewMountain(s)
School Information
- ElementaryOther
- MiddleClear Creek
- HighGilmer
Listing Details
- Listing Provided Courtesy Of Georgia Highlands Realty
Community Information
- Address31 Highline Drive
- SubdivisionFalling Waters
- CityEllijay
- CountyGilmer
- StateGA
- Zip Code30536
Exterior
- Lot DescriptionLevel, Sloped, Steep Slope
Additional Information
- Days on Market102
Price Change History for 31 Highline Drive, Ellijay, GA (MLS® #10573579)
| Date | Details | Price | Change |
|---|---|---|---|
| Active (from New) | – | – |
The data relating to real estate for sale on this web site comes in part from the Broker Reciprocity Program of Georgia MLS. Real estate listings held by brokerage firms other than Go Realty Of Georgia & Alabam are marked with the Broker Reciprocity logo and detailed information about them includes the name of the listing brokers.
The information being provided is for consumers' personal, non-commercial use and may not be used for any purpose other than to identify prospective properties consumers may be interested in purchasing. Information Deemed Reliable But Not Guaranteed.
The broker providing this data believes it to be correct, but advises interested parties to confirm them before relying on them in a purchase decision.
Copyright 2025 Georgia MLS. All rights reserved.
Listing information last updated on December 18th, 2025 at 3:31pm CST.


































