Hi There! Is this Your First Time?
Did you know if you Register you have access to free search tools including the ability to save listings and property searches? Did you know that you can bypass the search altogether and have listings sent directly to your email address? Check out our how-to page for more info.
- Price$400,000
- Acres4.47
1160 W Memorial Drive, Dallas
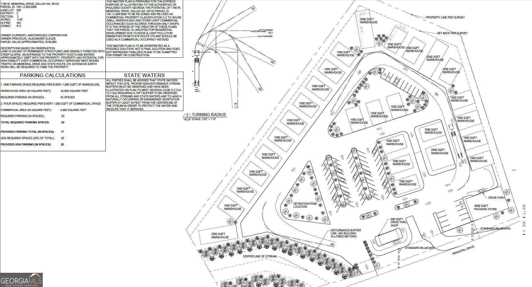
4.47 Acres - PRIVATE HOMESTEAD or Light Industrial / Commercial Development Opportunity in Paulding County, GA This 4.47 acre parcel at 1160 W Memorial Drive offers a rare, shovel-ready vision for transformation into a light industrial and commercial hub. Currently zoned R-2 (Suburban Residential), the property has strong potential for rezoning to I-2, unlocking opportunities for small warehouses, drive-thru retail, and other light commercial uses. The concept master plan seen in the photos envisions: 42,000 sq ft of warehouse space across multiple 1,500-2,500 sq ft units 4,800 sq ft of commercial space, including an 800 sq ft drive-thru shop and a 4,000 sq ft retail package store Ample parking with 77 planned spaces (exceeding county requirements) Strategic placement for billboard advertising along Memorial Drive and Hwy 278 Engineered detention pond and state waters buffer compliance for environmental stewardship Located inside Paulding County (not the City of Dallas), the property benefits from lower taxes while maintaining close proximity to major corridors, retail centers, and residential neighborhoods. High traffic counts along Hwy 278 make this site ideal for businesses targeting both commuter and local markets. Whether pursued as a multi-tenant industrial park, mixed-use commercial complex, or single-user facility, this property delivers exceptional location, infrastructure potential, and growth upside.
Essential Information
- MLS® #10583162
- Price$400,000
- Bathrooms0.00
- Acres4.47
- TypeLand
- Sub-TypeUnimproved Land
- StatusActive
Amenities
- UtilitiesOther
School Information
- ElementaryDallas
- MiddleOther
- HighOther
Listing Details
- Listing Provided Courtesy Of Housewell.com Realty
Community Information
- Address1160 W Memorial Drive
- SubdivisionNone
- CityDallas
- CountyPaulding
- StateGA
- Zip Code30132
Exterior
- Lot DescriptionOther
Additional Information
- Days on Market86
Price Change History for 1160 W Memorial Drive, Dallas, GA (MLS® #10583162)
| Date | Details | Price | Change |
|---|---|---|---|
| Active (from New) | – | – |
The data relating to real estate for sale on this web site comes in part from the Broker Reciprocity Program of Georgia MLS. Real estate listings held by brokerage firms other than Go Realty Of Georgia & Alabam are marked with the Broker Reciprocity logo and detailed information about them includes the name of the listing brokers.
The information being provided is for consumers' personal, non-commercial use and may not be used for any purpose other than to identify prospective properties consumers may be interested in purchasing. Information Deemed Reliable But Not Guaranteed.
The broker providing this data believes it to be correct, but advises interested parties to confirm them before relying on them in a purchase decision.
Copyright 2025 Georgia MLS. All rights reserved.
Listing information last updated on December 18th, 2025 at 12:00am CST.



