Hi There! Is this Your First Time?
Did you know if you Register you have access to free search tools including the ability to save listings and property searches? Did you know that you can bypass the search altogether and have listings sent directly to your email address? Check out our how-to page for more info.
- Price$125,000
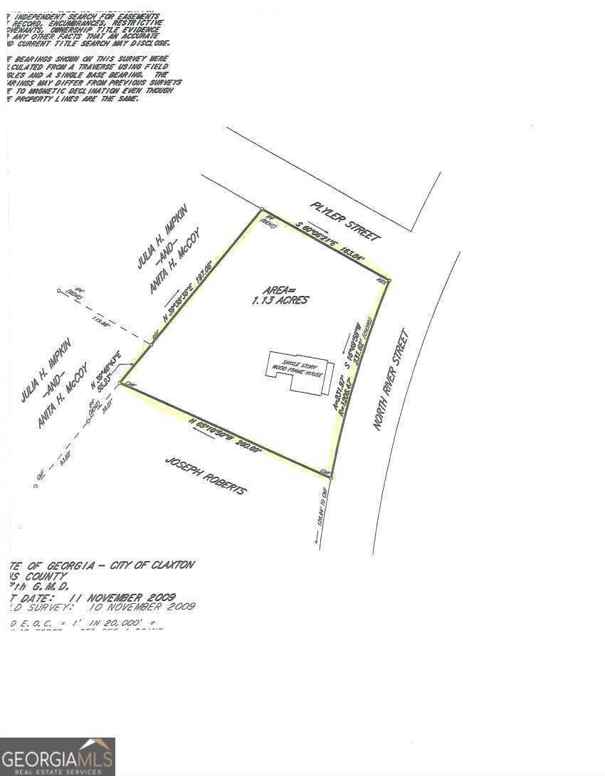
- Acres1.13
- Built1910
326 N River Street, Claxton
Double paved road frontage. Joins Huddle House property and is across from a shopping center. Walking distance to banks, hotels/motels, restaurants and various other retail establishments. Old home on the property of little to no value.
Essential Information
- MLS® #10591932
- Price$125,000
- Bathrooms0.00
- Acres1.13
- Year Built1910
- TypeCommercial Sale
- StatusUnder Contract
Amenities
- UtilitiesCable Available, Electricity Available, High Speed Internet, Natural Gas Available, Sewer Available, Water Available
- ParkingOther
Exterior
- Lot DescriptionCorner Lot
- RoofComposition
- ConstructionWood Siding
Listing Details
- Listing Provided Courtesy Of Community Realty
- Office Info(912) 334-0044
Community Information
- Address326 N River Street
- SubdivisionNone
- CityClaxton
- CountyEvans
- StateGA
- Zip Code30417
Interior
- HeatingNone
- CoolingNone
Additional Information
- Days on Market171
- ZoningYES
Price Change History for 326 N River Street, Claxton, GA (MLS® #10591932)
| Date | Details | Price | Change |
|---|---|---|---|
| Under Contract | – | – | |
| Active (from New) | – | – |
The data relating to real estate for sale on this web site comes in part from the Broker Reciprocity Program of Georgia MLS. Real estate listings held by brokerage firms other than Go Realty Of Georgia & Alabam are marked with the Broker Reciprocity logo and detailed information about them includes the name of the listing brokers.
The information being provided is for consumers' personal, non-commercial use and may not be used for any purpose other than to identify prospective properties consumers may be interested in purchasing. Information Deemed Reliable But Not Guaranteed.
The broker providing this data believes it to be correct, but advises interested parties to confirm them before relying on them in a purchase decision.
Copyright 2026 Georgia MLS. All rights reserved.
Listing information last updated on February 26th, 2026 at 7:30am CST.














