Hi There! Is this Your First Time?
Did you know if you Register you have access to free search tools including the ability to save listings and property searches? Did you know that you can bypass the search altogether and have listings sent directly to your email address? Check out our how-to page for more info.
- Price$15,900
- Acres0.91
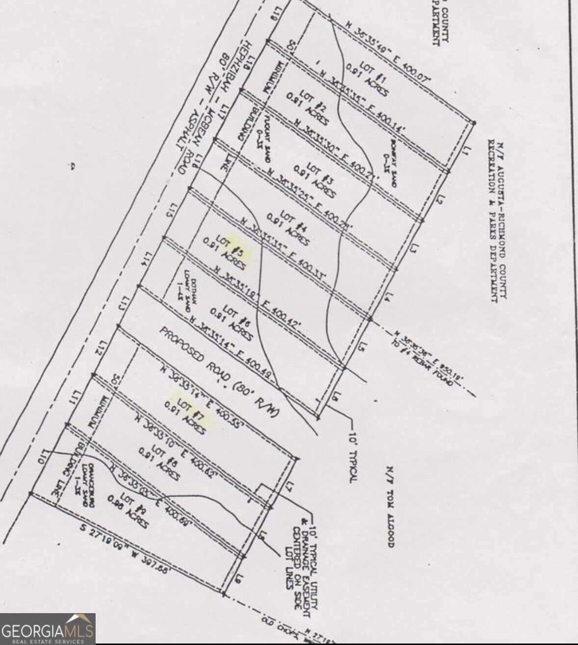
1123 Hephzibah Mcbean Road, Hephzibah
This 0.91-acre lot is ready for your next home. With access to public water and public sewer and very reasonable tap fees, it's perfect for building a new stick-built home or placing a manufactured/mobile home. Contact your local mobile home dealer for setup options.
Essential Information
- MLS® #10592615
- Price$15,900
- Bathrooms0.00
- Acres0.91
- TypeLand
- Sub-TypeUnimproved Land
- StatusUnder Contract
Amenities
- UtilitiesCable Available, Electricity Available, High Speed Internet, Sewer Available, Underground Utilities, Water Available
School Information
- ElementaryMcbean
- MiddlePine Hill
- HighCross Creek
Listing Details
- Listing Provided Courtesy Of Rawls Realty Inc.
Community Information
- Address1123 Hephzibah Mcbean Road
- SubdivisionNone
- CityHephzibah
- CountyRichmond
- StateGA
- Zip Code30815
Exterior
- Lot DescriptionCorner Lot
Additional Information
- Days on Market93
Price Change History for 1123 Hephzibah Mcbean Road, Hephzibah, GA (MLS® #10592615)
| Date | Details | Price | Change |
|---|---|---|---|
| Under Contract | – | – | |
| Active | – | – | |
| Price Change | – | – | |
| Price Reduced | $15,900 | $3,000 (15.87%) | |
| Active | – | – | |
| Show More (3) | |||
| Price Change | – | – | |
| Price Reduced (from $25,900) | $18,900 | $7,000 (27.03%) | |
| Active (from New) | – | – | |
The data relating to real estate for sale on this web site comes in part from the Broker Reciprocity Program of Georgia MLS. Real estate listings held by brokerage firms other than Go Realty Of Georgia & Alabam are marked with the Broker Reciprocity logo and detailed information about them includes the name of the listing brokers.
The information being provided is for consumers' personal, non-commercial use and may not be used for any purpose other than to identify prospective properties consumers may be interested in purchasing. Information Deemed Reliable But Not Guaranteed.
The broker providing this data believes it to be correct, but advises interested parties to confirm them before relying on them in a purchase decision.
Copyright 2025 Georgia MLS. All rights reserved.
Listing information last updated on December 21st, 2025 at 9:45pm CST.

