Hi There! Is this Your First Time?
Did you know if you Register you have access to free search tools including the ability to save listings and property searches? Did you know that you can bypass the search altogether and have listings sent directly to your email address? Check out our how-to page for more info.
- Price$80,000
- Acres6.48
Malcom Road, Covington
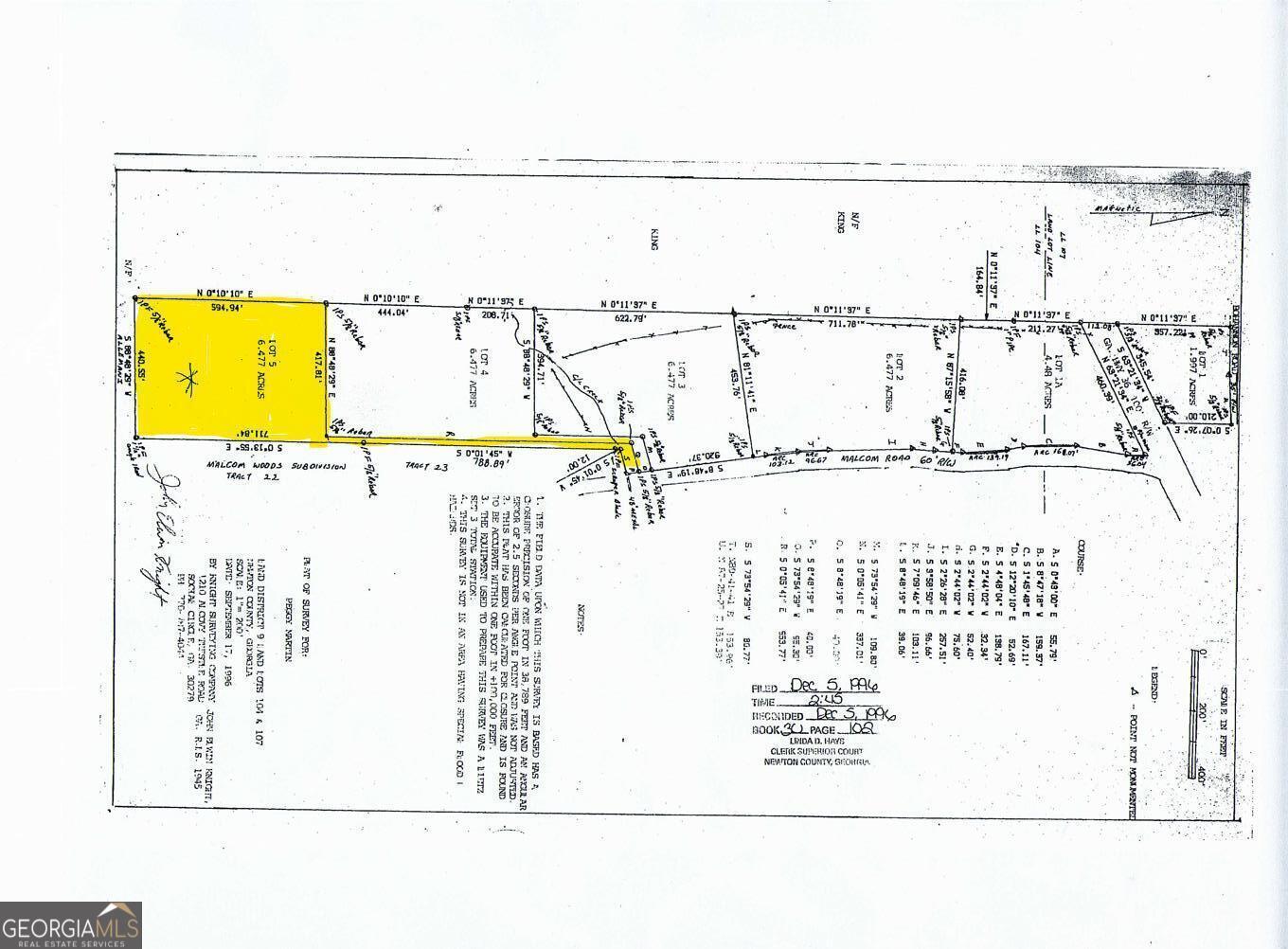
Welcome to this 6.477-acre private homesite near Jackson Lake, featuring exclusive road frontage, previously surveyed (1996) acreage, peaceful wooded surroundings, and flexible potential for a custom home, weekend getaway, or investment property. Located just 8 minutes from Jackson Lake Marina, this secluded property offers the perfect blend of privacy, nature, and convenience. With easy access to Jackson, Covington, I-75, and I-20, plus owner financing available, this is a rare opportunity to own land in a highly desirable area. Tucked away in a quiet natural setting, this property provides the space and privacy many buyers are searching for while still being close to everything. The wooded landscape offers a beautiful backdrop for a future homesite, recreational retreat, or long-term land investment. Outdoor enthusiasts will love being only minutes from Jackson Lake Marina, where boating, fishing, and lake life are easily within reach. Downtown Jackson is just 12 minutes away, while Covington Square is only 25 minutes away, giving you convenient access to restaurants, shopping, and local events. Despite the peaceful rural feel, Atlanta is only about one hour away, making this property ideal for those who want privacy without giving up access to the city. Property Highlights: 6.477 previously surveyed acres Private road frontage Quiet, wooded setting with excellent privacy 8 minutes to Jackson Lake Marina 12 minutes to downtown Jackson 25 minutes to Covington Square Convenient access to I-75 and I-20 Ideal for building, recreation, or long-term investment Owner financing available Back on the market due to buyer being unable to close-priced to move quickly. All property lines shown are approximate. Buyer should verify all information deemed important.
Essential Information
- MLS® #10594529
- Price$80,000
- Bathrooms0.00
- Acres6.48
- TypeLand
- Sub-TypeUnimproved Land
- StatusActive
Amenities
- UtilitiesElectricity Available
- ViewLake, Seasonal View
School Information
- ElementaryRocky Plains
- MiddleIndian Creek
- HighAlcovy
Listing Details
- Listing Provided Courtesy Of Ivy League Realty
Community Information
- AddressMalcom Road
- SubdivisionNone
- CityCovington
- CountyNewton
- StateGA
- Zip Code30014
Exterior
- Lot DescriptionLevel, Private, Greenbelt
Additional Information
- Days on Market92
Price Change History for Malcom Road, Covington, GA (MLS® #10594529)
| Date | Details | Price | Change |
|---|---|---|---|
| Active | – | – | |
| Price Change | – | – | |
| Price Reduced (from $85,000) | $80,000 | $5,000 (5.88%) | |
| Active | – | – | |
| Back On Market | – | – | |
| Show More (1) | |||
| Under Contract (from New) | – | – | |
The data relating to real estate for sale on this web site comes in part from the Broker Reciprocity Program of Georgia MLS. Real estate listings held by brokerage firms other than Go Realty Of Georgia & Alabam are marked with the Broker Reciprocity logo and detailed information about them includes the name of the listing brokers.
The information being provided is for consumers' personal, non-commercial use and may not be used for any purpose other than to identify prospective properties consumers may be interested in purchasing. Information Deemed Reliable But Not Guaranteed.
The broker providing this data believes it to be correct, but advises interested parties to confirm them before relying on them in a purchase decision.
Copyright 2026 Georgia MLS. All rights reserved.
Listing information last updated on April 13th, 2026 at 11:15pm CDT.











