Hi There! Is this Your First Time?
Did you know if you Register you have access to free search tools including the ability to save listings and property searches? Did you know that you can bypass the search altogether and have listings sent directly to your email address? Check out our how-to page for more info.
- Price$465,637
- Acres113.57
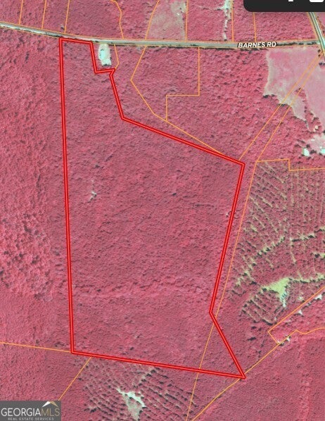
2 Balerma Church Road, Sparta
113 Acres - Balerma Church Road, Hancock County, Georgia (Parcel ID: 212 004C) Discover the perfect blend of recreation and investment with this 113-acre tract located on Balerma Church Road in Hancock County-one of Georgia's most renowned hunting counties. Featuring a diverse mix of mature hardwoods and established pine timber, this property is well-suited for hunting, outdoor recreation, and long-term timber value. Property Highlights: * Acreage: 113 acres (Parcel ID: 212 004C) * Road Frontage: Approximately 1,400 feet of paved frontage on Balerma Church Road. * Timber: Mature hardwood ridges and pine stands provide both wildlife cover and future timber income. * Wildlife & Hunting: Located in the heart of one of Georgia's best hunting regions, this tract holds abundant deer and turkey. Natural openings offer ideal sites for food plots and stand placement. * Water Features: Creek on the backside of the property. * Topography: Rolling terrain with a mix of ridges, bottoms, and natural corridors that attract and hold game. Location: * Easy access to Highway 15. * Just 8 miles from Sparta, and convenient to Milledgeville and Greensboro for shopping, dining, and supplies. * Only 15 miles to Lake Sinclair, where you can enjoy boating, fishing, swimming, camping, and lakeside dining-making this property the perfect combination of a hunting and recreational retreat. This property is ideal for those seeking a trophy hunting retreat, recreational getaway, or timberland investment. With its combination of timber resources, abundant wildlife, pond access, and paved road frontage in Georgia's hunting heartland, it represents one of Hancock County's most versatile tracts. Adjoining Tracts also listed for sale
Essential Information
- MLS® #10597481
- Price$465,637
- Bathrooms0.00
- Acres113.57
- TypeLand
- Sub-TypeUnimproved Land
- StatusActive
Amenities
- UtilitiesElectricity Available, High Speed Internet
School Information
- ElementaryM E Lewis
- MiddleHancock Central
- HighHancock Central
Listing Details
- Listing Provided Courtesy Of Orbit Real Estate Partners
- Office Info770-688-5168
Community Information
- Address2 Balerma Church Road
- SubdivisionNone
- CitySparta
- CountyHancock
- StateGA
- Zip Code31087
Exterior
- Lot DescriptionNone
Additional Information
- Days on Market63
Price Change History for 2 Balerma Church Road, Sparta, GA (MLS® #10597481)
| Date | Details | Price | Change |
|---|---|---|---|
| Active (from New) | – | – |
The data relating to real estate for sale on this web site comes in part from the Broker Reciprocity Program of Georgia MLS. Real estate listings held by brokerage firms other than Go Realty Of Georgia & Alabam are marked with the Broker Reciprocity logo and detailed information about them includes the name of the listing brokers.
The information being provided is for consumers' personal, non-commercial use and may not be used for any purpose other than to identify prospective properties consumers may be interested in purchasing. Information Deemed Reliable But Not Guaranteed.
The broker providing this data believes it to be correct, but advises interested parties to confirm them before relying on them in a purchase decision.
Copyright 2025 Georgia MLS. All rights reserved.
Listing information last updated on November 16th, 2025 at 3:30am CST.















