Hi There! Is this Your First Time?
Did you know if you Register you have access to free search tools including the ability to save listings and property searches? Did you know that you can bypass the search altogether and have listings sent directly to your email address? Check out our how-to page for more info.
- Price$239,000
- Acres7.18
W Mill Street, Tallapoosa
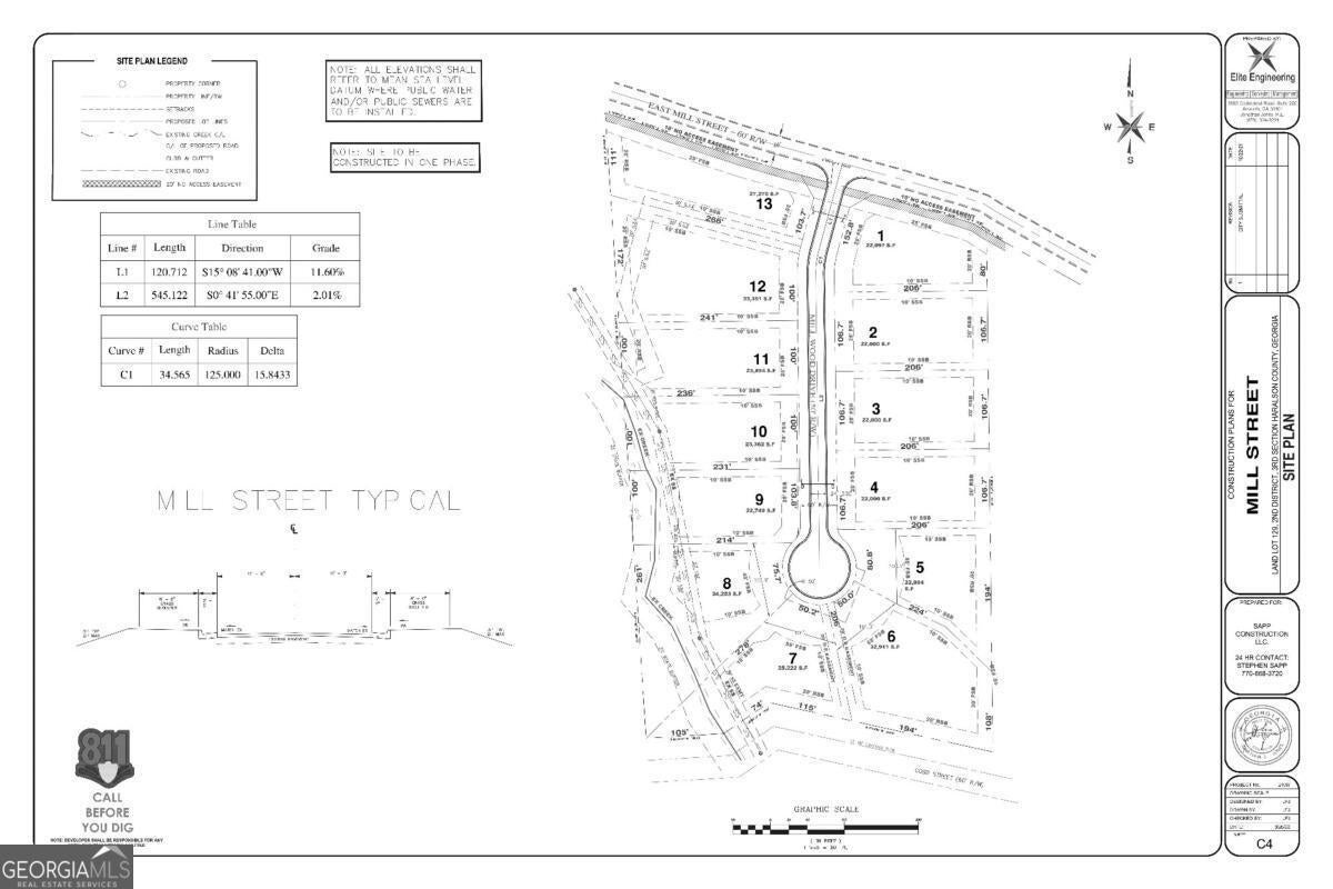
Great shovel ready development. LDP in hand for 13 half acre lots. This is going to be the last half acre lots that will be permitted in Tallapoosa. Future lots will be required to be 1 acre. Haralson County has lifted the moratorium on new construction homes. This is the best opportunity to build new construction single family homes in a very walkable area downtown with restaurants, breweries, and shopping.
Essential Information
- MLS® #10604030
- Price$239,000
- Bathrooms0.00
- Acres7.18
- TypeLand
- Sub-TypeUnimproved Land
- StatusActive
Amenities
- UtilitiesCable Available, Electricity Available, Natural Gas Available, Phone Available, Sewer Available
School Information
- ElementaryTallapoosa Primary
- MiddleHaralson County
- HighHaralson County
Listing Details
- Listing Provided Courtesy Of Keller Williams Realty
Community Information
- AddressW Mill Street
- SubdivisionNone
- CityTallapoosa
- CountyHaralson
- StateGA
- Zip Code30176
Exterior
- Lot DescriptionLevel
Additional Information
- Days on Market54
Price Change History for W Mill Street, Tallapoosa, GA (MLS® #10604030)
| Date | Details | Price | Change |
|---|---|---|---|
| Active (from New) | – | – |
The data relating to real estate for sale on this web site comes in part from the Broker Reciprocity Program of Georgia MLS. Real estate listings held by brokerage firms other than Go Realty Of Georgia & Alabam are marked with the Broker Reciprocity logo and detailed information about them includes the name of the listing brokers.
The information being provided is for consumers' personal, non-commercial use and may not be used for any purpose other than to identify prospective properties consumers may be interested in purchasing. Information Deemed Reliable But Not Guaranteed.
The broker providing this data believes it to be correct, but advises interested parties to confirm them before relying on them in a purchase decision.
Copyright 2025 Georgia MLS. All rights reserved.
Listing information last updated on November 12th, 2025 at 2:02pm CST.



