Hi There! Is this Your First Time?
Did you know if you Register you have access to free search tools including the ability to save listings and property searches? Did you know that you can bypass the search altogether and have listings sent directly to your email address? Check out our how-to page for more info.
- Price$540,000
- Acres12.41
Tyler Lane, Thomaston
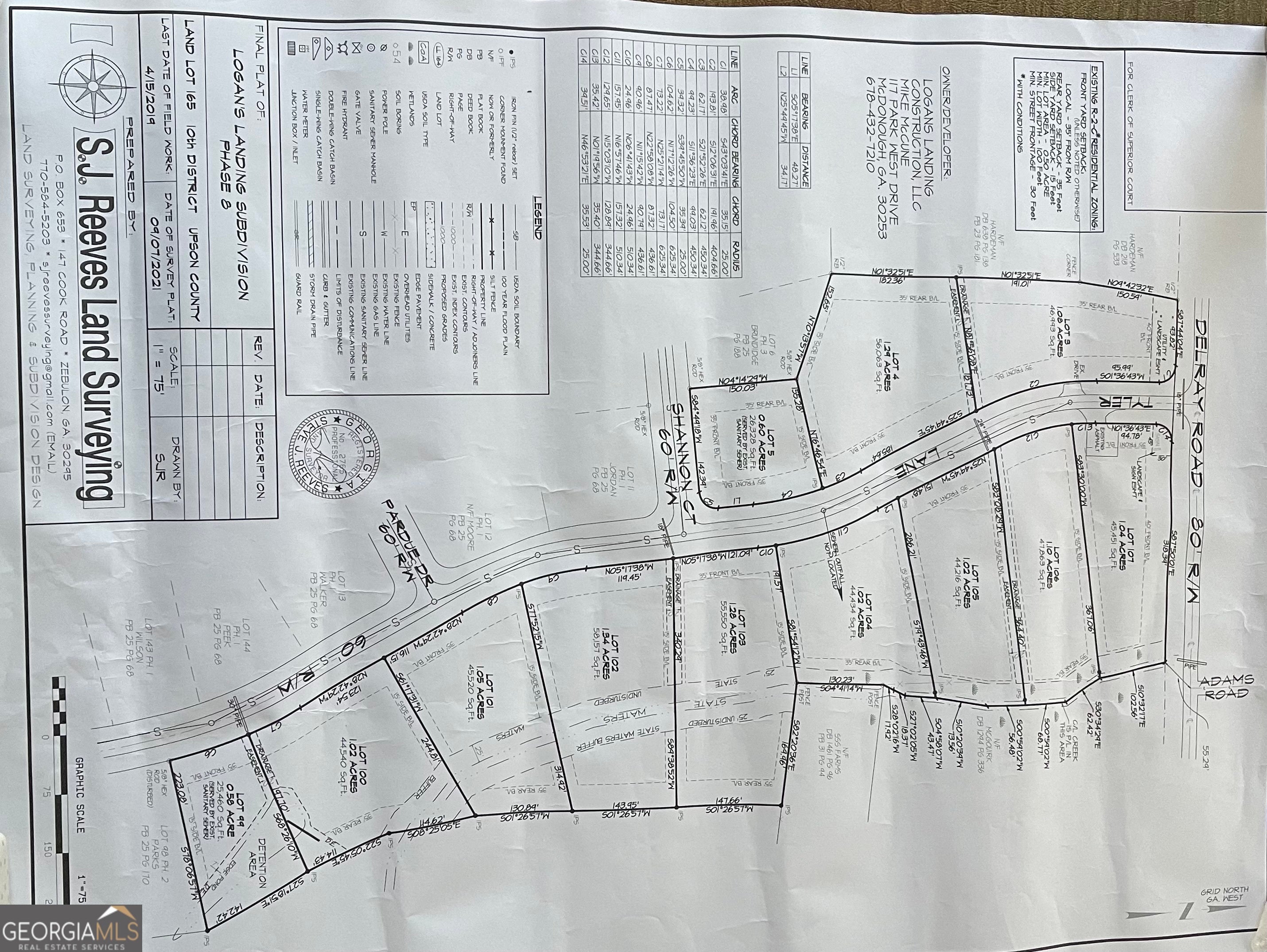
12.41 Acres for sale in Logans Landing in Thomaston. Seller has had a surveyor split up property on survey. It has not been recorded with the county yet. Survey includes 12 buildable lots in Thomaston GA. Lots range from .58 of an acre to 1.34 acres. Upson County said that sewer is available in Logans Landing. There is a moratorium in place at the moment but is supposed to end on November 24th as of right now.
Essential Information
- MLS® #10613683
- Price$540,000
- Bathrooms0.00
- Acres12.41
- TypeLand
- Sub-TypeUnimproved Land
- StatusActive
Amenities
- UtilitiesCable Available, Electricity Available, Sewer Available, Water Available
- ViewSeasonal View
School Information
- ElementaryUpson-Lee
- MiddleUpson Lee
- HighUpson Lee
Listing Details
- Listing Provided Courtesy Of Welcome Home Real Estate Group
Community Information
- AddressTyler Lane
- SubdivisionLogans Landing
- CityThomaston
- CountyUpson
- StateGA
- Zip Code30286
Exterior
- Lot DescriptionCorner Lot, Level
Additional Information
- Days on Market42
Price Change History for Tyler Lane, Thomaston, GA (MLS® #10613683)
| Date | Details | Price | Change |
|---|---|---|---|
| Active (from New) | – | – |
The data relating to real estate for sale on this web site comes in part from the Broker Reciprocity Program of Georgia MLS. Real estate listings held by brokerage firms other than Go Realty Of Georgia & Alabam are marked with the Broker Reciprocity logo and detailed information about them includes the name of the listing brokers.
The information being provided is for consumers' personal, non-commercial use and may not be used for any purpose other than to identify prospective properties consumers may be interested in purchasing. Information Deemed Reliable But Not Guaranteed.
The broker providing this data believes it to be correct, but advises interested parties to confirm them before relying on them in a purchase decision.
Copyright 2025 Georgia MLS. All rights reserved.
Listing information last updated on November 12th, 2025 at 3:15am CST.





