Hi There! Is this Your First Time?
Did you know if you Register you have access to free search tools including the ability to save listings and property searches? Did you know that you can bypass the search altogether and have listings sent directly to your email address? Check out our how-to page for more info.
- Price$49,000
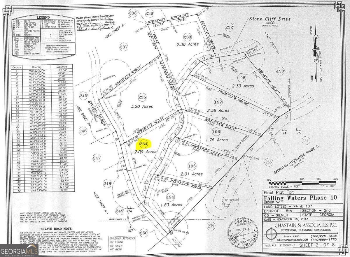
- Acres2.09
234 Stone Cliff Drive, Ellijay
Long-range layered mountain views ready to be opened once you clear your homesite. This corner lot is located in a popular section of Falling Waters, a gated mountain community in North Georgia near Jasper and Ellijay, offering both convenience and natural beauty. Falling Waters is known for paved mountain roads that are easy to navigate and for its natural amenities, including a private fishing lake with pavilion, hiking trails, and scenic overlooks that showcase the best of mountain living. Jasper and Ellijay are only 20-25 minutes away, Blue Ridge about 40 minutes, and the Atlanta perimeter just over an hour. Just outside the gates you'll find local wineries, apple barns, and seasonal attractions like apple picking, wine tasting, and outdoor festivals. Underground utilities including electric, cable, and phone are available at the road front, and a soil test is already on file in Gilmer County. HOA approval is required for construction and any vista pruning. This gated community requires all buyers to be accompanied by a licensed agent. Terrain and satellite imagery are for reference only and not a survey.
Essential Information
- MLS® #10613938
- Price$49,000
- Bathrooms0.00
- Acres2.09
- TypeLand
- Sub-TypeResidential Lot
- StatusActive
Amenities
- UtilitiesCable Available, Electricity Available, High Speed Internet, Phone Available, Underground Utilities
- ViewMountain(s)
School Information
- ElementaryOther
- MiddleClear Creek
- HighGilmer
Listing Details
- Listing Provided Courtesy Of Georgia Highlands Realty
Community Information
- Address234 Stone Cliff Drive
- SubdivisionFalling Waters
- CityEllijay
- CountyGilmer
- StateGA
- Zip Code30536
Exterior
- Lot DescriptionSloped, Steep Slope
Additional Information
- Days on Market41
Price Change History for 234 Stone Cliff Drive, Ellijay, GA (MLS® #10613938)
| Date | Details | Price | Change |
|---|---|---|---|
| Active (from New) | – | – |
The data relating to real estate for sale on this web site comes in part from the Broker Reciprocity Program of Georgia MLS. Real estate listings held by brokerage firms other than Go Realty Of Georgia & Alabam are marked with the Broker Reciprocity logo and detailed information about them includes the name of the listing brokers.
The information being provided is for consumers' personal, non-commercial use and may not be used for any purpose other than to identify prospective properties consumers may be interested in purchasing. Information Deemed Reliable But Not Guaranteed.
The broker providing this data believes it to be correct, but advises interested parties to confirm them before relying on them in a purchase decision.
Copyright 2025 Georgia MLS. All rights reserved.
Listing information last updated on December 26th, 2025 at 2:01pm CST.

















