Hi There! Is this Your First Time?
Did you know if you Register you have access to free search tools including the ability to save listings and property searches? Did you know that you can bypass the search altogether and have listings sent directly to your email address? Check out our how-to page for more info.
- Price$25,000
- Acres0.50
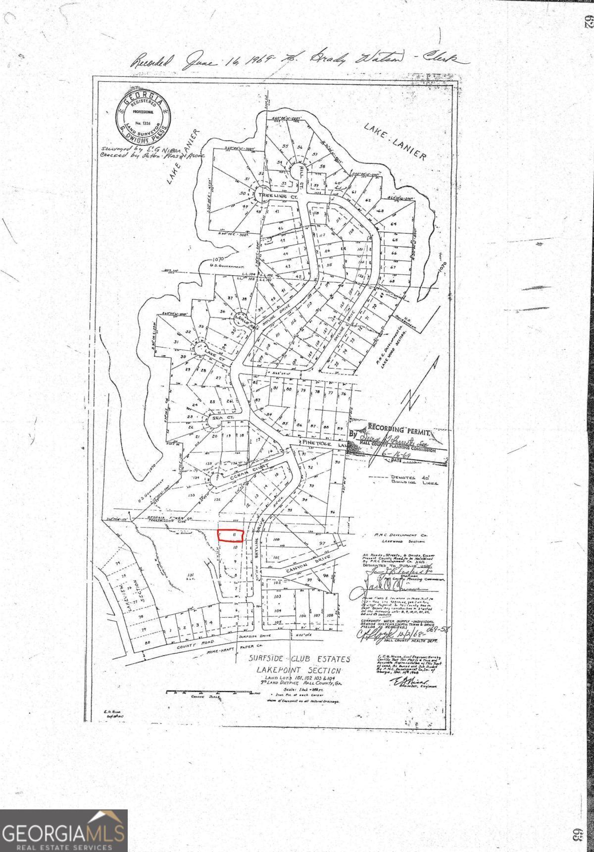
3831 Skyline Drive, Gainesville
Lake Life Awaits in Surfside Estates - Gainesville, GA Build your dream retreat on this .5-acre lot in sought-after Surfside Estates! The sloped terrain is perfect for a basement-style home, giving you the space and design flexibility you want. Enjoy all the perks of lake living with community boat ramp access to Lake Lanier just minutes from your doorstep. Utilities including water, septic, electricity, and internet are already available, making it easy to bring your vision to life. Whether you're planning a full-time residence or a weekend getaway, this homesite offers the perfect blend of privacy, natural beauty, and convenience to Gainesville's dining, shopping, and schools. Private boat launch available for residents, per private gate with gate key access at the end of Clubhouse Drive on the left. Don't miss your chance to own a piece of Surfside Estates - and live the lake life you've always wanted!
Essential Information
- MLS® #10622404
- Price$25,000
- Bathrooms0.00
- Acres0.50
- TypeLand
- Sub-TypeResidential Lot
- StatusActive
Amenities
- UtilitiesCable Available, Electricity Available
School Information
- ElementaryOther
- MiddleEast Hall
- HighEast Hall
Listing Details
- Listing Provided Courtesy Of Virtual Properties Realty.com
Community Information
- Address3831 Skyline Drive
- SubdivisionSurfside Estates
- CityGainesville
- CountyHall
- StateGA
- Zip Code30501
Exterior
- Lot DescriptionSloped
Additional Information
- Days on Market36
Price Change History for 3831 Skyline Drive, Gainesville, GA (MLS® #10622404)
| Date | Details | Price | Change |
|---|---|---|---|
| Active (from New) | – | – |
The data relating to real estate for sale on this web site comes in part from the Broker Reciprocity Program of Georgia MLS. Real estate listings held by brokerage firms other than Go Realty Of Georgia & Alabam are marked with the Broker Reciprocity logo and detailed information about them includes the name of the listing brokers.
The information being provided is for consumers' personal, non-commercial use and may not be used for any purpose other than to identify prospective properties consumers may be interested in purchasing. Information Deemed Reliable But Not Guaranteed.
The broker providing this data believes it to be correct, but advises interested parties to confirm them before relying on them in a purchase decision.
Copyright 2025 Georgia MLS. All rights reserved.
Listing information last updated on December 22nd, 2025 at 7:30pm CST.
























