Hi There! Is this Your First Time?
Did you know if you Register you have access to free search tools including the ability to save listings and property searches? Did you know that you can bypass the search altogether and have listings sent directly to your email address? Check out our how-to page for more info.
- Price$148,900
- Acres1.50
749 Hubert Pittman Road Tract 3, Pendergrass
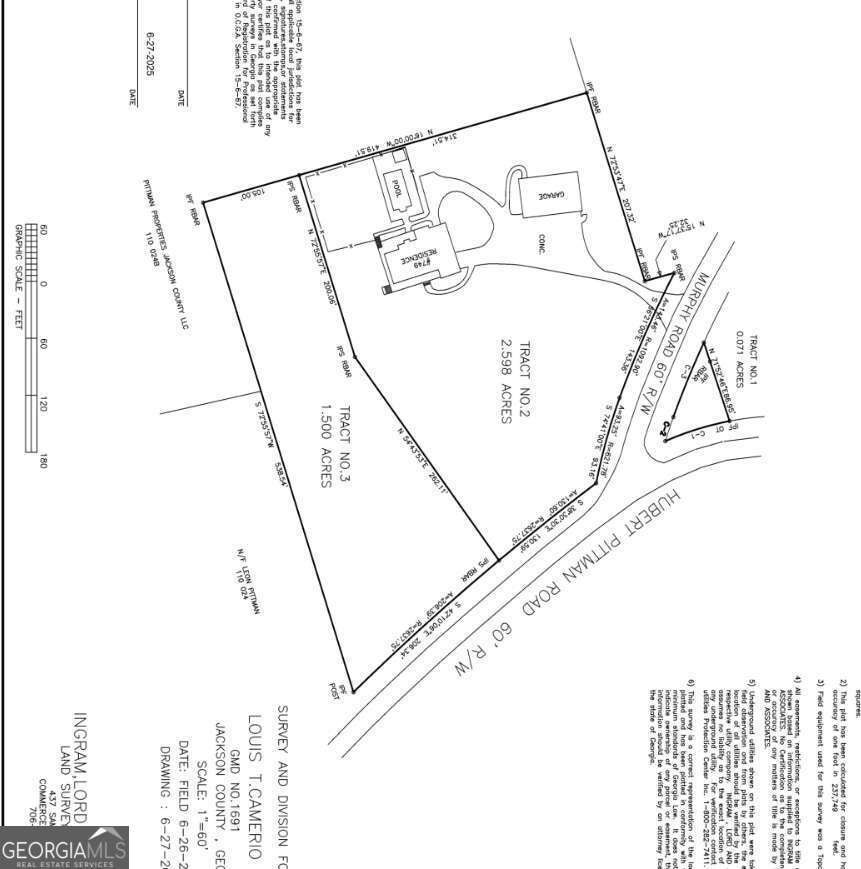
Beautiful 1.5-Acre Lot with Septic Installed - Jackson County, GA Please read the entire description. Build your dream home or investment property on this beautiful 1.5-acre tract (Tract 3) located in highly sought-after Jackson County, Georgia. This spacious, cleared, and gently sloping lot offers a peaceful, private setting while remaining convenient to schools, shopping, and major commuter routes. A septic tank has been installed, providing an excellent head start for future construction. Buyer will be responsible for verifying that the septic system is in working order, as the seller has not used it during ownership. Please see the photo of the plat included in the listing, as Jackson County has not yet updated the current tract information in its public records. This 1.5-acre parcel is part of a larger estate offering multiple purchase options: Tract 3 Only (1.5 acres with septic): $148,900 Home + Detached 4-Bay Shop on Tract 2 (2.598 acres): $948,600 Bundled Option - Home, Shop & Both Tracts (Total 4.098 acres): $1,098,500 Each option provides outstanding flexibility and value-buy just the lot, or combine both tracts to create your own multi-generational retreat, business-ready property, or private family compound. This is a rare opportunity to secure a ready-to-build lot with improvements already in place in one of Jackson County's most desirable areas. All information should be verified by the buyer. Contact the listing agent for additional details or to explore all available configurations.
Essential Information
- MLS® #10624802
- Price$148,900
- Bathrooms0.00
- Acres1.50
- TypeLand
- Sub-TypeUnimproved Land
- StatusActive
Amenities
- UtilitiesUnderground Utilities
School Information
- ElementaryNorth Jackson
- MiddleLegacy Knoll
- HighJackson County
Listing Details
- Listing Provided Courtesy Of Virtual Properties Realty.com
- Office Info4043017679
Community Information
- Address749 Hubert Pittman Road Tract 3
- SubdivisionNone
- CityPendergrass
- CountyJackson
- StateGA
- Zip Code30567
Exterior
- Lot DescriptionSloped
Additional Information
- Days on Market24
Price Change History for 749 Hubert Pittman Road Tract 3, Pendergrass, GA (MLS® #10624802)
| Date | Details | Price | Change |
|---|---|---|---|
| Active | – | – | |
| Price Change | – | – | |
| Price Reduced (from $149,900) | $148,900 | $1,000 (0.67%) | |
| Active (from New) | – | – |
The data relating to real estate for sale on this web site comes in part from the Broker Reciprocity Program of Georgia MLS. Real estate listings held by brokerage firms other than Go Realty Of Georgia & Alabam are marked with the Broker Reciprocity logo and detailed information about them includes the name of the listing brokers.
The information being provided is for consumers' personal, non-commercial use and may not be used for any purpose other than to identify prospective properties consumers may be interested in purchasing. Information Deemed Reliable But Not Guaranteed.
The broker providing this data believes it to be correct, but advises interested parties to confirm them before relying on them in a purchase decision.
Copyright 2025 Georgia MLS. All rights reserved.
Listing information last updated on December 28th, 2025 at 9:30pm CST.

