Hi There! Is this Your First Time?
Did you know if you Register you have access to free search tools including the ability to save listings and property searches? Did you know that you can bypass the search altogether and have listings sent directly to your email address? Check out our how-to page for more info.
- Price$1,400,000
- Acres19.50
2671 Harbins Road Se, Bethlehem
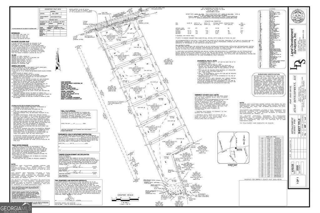
Outstanding Builder & Developer Opportunity in Gwinnett County! Situated along scenic Harbins Road, this 19.5-acre property offers seven expansive, fully platted estate lots ranging from 2.387 to 4.568 acres. The land features beautiful, gently sloping topography-perfect for custom homes. Located just minutes from Hwy 316 in a rapidly growing area, this site is surrounded by luxury homes priced between $1.4M and $1.8M on nearby Indian Shoals Road. A new middle school is coming soon, adding even more value to this in-demand corridor. Buyer will be responsible for installing the shared driveway, connecting utilities (water, electricity, septic), and removing the existing house currently on the property. A rare chance to build in one of the most sought-after growth areas in Gwinnett County!
Essential Information
- MLS® #10633587
- Price$1,400,000
- Bathrooms0.00
- Acres19.50
- TypeLand
- Sub-TypeResidential Lot
- StatusActive
Amenities
- UtilitiesNone
School Information
- ElementaryHarbins
- MiddleMcconnell
- HighArcher
Listing Details
- Listing Provided Courtesy Of Hill Wood Realty
Community Information
- Address2671 Harbins Road Se
- SubdivisionNone
- CityBethlehem
- CountyGwinnett
- StateGA
- Zip Code30620
Exterior
- Lot DescriptionOther
Additional Information
- Days on Market14
Price Change History for 2671 Harbins Road Se, Bethlehem, GA (MLS® #10633587)
| Date | Details | Price | Change |
|---|---|---|---|
| Active (from New) | – | – |
The data relating to real estate for sale on this web site comes in part from the Broker Reciprocity Program of Georgia MLS. Real estate listings held by brokerage firms other than Go Realty Of Georgia & Alabam are marked with the Broker Reciprocity logo and detailed information about them includes the name of the listing brokers.
The information being provided is for consumers' personal, non-commercial use and may not be used for any purpose other than to identify prospective properties consumers may be interested in purchasing. Information Deemed Reliable But Not Guaranteed.
The broker providing this data believes it to be correct, but advises interested parties to confirm them before relying on them in a purchase decision.
Copyright 2025 Georgia MLS. All rights reserved.
Listing information last updated on December 8th, 2025 at 3:31pm CST.














