Hi There! Is this Your First Time?
Did you know if you Register you have access to free search tools including the ability to save listings and property searches? Did you know that you can bypass the search altogether and have listings sent directly to your email address? Check out our how-to page for more info.
- Price$75,000
- Acres0.45
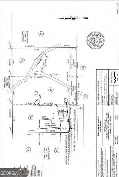
1768 Balsa Lane, Acworth
Don't miss this rare opportunity to own two adjoining parcels totaling 1.03 acres-one 0.45-acre lot and one 0.58-acre lot (Lots number 95 & 96)-being sold together as one. Located in the Etowah High School District! Build your dream home on a spacious combined 1+ acre lot, or take advantage of the option to separate and build two homes. This beautiful, private setting features picturesque creeks running through the property, offering a peaceful and natural backdrop. One lot is cleared and relatively flat, ready for construction, while the other offers wooded privacy and nature views. Picture yourself in your new dream home-sipping your morning coffee on the porch while listening to the birds and the gentle sound of running water from the creeks. Whether you're a builder looking for your next project or a homeowner ready to create your perfect retreat, this property offers the space, serenity, and flexibility you've been looking for.
Essential Information
- MLS® #10634113
- Price$75,000
- Bathrooms0.00
- Acres0.45
- TypeLand
- Sub-TypeResidential Lot
- StatusActive
Amenities
- UtilitiesCable Available, Electricity Available, Natural Gas Available, Water Available
- WaterfrontCreek
School Information
- ElementaryClark Creek
- MiddleBooth
- HighEtowah
Listing Details
- Listing Provided Courtesy Of Atlanta Communities
Community Information
- Address1768 Balsa Lane
- SubdivisionOak Grove Estates
- CityAcworth
- CountyCherokee
- StateGA
- Zip Code30102
Exterior
- Lot DescriptionOther
Additional Information
- Days on Market19
Price Change History for 1768 Balsa Lane, Acworth, GA (MLS® #10634113)
| Date | Details | Price | Change |
|---|---|---|---|
| Active | – | – | |
| Back On Market (from New) | – | – |
The data relating to real estate for sale on this web site comes in part from the Broker Reciprocity Program of Georgia MLS. Real estate listings held by brokerage firms other than Go Realty Of Georgia & Alabam are marked with the Broker Reciprocity logo and detailed information about them includes the name of the listing brokers.
The information being provided is for consumers' personal, non-commercial use and may not be used for any purpose other than to identify prospective properties consumers may be interested in purchasing. Information Deemed Reliable But Not Guaranteed.
The broker providing this data believes it to be correct, but advises interested parties to confirm them before relying on them in a purchase decision.
Copyright 2025 Georgia MLS. All rights reserved.
Listing information last updated on December 24th, 2025 at 12:45pm CST.















