Hi There! Is this Your First Time?
Did you know if you Register you have access to free search tools including the ability to save listings and property searches? Did you know that you can bypass the search altogether and have listings sent directly to your email address? Check out our how-to page for more info.
- Price$295,000
- Acres1.80
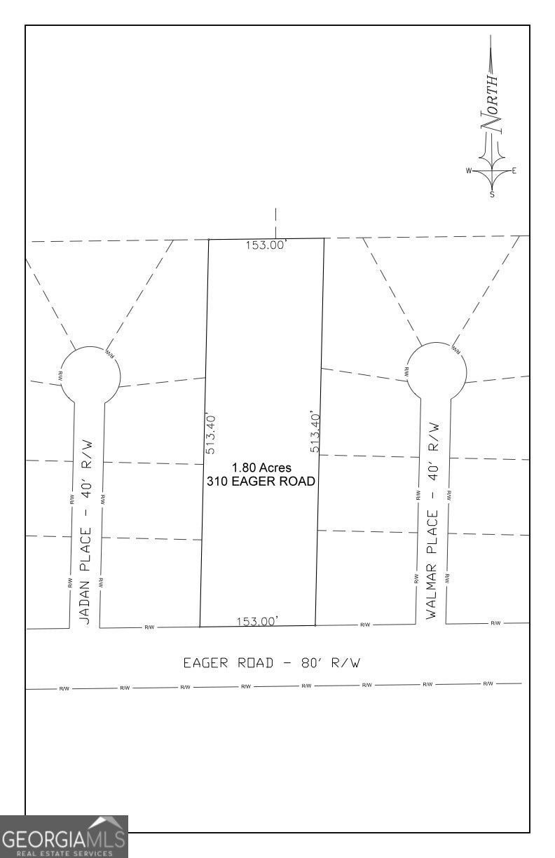
310 Eager Road, Valdosta
This 1.8 acre parcel is across from Langdale Place is a great development opportunity! It is currently zoned residential R-15. By square footage it would allow 5 lots, and could easily be rezoned to R-10 which would allow 7 lots. Parcels across the street are zoned R-P and O-P which allow office space, banks, and a variety of other uses. Other than residential, permitted uses include fraternity or Sorority house, personal care home, golf/country club, park, daycare, and utility substations. Conditional uses include cemetery, church, community center, pre-school, private school, Bring your new project to this lot that is cleared and site ready with all utilities on street. Survey available upon request, call your favorite Realtor today!
Essential Information
- MLS® #10640545
- Price$295,000
- Bathrooms0.00
- Acres1.80
- TypeLand
- Sub-TypeResidential Lot
- StatusActive
Amenities
- UtilitiesCable Available, Electricity Available, High Speed Internet
School Information
- ElementaryMason
- MiddleValdosta
- HighValdosta
Listing Details
- Listing Provided Courtesy Of Southern Classic Realtors
Community Information
- Address310 Eager Road
- SubdivisionNone
- CityValdosta
- CountyLowndes
- StateGA
- Zip Code31602
Exterior
- Lot DescriptionCity Lot, Curb
Additional Information
- Days on Market74
Price Change History for 310 Eager Road, Valdosta, GA (MLS® #10640545)
| Date | Details | Price | Change |
|---|---|---|---|
| Active (from New) | – | – |
The data relating to real estate for sale on this web site comes in part from the Broker Reciprocity Program of Georgia MLS. Real estate listings held by brokerage firms other than Go Realty Of Georgia & Alabam are marked with the Broker Reciprocity logo and detailed information about them includes the name of the listing brokers.
The information being provided is for consumers' personal, non-commercial use and may not be used for any purpose other than to identify prospective properties consumers may be interested in purchasing. Information Deemed Reliable But Not Guaranteed.
The broker providing this data believes it to be correct, but advises interested parties to confirm them before relying on them in a purchase decision.
Copyright 2026 Georgia MLS. All rights reserved.
Listing information last updated on March 11th, 2026 at 4:46pm CDT.




