Hi There! Is this Your First Time?
Did you know if you Register you have access to free search tools including the ability to save listings and property searches? Did you know that you can bypass the search altogether and have listings sent directly to your email address? Check out our how-to page for more info.
- Price$3,500,000
- Acres8.44
4196 Taylor Road, Duluth
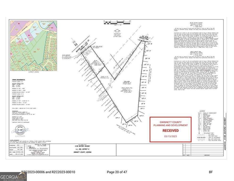
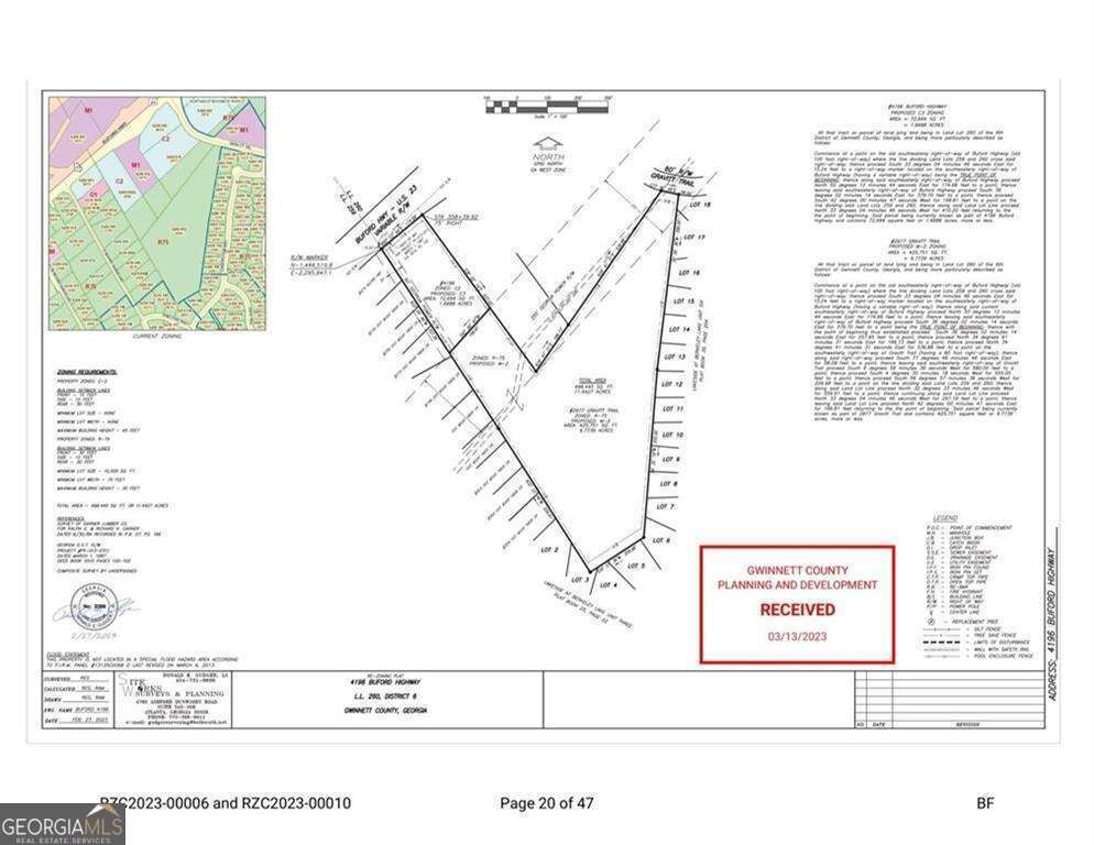
Excellent residential development opportunity in the heart of Duluth. This 8.44-acre R-75 parcel is positioned just off Buford Highway and offers a prime setting for townhomes, build-for-rent communities, or infill residential development. The majority of the property is clear, gently sloped, and easy to work with, providing an efficient starting point for future construction. The site sits directly behind a 3.24-acre C-2 commercial parcel on Buford Highway (same owner, sold separately). Both parcels may be purchased together, creating a combined 11.68-acre assemblage ideal for larger-scale residential or mixed-use projects with commercial frontage. Located minutes from major employment hubs, retail corridors, and established neighborhoods, this property offers strong long-term growth potential within one of Gwinnett County's fastest-appreciating submarkets. Ideal for builders, developers, or investors seeking a versatile, well-located residential site with optional commercial integration.
Essential Information
- MLS® #10646028
- Price$3,500,000
- Bathrooms0.00
- Acres8.44
- TypeLand
- Sub-TypeUnimproved Land
- StatusActive
Amenities
- UtilitiesCable Available, Electricity Available, Natural Gas Available, Phone Available, Sewer Available, Water Available
- WaterfrontPond
School Information
- ElementaryChattahoochee
- MiddleDuluth
- HighDuluth
Listing Details
- Listing Provided Courtesy Of Century 21 Connect Realty
Community Information
- Address4196 Taylor Road
- SubdivisionNone
- CityDuluth
- CountyGwinnett
- StateGA
- Zip Code30096
Exterior
- Lot DescriptionOther
Additional Information
- Days on Market64
Price Change History for 4196 Taylor Road, Duluth, GA (MLS® #10646028)
| Date | Details | Price | Change |
|---|---|---|---|
| Active (from New) | – | – |
The data relating to real estate for sale on this web site comes in part from the Broker Reciprocity Program of Georgia MLS. Real estate listings held by brokerage firms other than Go Realty Of Georgia & Alabam are marked with the Broker Reciprocity logo and detailed information about them includes the name of the listing brokers.
The information being provided is for consumers' personal, non-commercial use and may not be used for any purpose other than to identify prospective properties consumers may be interested in purchasing. Information Deemed Reliable But Not Guaranteed.
The broker providing this data believes it to be correct, but advises interested parties to confirm them before relying on them in a purchase decision.
Copyright 2026 Georgia MLS. All rights reserved.
Listing information last updated on April 7th, 2026 at 12:30am CDT.


















