Hi There! Is this Your First Time?
Did you know if you Register you have access to free search tools including the ability to save listings and property searches? Did you know that you can bypass the search altogether and have listings sent directly to your email address? Check out our how-to page for more info.
- Price$75,000
- Acres0.77
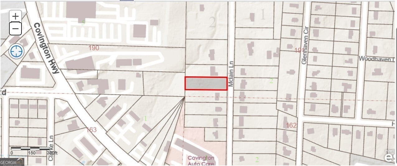
1837 Mclain Lane, Decatur
Create your custom oasis on this generous 0.8-acre level lot in a quiet, well-established Decatur community. The property's flexible R85 zoning and paved frontage make it ideal for a single-family home with room for gardens, recreation or outbuildings. Mature trees provide natural shade and privacy, while the site's proximity to both I20 and I285 ensures an effortless commute to Atlanta and surrounding areas. Within a few minutes you'll find schools, parks, shopping and dining, offering the perfect balance of convenience and tranquility. Bring your builder-this vacant parcel is a rare chance to craft exactly the home you envision.
Essential Information
- MLS® #10646064
- Price$75,000
- Bathrooms0.00
- Acres0.77
- TypeLand
- Sub-TypeResidential Lot
- StatusActive
Amenities
- UtilitiesElectricity Available, Phone Available, Sewer Available, Water Available
School Information
- ElementaryRowland
- MiddleMary Mcleod Bethune
- HighTowers
Listing Details
- Listing Provided Courtesy Of Homesmart
- Office Info4049136289
Community Information
- Address1837 Mclain Lane
- SubdivisionNone
- CityDecatur
- CountyDeKalb
- StateGA
- Zip Code30035
Exterior
- Lot DescriptionLevel
Additional Information
- Days on Market28
Price Change History for 1837 Mclain Lane, Decatur, GA (MLS® #10646064)
| Date | Details | Price | Change |
|---|---|---|---|
| Active (from New) | – | – |
The data relating to real estate for sale on this web site comes in part from the Broker Reciprocity Program of Georgia MLS. Real estate listings held by brokerage firms other than Go Realty Of Georgia & Alabam are marked with the Broker Reciprocity logo and detailed information about them includes the name of the listing brokers.
The information being provided is for consumers' personal, non-commercial use and may not be used for any purpose other than to identify prospective properties consumers may be interested in purchasing. Information Deemed Reliable But Not Guaranteed.
The broker providing this data believes it to be correct, but advises interested parties to confirm them before relying on them in a purchase decision.
Copyright 2025 Georgia MLS. All rights reserved.
Listing information last updated on December 18th, 2025 at 12:46pm CST.











