Hi There! Is this Your First Time?
Did you know if you Register you have access to free search tools including the ability to save listings and property searches? Did you know that you can bypass the search altogether and have listings sent directly to your email address? Check out our how-to page for more info.
- Price$280,000
- Acres0.27
1711 Marietta Road Nw, Atlanta
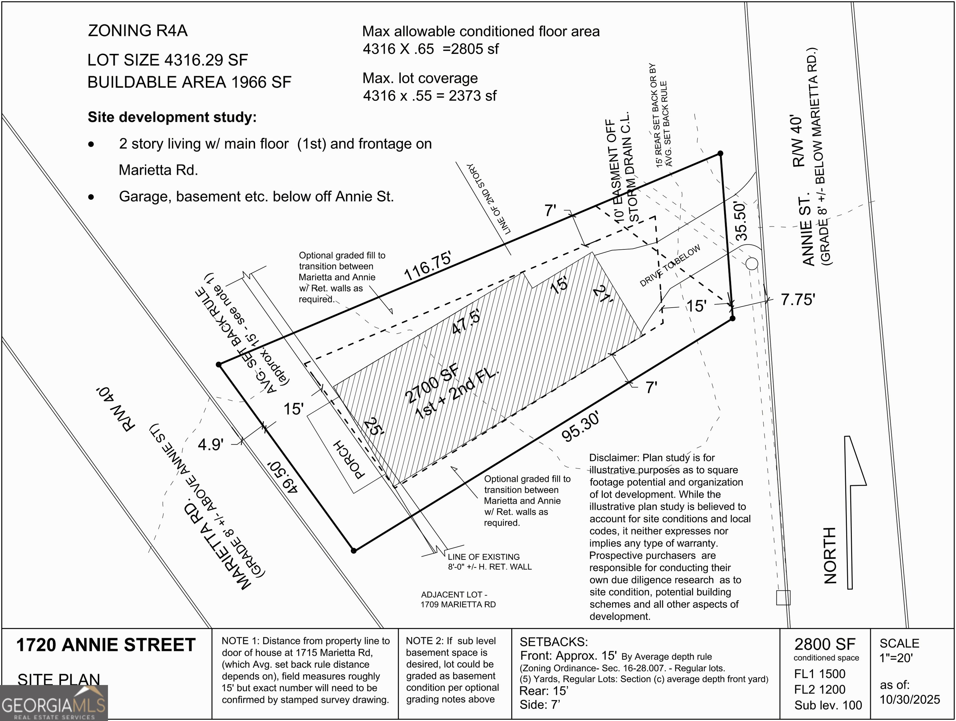
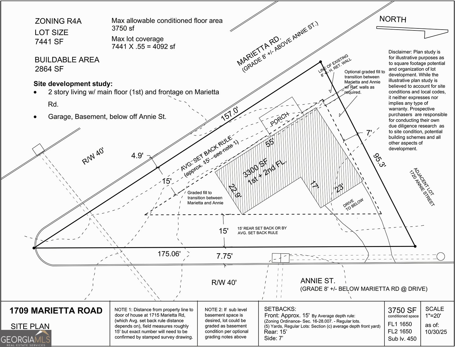
For builders: two adjacent lots to build and sell two homes in the desirable Hills Park neighborhood. For the family who wants to build their custom home, Here's your chance to build from scratch in the desirable Hills Park neighborhood! Claim these two adjacent lots (17-223-0004-012-6 & 17-223-0004-011-8) as your own and build an incredible dream home OR TWO. Take advantage of potential downtown views with a rooftop terrace. Easy access to Marietta Boulevard and nearby attractions via Carroll Drive, as well as the action along Chattahoochee Avenue, including dining and socializing at The Works. Right around the corner is Top Golf, shopping at Westside Market, and the ultimate in dining at Michelin-starred Bacchanalia. West Midtown and Atlantic Station are within easy reach, as are Midtown proper and Buckhead. Atlanta's largest greenspace, Shirley Park (aka Shirley Clarke Franklin Park) is just over a mile down Marietta ROAD. 1720 Annie - Lot Information: Zoning: R4-A Single Family, Area: 4,316 SF / .099 acre, Buildable area: approximately 1,966 SF, Maximum lot coverage: 2,373 SF, Maximum allowable floor area: 2,805 SF, Front yard setback: Approximately 15' (average depth front yard setback rule), Rear yard setback: 15', Side yard setback: 7'. See site plan and survey. 1709 Marietta - Lot Information: Zoning: R4-A Single Family, Area: 7,441 SF / .170 acre, Buildable area: approximately 2,800 SF, Maximum lot coverage: 4,092 SF, Maximum allowable floor area: 3,750 SF, Front yard setback: Approximately 15' (average depth front yard setback rule), Rear yard setback: 15', Side yard setback: 7'. See site plan and survey.
Essential Information
- MLS® #10647344
- Price$280,000
- Bathrooms0.00
- Acres0.27
- TypeLand
- Sub-TypeResidential Lot
- StatusActive
Amenities
- UtilitiesCable Available, Electricity Available, High Speed Internet, Natural Gas Available, Sewer Available, Water Available
School Information
- ElementaryBolton
- MiddleSutton
- HighNorth Atlanta
Listing Details
- Listing Provided Courtesy Of Keller Williams Realty Buckhead
Community Information
- Address1711 Marietta Road Nw
- SubdivisionHILLS PARK
- CityAtlanta
- CountyFulton
- StateGA
- Zip Code30318
Exterior
- Lot DescriptionOther
Additional Information
- Days on Market109
Price Change History for 1711 Marietta Road Nw, Atlanta, GA (MLS® #10647344)
| Date | Details | Price | Change |
|---|---|---|---|
| Active | – | – | |
| Price Change | – | – | |
| Price Reduced (from $320,000) | $280,000 | $40,000 (12.50%) | |
| Active (from New) | – | – |
The data relating to real estate for sale on this web site comes in part from the Broker Reciprocity Program of Georgia MLS. Real estate listings held by brokerage firms other than Go Realty Of Georgia & Alabam are marked with the Broker Reciprocity logo and detailed information about them includes the name of the listing brokers.
The information being provided is for consumers' personal, non-commercial use and may not be used for any purpose other than to identify prospective properties consumers may be interested in purchasing. Information Deemed Reliable But Not Guaranteed.
The broker providing this data believes it to be correct, but advises interested parties to confirm them before relying on them in a purchase decision.
Copyright 2026 Georgia MLS. All rights reserved.
Listing information last updated on March 16th, 2026 at 10:33am CDT.












