Hi There! Is this Your First Time?
Did you know if you Register you have access to free search tools including the ability to save listings and property searches? Did you know that you can bypass the search altogether and have listings sent directly to your email address? Check out our how-to page for more info.
- Price$23,500
- Acres0.32
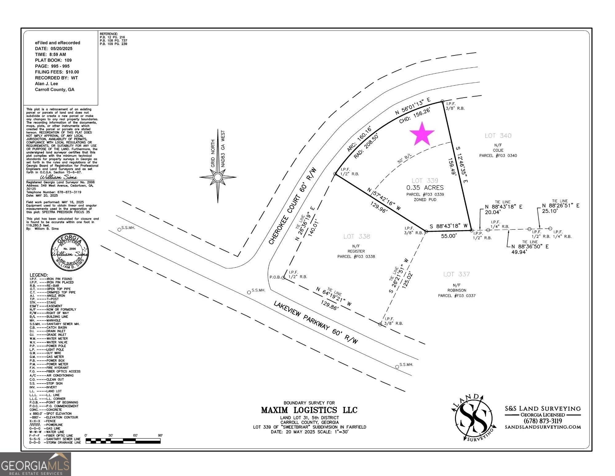
3339 Cherokee Court, Villa Rica
3339 Cherokee Court offers a rare opportunity to build your dream home on a 0.32-acre lot in the gated, resort-style community of Fairfield Plantation. This ready-to-build homesite already has a county-stamped site plan, a new survey and the building footprint staked out, saving you time and upfront costs in the planning process. Located in a community known for its lifestyle amenities, Fairfield Plantation features a ski lake, fishing lake, recreation center with Junior Olympic-sized pool, basketball court, playground, nature trails, and a seasonal beach area on the lake. Residents also enjoy Dockside Marina restaurant, year-round community events, and the option to join Fairfield Plantation Golf-an 18-hole course designed by William Byrd with its own clubhouse, pool, tennis courts, and restaurant. With 24-hour security, two manned gated entrances, and dedicated fire stations, Fairfield Plantation combines peace of mind with convenience, offering easy access to Villa Rica, Carrollton, Douglasville, and beyond. Bring your builder and vision-this lot is prepped, planned, and ready for you to start construction.
Essential Information
- MLS® #10649878
- Price$23,500
- Bathrooms0.00
- Acres0.32
- TypeLand
- Sub-TypeResidential Lot
- StatusActive
Amenities
- UtilitiesCable Available, Electricity Available, Phone Available, Sewer Available, Water Available
School Information
- ElementarySand Hill
- MiddleBay Springs
- HighVilla Rica
Listing Details
- Listing Provided Courtesy Of Georgia Life Realty
Community Information
- Address3339 Cherokee Court
- SubdivisionFairfield Plantation
- CityVilla Rica
- CountyCarroll
- StateGA
- Zip Code30180
Exterior
- Lot DescriptionCul-De-Sac
Additional Information
- Days on Market92
Price Change History for 3339 Cherokee Court, Villa Rica, GA (MLS® #10649878)
| Date | Details | Price | Change |
|---|---|---|---|
| Active | – | – | |
| Price Change | – | – | |
| Price Reduced (from $27,000) | $23,500 | $3,500 (12.96%) | |
| Active (from New) | – | – |
The data relating to real estate for sale on this web site comes in part from the Broker Reciprocity Program of Georgia MLS. Real estate listings held by brokerage firms other than Go Realty Of Georgia & Alabam are marked with the Broker Reciprocity logo and detailed information about them includes the name of the listing brokers.
The information being provided is for consumers' personal, non-commercial use and may not be used for any purpose other than to identify prospective properties consumers may be interested in purchasing. Information Deemed Reliable But Not Guaranteed.
The broker providing this data believes it to be correct, but advises interested parties to confirm them before relying on them in a purchase decision.
Copyright 2026 Georgia MLS. All rights reserved.
Listing information last updated on March 11th, 2026 at 1:30am CDT.






















