Hi There! Is this Your First Time?
Did you know if you Register you have access to free search tools including the ability to save listings and property searches? Did you know that you can bypass the search altogether and have listings sent directly to your email address? Check out our how-to page for more info.
- Price$649,900
- Acres0.35
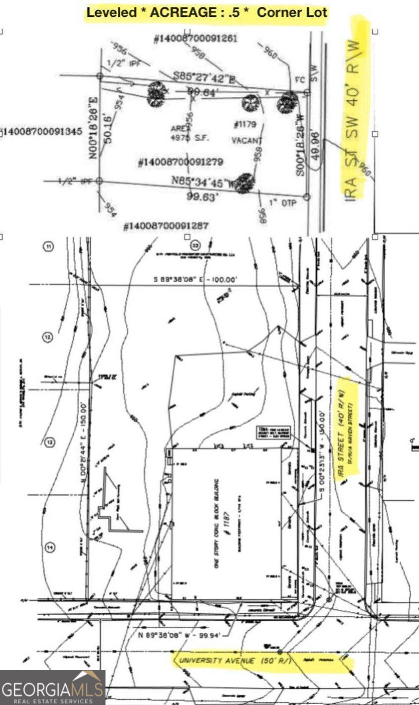
1187 Ira Street Sw, Atlanta
Prior existing structure removed. Leveled corner lot in high traffic area across from ATL Beltline (SWATL) trail and near the interstate. Across from Pittsburgh Yards Business incubator. GREAT Franchise location! Amazing Location - Pittsburgh Community - Corner commercial lot across from SWATL Beltine, Pittsburgh Yards /Business incubator and future residential development site. Off University ave - easy access to I 75/85 - downtown ATL, Tricities, Hartfield Jackson Airport. Tyler Perry Studies, Lee and White. Great Franchise opportunity with heavy 24 hour traffic. . Accessibility: Easy access to I-75/85, downtown Atlanta, the Tri-Cities, Hartsfield-Jackson Atlanta International Airport. Zoned C1, allowing for most commercial uses. Lot Size: 10,000 square feet. Traffic: *** High traffic area with an average of 14,000 vehicles daily *** Investment Potential: The property is located in an Opportunity Zone and is considered a prime location for investors interested in equitable development in historically underinvested neighborhoods. In Atlanta, C-1 zoning is designated for neighborhood and community-oriented retail and service activities, as well as complementary non-commercial uses. Key regulations for C-1 zoned properties: Permitted Uses: Retail and service activities, including but not limited to: commercial laundry, convenience stores, gas stations, personal services, small retail facilities (under 10,000 sq ft), restaurants, bakeries, bars, pubs, taverns, and food trucks/push carts. Offices, including general offices, small offices, and scientific/agricultural research offices.
Essential Information
- MLS® #10660057
- Price$649,900
- Bathrooms0.00
- Acres0.35
- TypeLand
- Sub-TypeUnimproved Land
- StatusActive
Amenities
- UtilitiesOther
School Information
- ElementaryOther
- MiddleOther
- HighOther
Listing Details
- Listing Provided Courtesy Of Robby Caban Realty
Community Information
- Address1187 Ira Street Sw
- SubdivisionPittsburgh
- CityAtlanta
- CountyFulton
- StateGA
- Zip Code30310
Exterior
- Lot DescriptionCorner Lot
Additional Information
- Days on Market90
Price Change History for 1187 Ira Street Sw, Atlanta, GA (MLS® #10660057)
| Date | Details | Price | Change |
|---|---|---|---|
| Active | – | – | |
| Price Change | – | – | |
| Price Reduced (from $659,900) | $649,900 | $10,000 (1.52%) | |
| Active | – | – | |
| Back On Market | – | – | |
| Show More (1) | |||
| Active (from New) | – | – | |
The data relating to real estate for sale on this web site comes in part from the Broker Reciprocity Program of Georgia MLS. Real estate listings held by brokerage firms other than Go Realty Of Georgia & Alabam are marked with the Broker Reciprocity logo and detailed information about them includes the name of the listing brokers.
The information being provided is for consumers' personal, non-commercial use and may not be used for any purpose other than to identify prospective properties consumers may be interested in purchasing. Information Deemed Reliable But Not Guaranteed.
The broker providing this data believes it to be correct, but advises interested parties to confirm them before relying on them in a purchase decision.
Copyright 2026 Georgia MLS. All rights reserved.
Listing information last updated on March 16th, 2026 at 12:32pm CDT.





