Hi There! Is this Your First Time?
Did you know if you Register you have access to free search tools including the ability to save listings and property searches? Did you know that you can bypass the search altogether and have listings sent directly to your email address? Check out our how-to page for more info.
- Price$230,000
- Acres15.28
Kesler, Carnesville
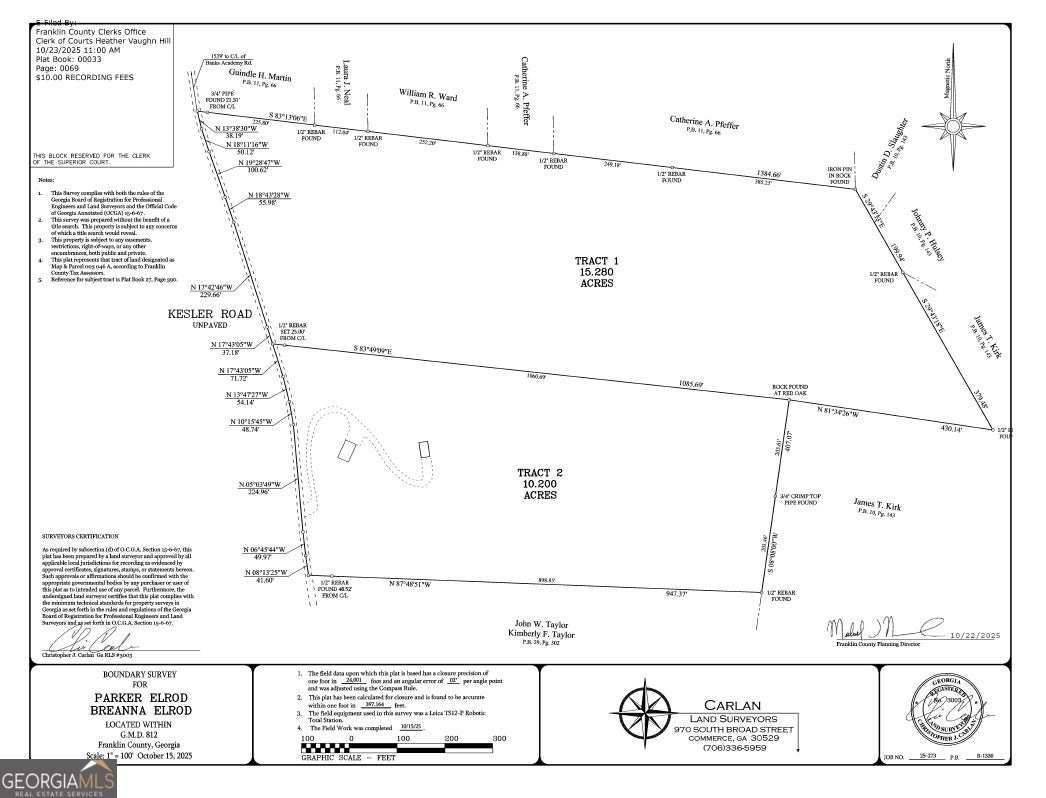
15-acre tract on Kesler Road in Franklin County, offered at $240,000. This newly surveyed and recorded parcel is part of a larger 25-acre property and is zoned AR1 (residential/agricultural), offering flexibility for a private homesite, mini-farm, or future investment. The tract may be subdivided further, per county guidelines. The property features approximately 509 feet of road frontage, rolling topography, and a potential homesite near the road where a driveway could be established. The land will require clearing. Power is available at the road. A well and septic system would be required. No HOA and no known covenants or restrictions. Mobile homes are permitted. RVs and campers may be stored on the property; county regulations require an active building permit for occupancy. A small creek runs along the back corner of the property, while the remainder of the acreage is usable. The land offers year-round flowing spring water, mature white oaks and hardwoods, and abundant wildlife, providing a peaceful, natural setting with privacy and space. A recent survey has been completed and corners are marked. Buyer to verify zoning details, permitted uses, and utility requirements.
Essential Information
- MLS® #10664561
- Price$230,000
- Bathrooms0.00
- Acres15.28
- TypeLand
- Sub-TypeResidential Lot
- StatusActive
Amenities
- UtilitiesElectricity Available
- ViewMountain(s), Seasonal View
School Information
- ElementaryCarnesville-Central Franklin P
- MiddleFranklin County
- HighFranklin County
Listing Details
- Listing Provided Courtesy Of Exp Realty
Community Information
- AddressKesler
- SubdivisionNone
- CityCarnesville
- CountyFranklin
- StateGA
- Zip Code30521
Exterior
- Lot DescriptionPrivate, Sloped
Additional Information
- Days on Market34
Price Change History for Kesler, Carnesville, GA (MLS® #10664561)
| Date | Details | Price | Change |
|---|---|---|---|
| Active | – | – | |
| Price Change | – | – | |
| Price Reduced (from $240,000) | $230,000 | $10,000 (4.17%) | |
| Active (from New) | – | – |
The data relating to real estate for sale on this web site comes in part from the Broker Reciprocity Program of Georgia MLS. Real estate listings held by brokerage firms other than Go Realty Of Georgia & Alabam are marked with the Broker Reciprocity logo and detailed information about them includes the name of the listing brokers.
The information being provided is for consumers' personal, non-commercial use and may not be used for any purpose other than to identify prospective properties consumers may be interested in purchasing. Information Deemed Reliable But Not Guaranteed.
The broker providing this data believes it to be correct, but advises interested parties to confirm them before relying on them in a purchase decision.
Copyright 2026 Georgia MLS. All rights reserved.
Listing information last updated on February 23rd, 2026 at 2:46pm CST.






