Hi There! Is this Your First Time?
Did you know if you Register you have access to free search tools including the ability to save listings and property searches? Did you know that you can bypass the search altogether and have listings sent directly to your email address? Check out our how-to page for more info.
- Price$130,000
- Acres0.38
3590 North Street, Duluth
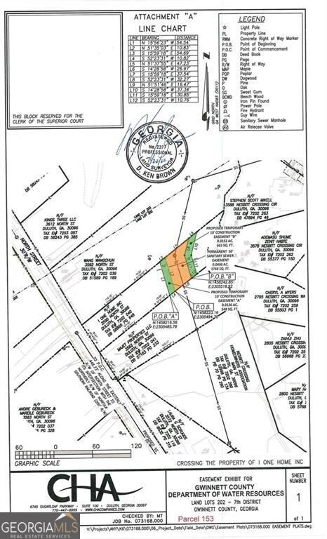
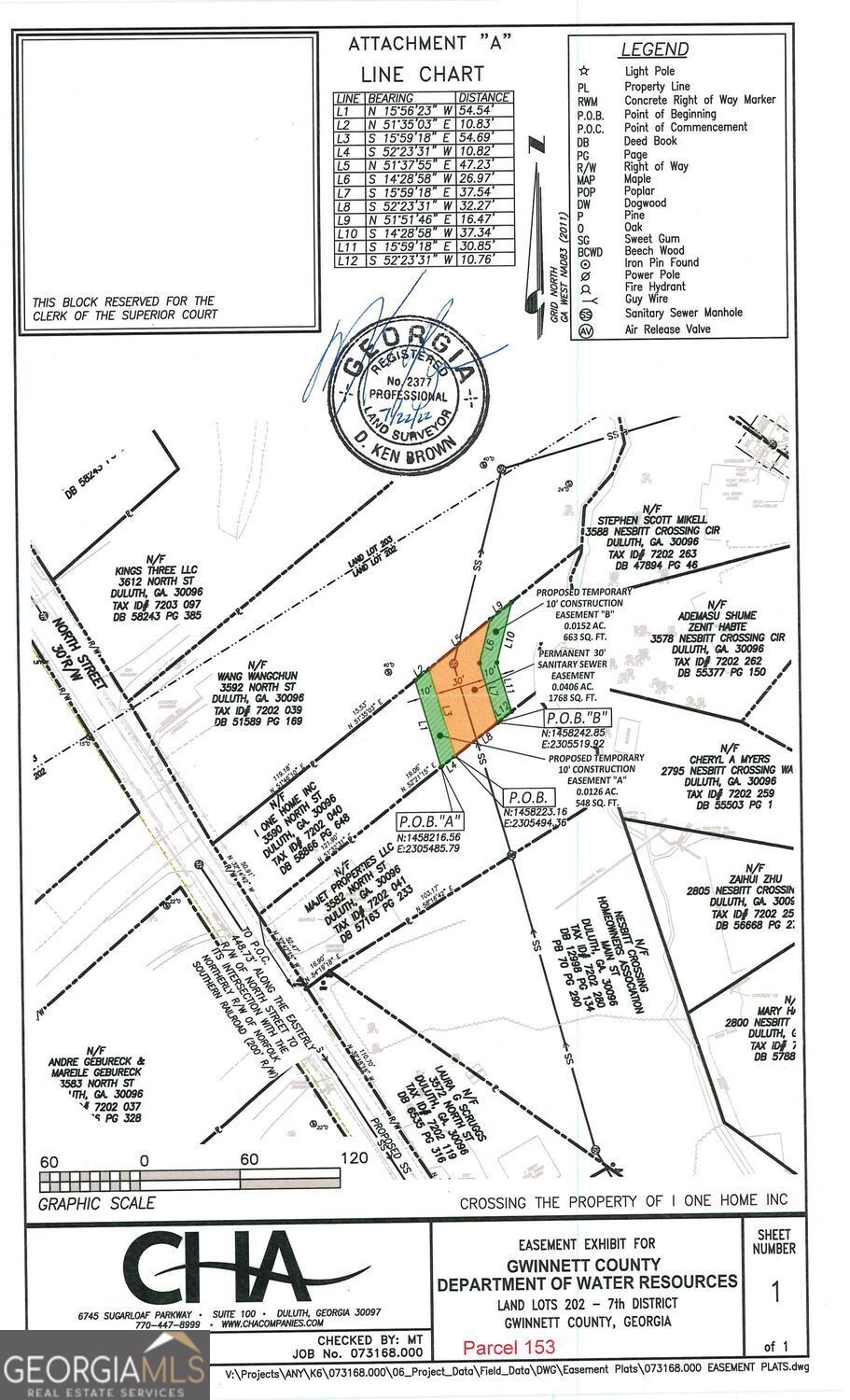
Opportunity meets location at 3590 North Street in Duluth - a generous 16,553 sqft lot. Whether you're looking to build a custom residence or invest in a prime piece of real estate, this parcel provides an ideal canvas in one of Metro Atlanta's most sought-after areas. This property is offered as-is without permits or a land survey. However, professional floor plans are available upon request, offering a clear vision of what's possible. The lot includes a temporary easement (green) and a permanent easement (orange) associated with future public sewer construction. Septic installation is required until public utilities are available. Please contact the county for information on the public sewer construction. Positioned near Duluth's vibrant downtown, excellent shopping, and major commuter routes, this land combines practical development potential with a high-appeal location. For floor plans and more details, contact us directly.
Essential Information
- MLS® #10665672
- Price$130,000
- Bathrooms0.00
- Acres0.38
- TypeLand
- Sub-TypeResidential Lot
- StatusActive
Amenities
- UtilitiesElectricity Available, Water Available
- ViewCity
- WaterfrontNo Dock Or Boathouse
School Information
- ElementaryChattahoochee
- MiddleColeman
- HighDuluth
Listing Details
- Listing Provided Courtesy Of Bhhs Georgia Properties
Community Information
- Address3590 North Street
- SubdivisionBAGWELL Everett
- CityDuluth
- CountyGwinnett
- StateGA
- Zip Code30096
Exterior
- Lot DescriptionOther, City Lot
Additional Information
- Days on Market60
Price Change History for 3590 North Street, Duluth, GA (MLS® #10665672)
| Date | Details | Price | Change |
|---|---|---|---|
| Active | – | – | |
| Back On Market | – | – | |
| Active (from New) | – | – |
The data relating to real estate for sale on this web site comes in part from the Broker Reciprocity Program of Georgia MLS. Real estate listings held by brokerage firms other than Go Realty Of Georgia & Alabam are marked with the Broker Reciprocity logo and detailed information about them includes the name of the listing brokers.
The information being provided is for consumers' personal, non-commercial use and may not be used for any purpose other than to identify prospective properties consumers may be interested in purchasing. Information Deemed Reliable But Not Guaranteed.
The broker providing this data believes it to be correct, but advises interested parties to confirm them before relying on them in a purchase decision.
Copyright 2026 Georgia MLS. All rights reserved.
Listing information last updated on April 11th, 2026 at 8:01am CDT.


