Hi There! Is this Your First Time?
Did you know if you Register you have access to free search tools including the ability to save listings and property searches? Did you know that you can bypass the search altogether and have listings sent directly to your email address? Check out our how-to page for more info.
- Price$1,135,000
- Acres4.39
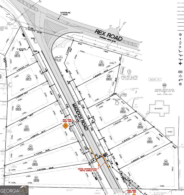
Maddox Road, Morrow
An excellent development opportunity featuring 13 residential lots on 4.387 acres. Zoned RG-75 with a 1,300 sq. ft. minimum home size. Public water and sewer are already on site, ready for builders or investors to move forward with construction.
Essential Information
- MLS® #10674000
- Price$1,135,000
- Bathrooms0.00
- Acres4.39
- TypeLand
- Sub-TypeResidential Lot
- StatusActive
Amenities
- UtilitiesCable Available, Electricity Available, High Speed Internet, Phone Available, Sewer Available, Water Available
School Information
- ElementaryMarshall
- MiddleMorrow
- HighMorrow
Listing Details
- Listing Provided Courtesy Of Chapman Group Realty, Inc.
Community Information
- AddressMaddox Road
- SubdivisionParadise Park
- CityMorrow
- CountyClayton
- StateGA
- Zip Code30260
Exterior
- Lot DescriptionLevel
Additional Information
- Days on Market41
Price Change History for Maddox Road, Morrow, GA (MLS® #10674000)
| Date | Details | Price | Change |
|---|---|---|---|
| Active | – | – | |
| Price Change | – | – | |
| Price Reduced (from $1,235,000) | $1,135,000 | $100,000 (8.10%) | |
| Active (from New) | – | – |
The data relating to real estate for sale on this web site comes in part from the Broker Reciprocity Program of Georgia MLS. Real estate listings held by brokerage firms other than Go Realty Of Georgia & Alabam are marked with the Broker Reciprocity logo and detailed information about them includes the name of the listing brokers.
The information being provided is for consumers' personal, non-commercial use and may not be used for any purpose other than to identify prospective properties consumers may be interested in purchasing. Information Deemed Reliable But Not Guaranteed.
The broker providing this data believes it to be correct, but advises interested parties to confirm them before relying on them in a purchase decision.
Copyright 2026 Georgia MLS. All rights reserved.
Listing information last updated on March 28th, 2026 at 10:15am CDT.

