Hi There! Is this Your First Time?
Did you know if you Register you have access to free search tools including the ability to save listings and property searches? Did you know that you can bypass the search altogether and have listings sent directly to your email address? Check out our how-to page for more info.
- Price$105,000
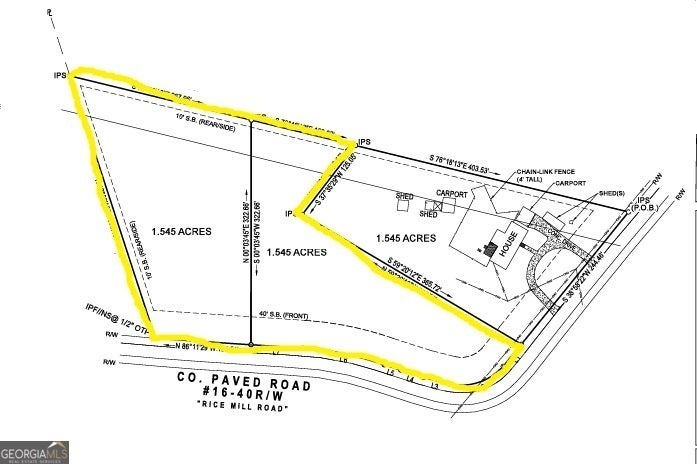
- Acres3.09
Rice Mill Road, Hartwell
DISCOVER the perfect blend of privacy and convenience with two adjoining non-restricted lots being sold together, totaling 3.09 acres. Nestled along a quiet country road, this beautiful wooded property offers the ideal setting for your DREAM HOME, weekend retreat, or even a small homestead. Enjoy PEACEFUL surroundings with a gorgeous natural view, all while being just minutes from Hartwell shopping and dining, Lake Hartwell, and easy access to the amenities of Anderson, SC. With no restrictions, you'll have the FREEDOM to create the lifestyle you want - whether that's building a custom home, adding a workshop, or bringing in a camper while you plan your future build. Both tracts are 1.545 acres each and must be sold together. If you've been searching for land that offers privacy without sacrificing convenience - this is it!
Essential Information
- MLS® #10675051
- Price$105,000
- Bathrooms0.00
- Acres3.09
- TypeLand
- Sub-TypeUnimproved Land
- StatusActive
Amenities
- UtilitiesNone
- ViewSeasonal View
School Information
- ElementaryHartwell
- MiddleHart County
- HighHart County
Listing Details
- Listing Provided Courtesy Of Living Down South Realty
Community Information
- AddressRice Mill Road
- SubdivisionNone
- CityHartwell
- CountyHart
- StateGA
- Zip Code30643
Exterior
- Lot DescriptionCorner Lot, Level, Open Lot
Additional Information
- Days on Market38
Price Change History for Rice Mill Road, Hartwell, GA (MLS® #10675051)
| Date | Details | Price | Change |
|---|---|---|---|
| Active (from New) | – | – |
The data relating to real estate for sale on this web site comes in part from the Broker Reciprocity Program of Georgia MLS. Real estate listings held by brokerage firms other than Go Realty Of Georgia & Alabam are marked with the Broker Reciprocity logo and detailed information about them includes the name of the listing brokers.
The information being provided is for consumers' personal, non-commercial use and may not be used for any purpose other than to identify prospective properties consumers may be interested in purchasing. Information Deemed Reliable But Not Guaranteed.
The broker providing this data believes it to be correct, but advises interested parties to confirm them before relying on them in a purchase decision.
Copyright 2026 Georgia MLS. All rights reserved.
Listing information last updated on April 8th, 2026 at 11:30pm CDT.







