Hi There! Is this Your First Time?
Did you know if you Register you have access to free search tools including the ability to save listings and property searches? Did you know that you can bypass the search altogether and have listings sent directly to your email address? Check out our how-to page for more info.
- Price$299,000
- Acres4.14
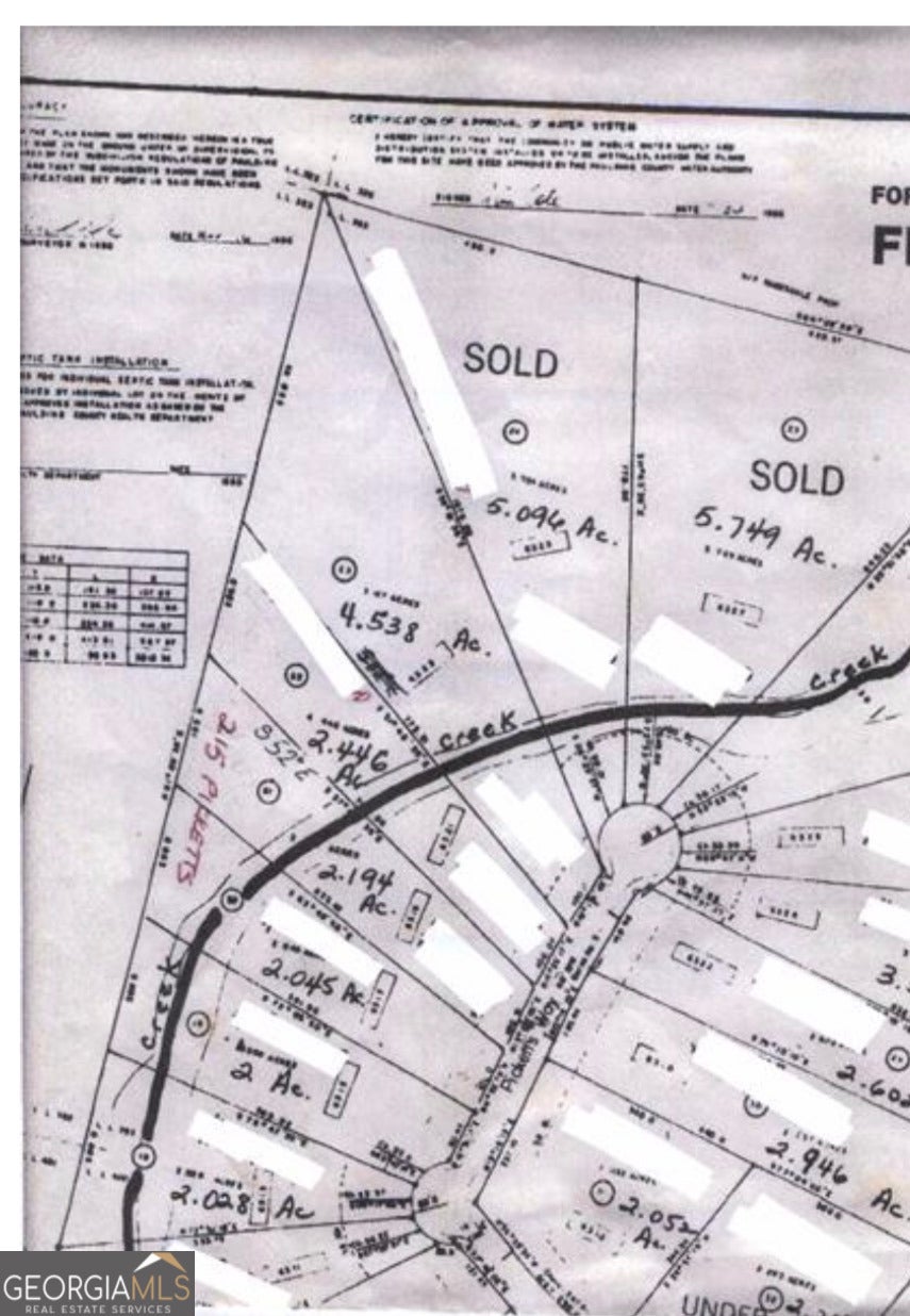
215 Picketts Way, Acworth
Discover the perfect blend of privacy, convenience, and natural beauty on this 4.14-acre heavily wooded lot located in the desirable Picketts Creek Subdivision in Paulding County, Acworth, GA-with NO HOA restrictions. Tucked away yet close to everything, this exceptional property offers 350+ feet of frontage along Westbrook Creek, creating a serene setting ideal for your future dream home. The property previously hosted a residence, leaving behind a 20' x 300' concrete slab, providing a valuable head start for new construction. Water, TWO sewer taps, electric, and gas utilities are already established, making this an excellent opportunity for a custom build with reduced upfront development costs. Conveniently located near the intersection of Highway 92 and Cobb Parkway, the property offers easy access to downtown Acworth and Kennesaw, with their abundance of dining, shopping, entertainment, and recreational options-while still enjoying the peace and seclusion of a private creekside retreat. ***The property is located off Dallas Acworth Highway directly across from Allatoona High School; please note that GPS directions may route you to an address near Cedarcrest Road.***
Essential Information
- MLS® #10678711
- Price$299,000
- Bathrooms0.00
- Acres4.14
- TypeLand
- Sub-TypeResidential Lot
- StatusActive
Amenities
- UtilitiesCable Available, Electricity Available, Natural Gas Available, Sewer Available, Underground Utilities, Water Available
- WaterfrontCreek
School Information
- ElementaryRussom
- MiddleEast Paulding
- HighNorth Paulding
Listing Details
- Listing Provided Courtesy Of Atlanta Communities
Community Information
- Address215 Picketts Way
- SubdivisionPicketts Creek
- CityAcworth
- CountyPaulding
- StateGA
- Zip Code30101
Exterior
- Lot DescriptionCul-De-Sac, Private
Additional Information
- Days on Market15
Price Change History for 215 Picketts Way, Acworth, GA (MLS® #10678711)
| Date | Details | Price | Change |
|---|---|---|---|
| Active (from New) | – | – |
The data relating to real estate for sale on this web site comes in part from the Broker Reciprocity Program of Georgia MLS. Real estate listings held by brokerage firms other than Go Realty Of Georgia & Alabam are marked with the Broker Reciprocity logo and detailed information about them includes the name of the listing brokers.
The information being provided is for consumers' personal, non-commercial use and may not be used for any purpose other than to identify prospective properties consumers may be interested in purchasing. Information Deemed Reliable But Not Guaranteed.
The broker providing this data believes it to be correct, but advises interested parties to confirm them before relying on them in a purchase decision.
Copyright 2026 Georgia MLS. All rights reserved.
Listing information last updated on February 23rd, 2026 at 12:30am CST.
























