Hi There! Is this Your First Time?
Did you know if you Register you have access to free search tools including the ability to save listings and property searches? Did you know that you can bypass the search altogether and have listings sent directly to your email address? Check out our how-to page for more info.
- Price$179,775
- Acres23.97
Durand Highway, Warm Springs
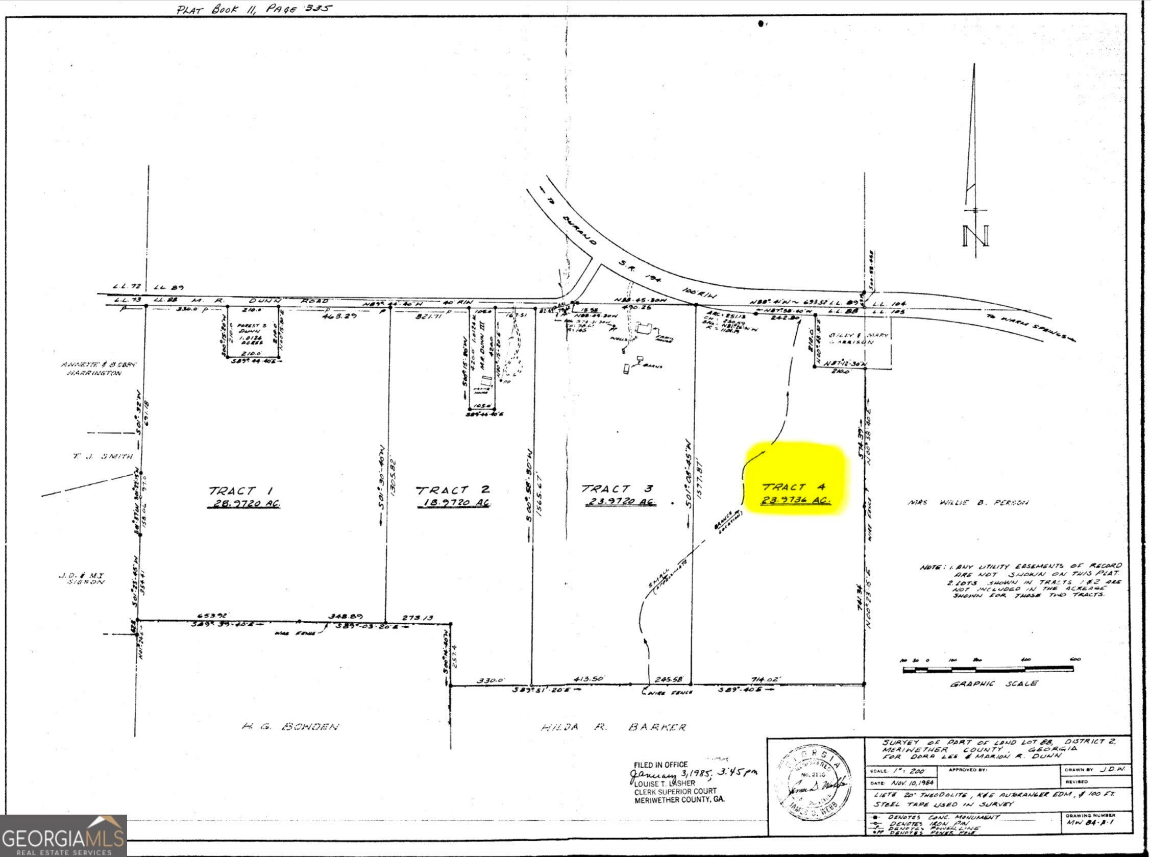
Bring your vision to 23.79 acres in Warm Springs: a land offering that delivers room to breathe, explore, and build a true weekend escape or long-term retreat. Set on Durand Highway, this is the kind of acreage recreational buyers look for when they want space, privacy, and the freedom that only raw land can provide. With 23 acres to work with, you can shape the property around the way you actually spend your time, whether that means carving out trails, creating a quiet camp setup, or planning a future homesite that feels tucked away from the noise. Land this size gives you flexibility: spread out your outdoor gear, create distinct areas for relaxing and gathering, and keep the setting feeling open rather than crowded. Location matters when you want a getaway that is easy to use often, and this one keeps you connected to what makes Warm Springs special. Downtown Warm Springs is just 2.0 miles away, so grabbing a meal, meeting friends, or handling errands does not have to turn into a long drive. Nearby points of interest include the Little White House and Roosevelt State Park, plus shopping, making it simple to pair outdoor time with local history and everyday conveniences. If you have been waiting for a tract that offers meaningful acreage in a place people intentionally visit to slow down and recharge, this is your opportunity. Reach out to get the details on this 23.79-acre Warm Springs land for sale and take the next step toward making it yours. Tract 4 on survey. Survey lines in aerial view are estimated for visual purposes.
Essential Information
- MLS® #10679925
- Price$179,775
- Bathrooms0.00
- Acres23.97
- TypeLand
- Sub-TypeUnimproved Land
- StatusActive
Amenities
- UtilitiesElectricity Available
School Information
- ElementaryMountain View
- MiddleManchester
- HighManchester
Listing Details
- Listing Provided Courtesy Of Re/max Results
Community Information
- AddressDurand Highway
- SubdivisionNone
- CityWarm Springs
- CountyMeriwether
- StateGA
- Zip Code31830
Exterior
- Lot DescriptionOther
Additional Information
- Days on Market15
Price Change History for Durand Highway, Warm Springs, GA (MLS® #10679925)
| Date | Details | Price | Change |
|---|---|---|---|
| Active (from New) | – | – |
The data relating to real estate for sale on this web site comes in part from the Broker Reciprocity Program of Georgia MLS. Real estate listings held by brokerage firms other than Go Realty Of Georgia & Alabam are marked with the Broker Reciprocity logo and detailed information about them includes the name of the listing brokers.
The information being provided is for consumers' personal, non-commercial use and may not be used for any purpose other than to identify prospective properties consumers may be interested in purchasing. Information Deemed Reliable But Not Guaranteed.
The broker providing this data believes it to be correct, but advises interested parties to confirm them before relying on them in a purchase decision.
Copyright 2026 Georgia MLS. All rights reserved.
Listing information last updated on April 4th, 2026 at 8:30am CDT.








