Hi There! Is this Your First Time?
Did you know if you Register you have access to free search tools including the ability to save listings and property searches? Did you know that you can bypass the search altogether and have listings sent directly to your email address? Check out our how-to page for more info.
- Price$1,000,000
- Acres8.93
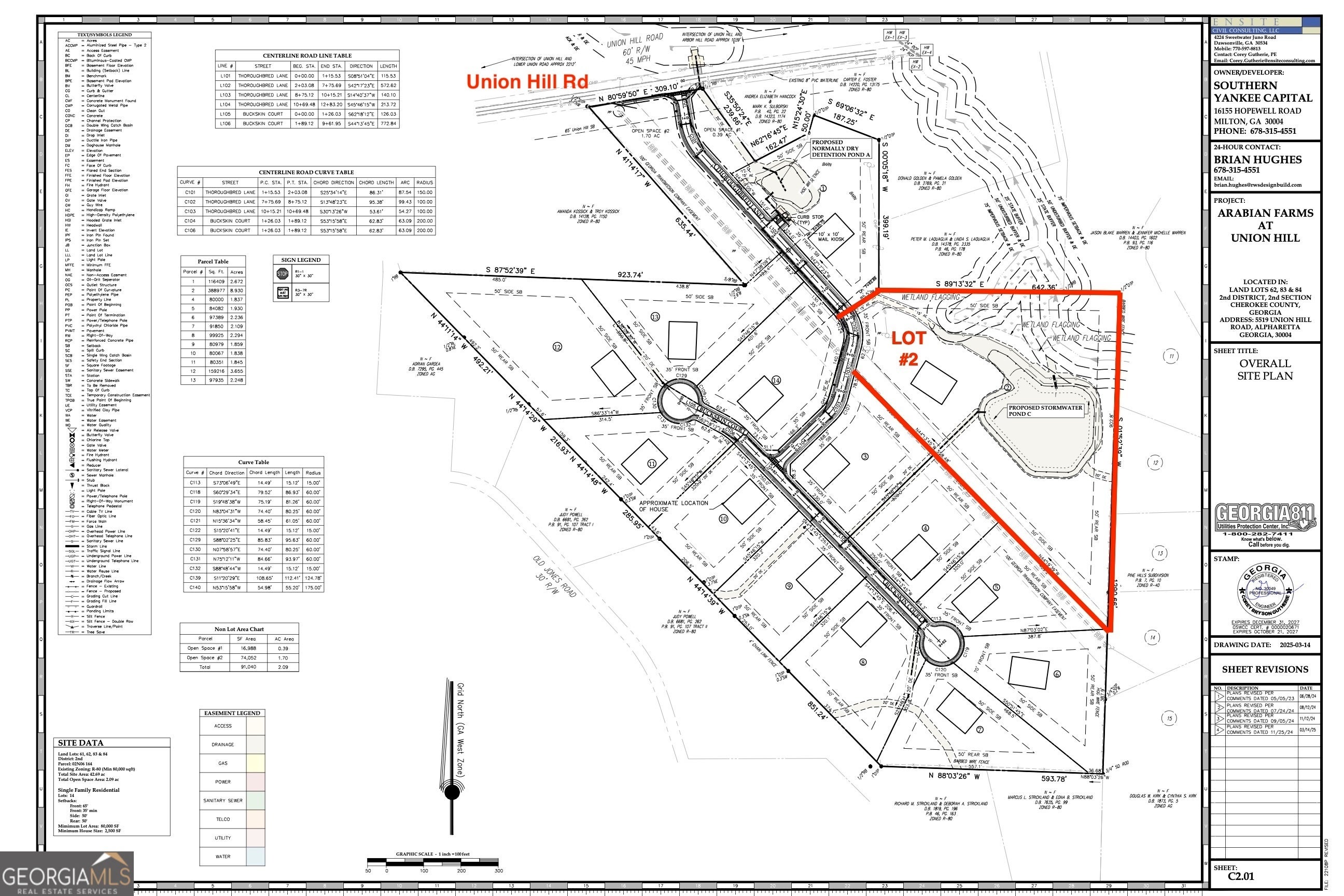
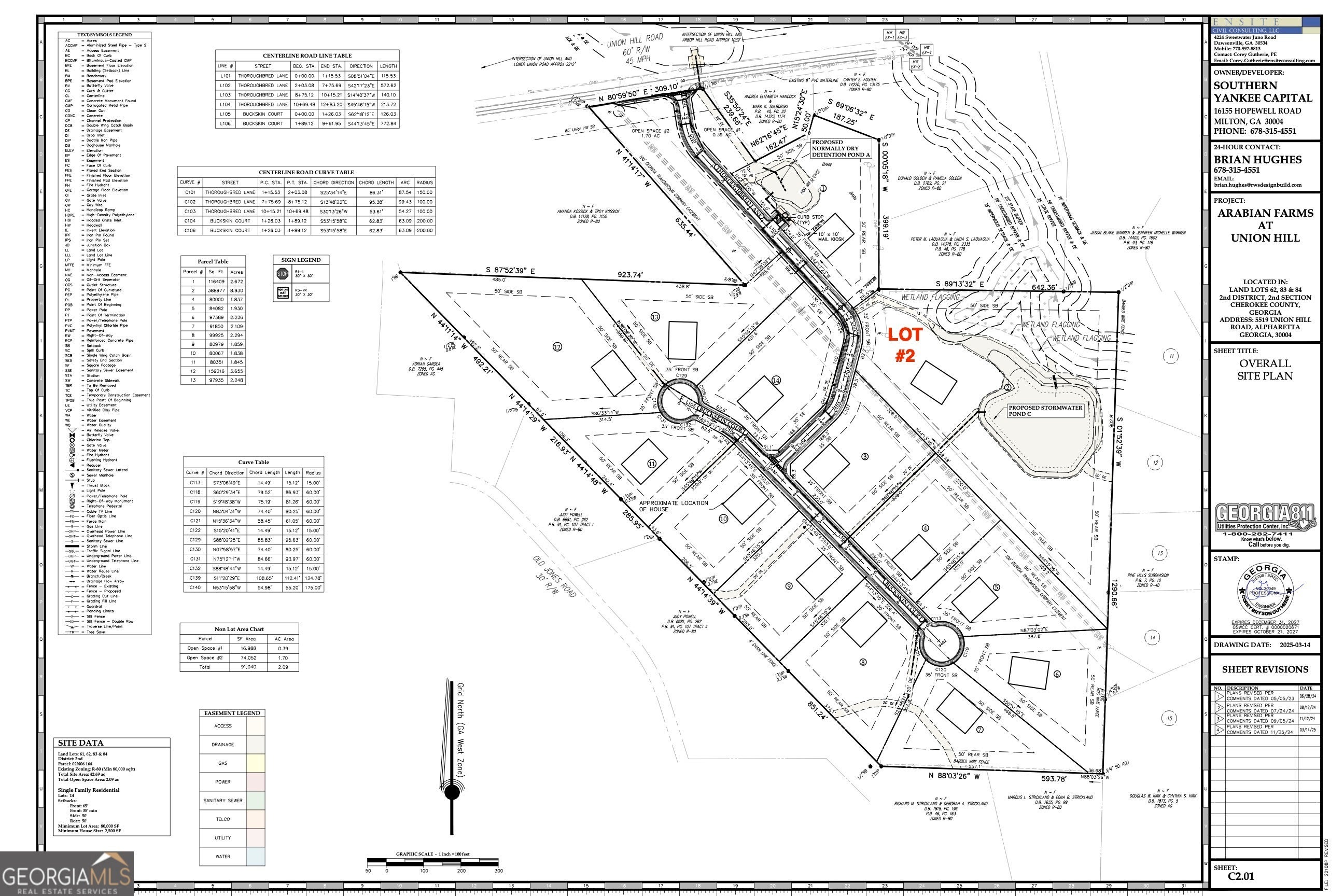
5519 Union Hill Road, Alpharetta
Exceptional opportunity to purchase the largest homesite in a new and upcoming development. Lot 2 offers 8.93 +/- acres, located just off Union Hill Road with an Alpharetta address and Cherokee County taxes. Buyer may purchase the lot only or proceed with a custom build. Bring your own builder or work with a highly regarded custom builder already in place. Enjoy the privacy of acreage living while remaining close to dining, shopping, and daily conveniences. Secure your spot early in this exciting new community.
Essential Information
- MLS® #10682911
- Price$1,000,000
- Bathrooms0.00
- Acres8.93
- TypeLand
- Sub-TypeResidential Lot
- StatusNew
Amenities
- UtilitiesCable Available, Electricity Available, Natural Gas Available, Phone Available, Underground Utilities, Water Available
- WaterfrontPond
School Information
- ElementaryAvery
- MiddleCreekland
- HighCreekview
Listing Details
- Listing Provided Courtesy Of Engel & V?lkers Atlanta
Community Information
- Address5519 Union Hill Road
- SubdivisionLot 2 - 8.930 acres
- CityAlpharetta
- CountyCherokee
- StateGA
- Zip Code30004
Exterior
- Lot DescriptionLevel, Other, Private
Additional Information
- Days on Market1
The data relating to real estate for sale on this web site comes in part from the Broker Reciprocity Program of Georgia MLS. Real estate listings held by brokerage firms other than Go Realty Of Georgia & Alabam are marked with the Broker Reciprocity logo and detailed information about them includes the name of the listing brokers.
The information being provided is for consumers' personal, non-commercial use and may not be used for any purpose other than to identify prospective properties consumers may be interested in purchasing. Information Deemed Reliable But Not Guaranteed.
The broker providing this data believes it to be correct, but advises interested parties to confirm them before relying on them in a purchase decision.
Copyright 2026 Georgia MLS. All rights reserved.
Listing information last updated on February 13th, 2026 at 3:32pm CST.






