Hi There! Is this Your First Time?
Did you know if you Register you have access to free search tools including the ability to save listings and property searches? Did you know that you can bypass the search altogether and have listings sent directly to your email address? Check out our how-to page for more info.
- Price$370,982
- Acres8.73
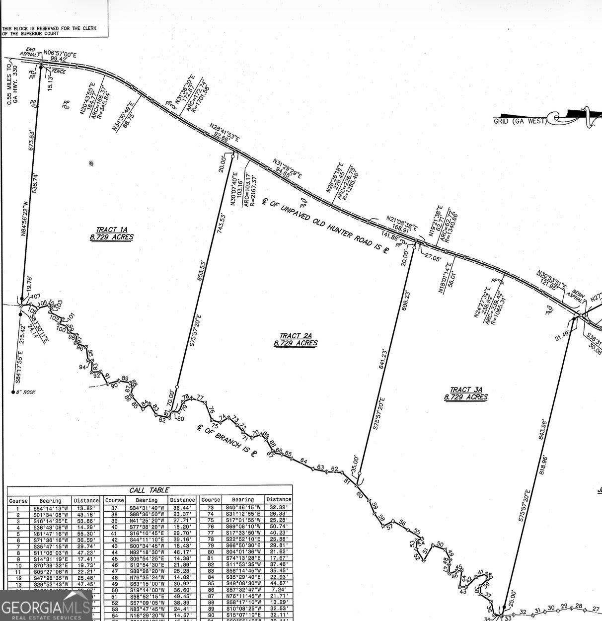
2a Old Hunter Road, Statham
Jackson County Acreage Tracts - 8.79 Acres to 10.4 Acres with Creek Frontage Rare opportunity to purchase beautiful estate-sized lots ranging from 8.79 to 10.4 acres in desirable Jackson County featuring excellent road frontage, mature wooded settings, and a scenic creek running across most parcels. These gently contoured tracts offer outstanding privacy and natural beauty, ideal for a custom home, private retreat, or mini-farm. Zoned Agricultural, the property provides flexibility while maintaining a peaceful rural atmosphere. Each lot will be deed-restricted to prohibit mobile or manufactured homes, preserving long-term value and overall quality throughout the development. Opportunities to acquire acreage tracts of this size and quality in Jackson County are increasingly rare. Secure your piece of countryside today and build the lifestyle you've been waiting for.
Essential Information
- MLS® #10688333
- Price$370,982
- Bathrooms0.00
- Acres8.73
- TypeLand
- Sub-TypeEstate Lot
- StatusActive
Amenities
- UtilitiesElectricity Available, Phone Available
School Information
- ElementarySouth Jackson
- MiddleEast Jackson
- HighEast Jackson Comp
Listing Details
- Listing Provided Courtesy Of Re/max Towne Square
Community Information
- Address2a Old Hunter Road
- SubdivisionNONE
- CityStatham
- CountyJackson
- StateGA
- Zip Code30666
Exterior
- Lot DescriptionPrivate
Additional Information
- Days on Market17
Price Change History for 2a Old Hunter Road, Statham, GA (MLS® #10688333)
| Date | Details | Price | Change |
|---|---|---|---|
| Active (from New) | – | – |
The data relating to real estate for sale on this web site comes in part from the Broker Reciprocity Program of Georgia MLS. Real estate listings held by brokerage firms other than Go Realty Of Georgia & Alabam are marked with the Broker Reciprocity logo and detailed information about them includes the name of the listing brokers.
The information being provided is for consumers' personal, non-commercial use and may not be used for any purpose other than to identify prospective properties consumers may be interested in purchasing. Information Deemed Reliable But Not Guaranteed.
The broker providing this data believes it to be correct, but advises interested parties to confirm them before relying on them in a purchase decision.
Copyright 2026 Georgia MLS. All rights reserved.
Listing information last updated on March 15th, 2026 at 7:46am CDT.
