Hi There! Is this Your First Time?
Did you know if you Register you have access to free search tools including the ability to save listings and property searches? Did you know that you can bypass the search altogether and have listings sent directly to your email address? Check out our how-to page for more info.
- Price$120,000
- Acres0.45
1302 Riverside Drive, Waycross
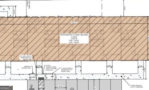
Prime development opportunity! This cleared parcel offers an exceptional investment opportunity for builders and developers, with verbal city approval already granted for a 5-plex development. The civil engineering report is complete (available upon request), and architectural plans are prepared and included. Both the civil engineering report and architectural plans will be reviewed and approved by the city prior to closing, and all reports and plans are included in the purchase price. This is a rare chance for an investor to step into a project that is well underway, saving valuable time and reducing upfront legwork while accelerating the path to construction and future income potential.
Essential Information
- MLS® #10697239
- Price$120,000
- Bathrooms0.00
- Acres0.45
- TypeLand
- Sub-TypeResidential Lot
- StatusActive
Amenities
- UtilitiesNone
School Information
- ElementaryOther
- MiddleOther
- HighWare County
Listing Details
- Listing Provided Courtesy Of Crossway Realty
Community Information
- Address1302 Riverside Drive
- Subdivisionnone
- CityWaycross
- CountyWare
- StateGA
- Zip Code31501
Exterior
- Lot DescriptionNone
Additional Information
- Days on Market14
Price Change History for 1302 Riverside Drive, Waycross, GA (MLS® #10697239)
| Date | Details | Price | Change |
|---|---|---|---|
| Active (from New) | – | – |
The data relating to real estate for sale on this web site comes in part from the Broker Reciprocity Program of Georgia MLS. Real estate listings held by brokerage firms other than Go Realty Of Georgia & Alabam are marked with the Broker Reciprocity logo and detailed information about them includes the name of the listing brokers.
The information being provided is for consumers' personal, non-commercial use and may not be used for any purpose other than to identify prospective properties consumers may be interested in purchasing. Information Deemed Reliable But Not Guaranteed.
The broker providing this data believes it to be correct, but advises interested parties to confirm them before relying on them in a purchase decision.
Copyright 2026 Georgia MLS. All rights reserved.
Listing information last updated on March 11th, 2026 at 6:30pm CDT.


