Hi There! Is this Your First Time?
Did you know if you Register you have access to free search tools including the ability to save listings and property searches? Did you know that you can bypass the search altogether and have listings sent directly to your email address? Check out our how-to page for more info.
- Price$400,000
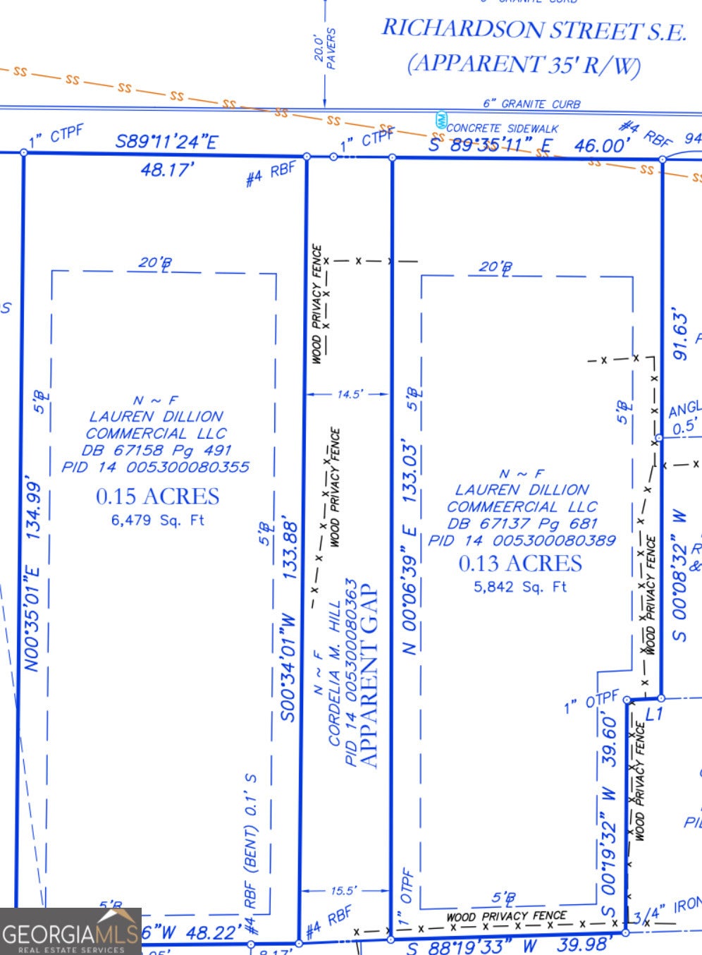
- Acres0.15
165 Richardson Street Se, Atlanta
Exceptional opportunity to acquire two adjacent intown lots to be sold together at 165 & 175 Richardson St SE in Atlanta's Summerhill neighborhood. These buildable parcels offer flexibility for a buyer looking to hold, build now, or plan for future development. Located in one of Atlanta's oldest and most evolving neighborhoods, Summerhill offers a rare blend of historic character, neighborhood energy, and proximity to Downtown, Georgia State, Center Parc Stadium, and the growing Georgia Avenue corridor with its mix of dining, retail, and redevelopment activity. A strong opportunity for builders, investors, or buyers seeking a strategic in-town land position. Both lots must be purchased together.
Essential Information
- MLS® #10714442
- Price$400,000
- Bathrooms0.00
- Acres0.15
- TypeLand
- Sub-TypeResidential Lot
- StatusNew
Amenities
- UtilitiesCable Available, Electricity Available, High Speed Internet, Natural Gas Available, Phone Available, Sewer Available, Water Available
School Information
- ElementaryParkside
- MiddleKing
- HighMH Jackson Jr
Listing Details
- Listing Provided Courtesy Of Northgroup Real Estate Inc
Community Information
- Address165 Richardson Street Se
- SubdivisionSummerhill
- CityAtlanta
- CountyFulton
- StateGA
- Zip Code30312
Exterior
- Lot DescriptionCity Lot
Additional Information
- Days on Market1
The data relating to real estate for sale on this web site comes in part from the Broker Reciprocity Program of Georgia MLS. Real estate listings held by brokerage firms other than Go Realty Of Georgia & Alabam are marked with the Broker Reciprocity logo and detailed information about them includes the name of the listing brokers.
The information being provided is for consumers' personal, non-commercial use and may not be used for any purpose other than to identify prospective properties consumers may be interested in purchasing. Information Deemed Reliable But Not Guaranteed.
The broker providing this data believes it to be correct, but advises interested parties to confirm them before relying on them in a purchase decision.
Copyright 2026 Georgia MLS. All rights reserved.
Listing information last updated on March 31st, 2026 at 1:00am CDT.
