Hi There! Is this Your First Time?
Did you know if you Register you have access to free search tools including the ability to save listings and property searches? Did you know that you can bypass the search altogether and have listings sent directly to your email address? Check out our how-to page for more info.
- Price$60,000
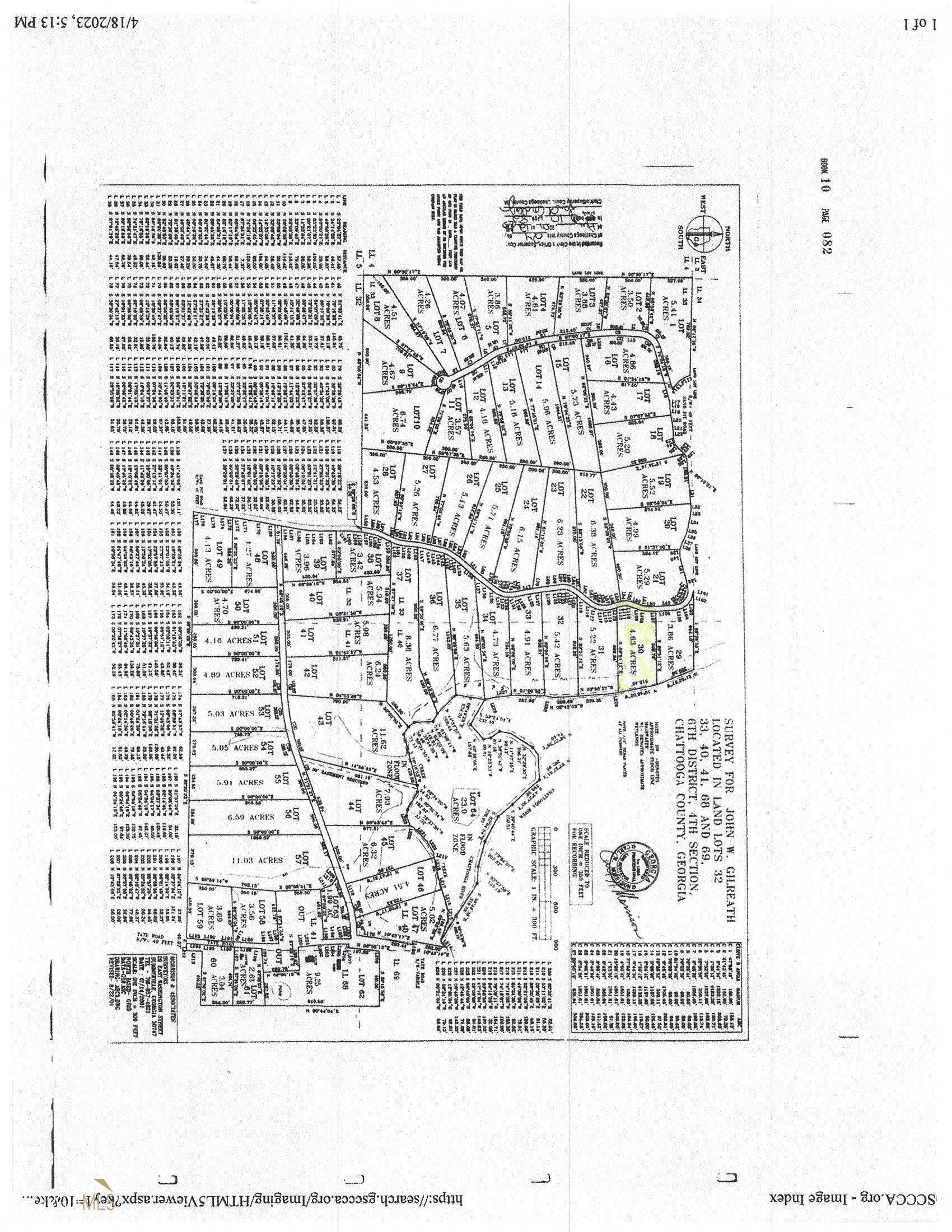
- Acres4.63
Sand Pit Road, Summerville
Sand Pit Road is the location of this 4.63 acre tract, count water and power available at the street, this lot fronts the Chattooga River, some flood plane some restrictions. Call For Details!
Essential Information
- MLS® #20121967
- Price$60,000
- Bathrooms0.00
- Acres4.63
- TypeLand
- Sub-TypeResidential Lot
- StatusActive
Amenities
- UtilitiesElectricity Available, High Speed Internet, Water Available
School Information
- ElementaryLeroy Massey
- MiddleSummerville
- HighChattooga
Listing Details
- Listing Provided Courtesy Of Rick Wyatt Realty, Inc.
Community Information
- AddressSand Pit Road
- SubdivisionGilreath Property
- CitySummerville
- CountyChattooga
- StateGA
- Zip Code30747
Exterior
- Lot DescriptionSloped
Additional Information
- Days on Market951
Price Change History for Sand Pit Road, Summerville, GA (MLS® #20121967)
| Date | Details | Price | Change |
|---|---|---|---|
| Active | – | – | |
| Back On Market | – | – | |
| Active | – | – | |
| Back On Market | – | – | |
| Active | – | – | |
| Show More (4) | |||
| Back On Market | – | – | |
| Active | – | – | |
| Back On Market | – | – | |
| Active (from New) | – | – | |
The data relating to real estate for sale on this web site comes in part from the Broker Reciprocity Program of Georgia MLS. Real estate listings held by brokerage firms other than Go Realty Of Georgia & Alabam are marked with the Broker Reciprocity logo and detailed information about them includes the name of the listing brokers.
The information being provided is for consumers' personal, non-commercial use and may not be used for any purpose other than to identify prospective properties consumers may be interested in purchasing. Information Deemed Reliable But Not Guaranteed.
The broker providing this data believes it to be correct, but advises interested parties to confirm them before relying on them in a purchase decision.
Copyright 2026 Georgia MLS. All rights reserved.
Listing information last updated on January 13th, 2026 at 12:16pm CST.














