Hi There! Is this Your First Time?
Did you know if you Register you have access to free search tools including the ability to save listings and property searches? Did you know that you can bypass the search altogether and have listings sent directly to your email address? Check out our how-to page for more info.
- Price$1,900,000
- Acres4.87
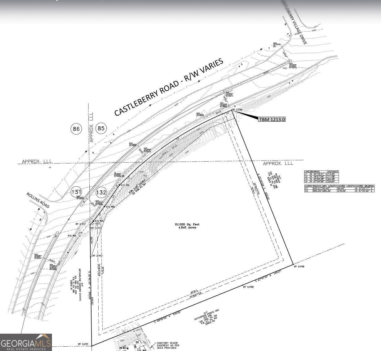
3315 Castleberry Road, Cumming
MEDICAL OFFICE development for developers or medical group. 22,400 sf total, in 2 buildings. Premium location in family area and high per-capita incomes. Approx 5 acres zoned Commercial Neighborhood Shopping. Land has been cleared and permits (land development and building) targeting receipt in early January. Property is being sold land and permits. Castleberry was recently widened and is a bypass to Georgia 400 and Highway 19. The Forsyth UDC allows extensive permitted uses and additional conditional uses in NS (udc_014_ch12). All utilities are available. Price is 5.5M and the completed value in the 11-12M range depending on ROI.
Essential Information
- MLS® #20170495
- Price$1,900,000
- Bathrooms0.00
- Acres4.87
- TypeLand
- Sub-TypeResidential Lot
- StatusActive
Amenities
- UtilitiesCable Available, Other, Sewer Available
School Information
- ElementaryCoal Mountain
- MiddleLakeside
- HighForsyth Central
Listing Details
- Listing Provided Courtesy Of Beycome Brokerage Realty Llc
Community Information
- Address3315 Castleberry Road
- SubdivisionNONE
- CityCumming
- CountyForsyth
- StateGA
- Zip Code30040
Exterior
- Lot DescriptionLevel, Other
Additional Information
- Days on Market657
Price Change History for 3315 Castleberry Road, Cumming, GA (MLS® #20170495)
| Date | Details | Price | Change |
|---|---|---|---|
| Active | – | – | |
| Price Change | – | – | |
| Price Reduced (from $2,499,000) | $1,900,000 | $599,000 (23.97%) | |
| Active (from New) | – | – |
The data relating to real estate for sale on this web site comes in part from the Broker Reciprocity Program of Georgia MLS. Real estate listings held by brokerage firms other than Go Realty Of Georgia & Alabam are marked with the Broker Reciprocity logo and detailed information about them includes the name of the listing brokers.
The information being provided is for consumers' personal, non-commercial use and may not be used for any purpose other than to identify prospective properties consumers may be interested in purchasing. Information Deemed Reliable But Not Guaranteed.
The broker providing this data believes it to be correct, but advises interested parties to confirm them before relying on them in a purchase decision.
Copyright 2025 Georgia MLS. All rights reserved.
Listing information last updated on December 27th, 2025 at 7:00am CST.




